![]() |
|
![]() |
![]() |
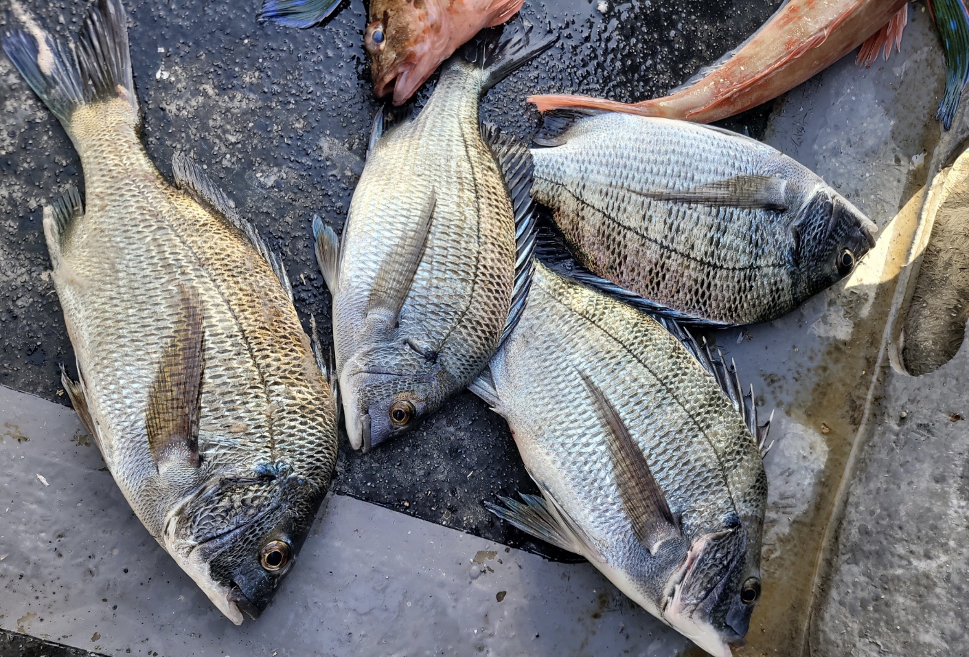
진해안골 청파호 입니다^^
조사님들 모시고 감성돔 출조했습니다 ~
30cm 외 잔씨알 총 7수~~
⭐️⭐
-일요일 3자리
<돌문어>
○출조시간
-오전 5시~오후 1시30분
선비: 7만원 식사,음료제공
채비는 배에서 구매가능합니다~
<내만갈치>
○출조시간 : 오후 6시 ~ 오전2시 유동적
선비: 7만원 식사,음료제공
*35리터이상 대장쿨러X
내만갈치,백조기,돌문어 예약가능합니다-
주말 쭉~~~출조합니다
손맛,입맛 즐기러 오세요~~!!
블로그 오시면 더많은 사진있습니다~~
생활낚시,체험낚시(바다장어,잡어) 출조합니다.
평일 돌문어,쭈꾸미,내만갈치 출조 매일합니다~
돌문어 종일반도 있습니다 ^^
낚시 할수있는 조건만되면 매일 출항합니다^^
정성껏 모시겠습니다!!
매일 출조합니다 !!
정원 9명(선장포함) 독배,단체 환영합니다
★출조정보★
<도다리>
○출조시간:오전 6시~오후 2시(유동적)
선비 :7만원 식사제공
<감성돔 흘림>
○출조시간:오전 5시 30분~오후2시(유동적)
선비: 11만원,식사제공
<백조기>
○출조시간 : 오전 6시 30분~ 오후2시(유동적)
오후 6시~ 오전2시 (유동적)
선비 : 7만원,식사제공
<문어>내만권,지심도권
★<종일반> 오전 06시 00분~오후 4시(유동적)-9만원
○출조시간 : 오전 06시 00분~ 오후2시(유동적)
선비 :내만 7만원
준비물 : 추40호,왕눈이에기
->점심 라면제공합니다~
자세한 문의는 전화주세요 ^^
"신분증" 꼭 들고오셔야 합니다!!!
구명조끼 없으신분은 배에 준비되어 있습니다~
점심식사,생수,커피 무료제공
네비주소 : 창원시 진해구 안골동 남광수산옆(진해구 안골동 821-4)
>>예약문의 : 010-9339-7731
입금계좌 : 수협 001093397731 이원구 (예약필수)
안골청파호 네이버 블로그도 있습니다^^
네이버 밴드: https://band.us/n/a0af58S6jeCdL
|
|
|
|







