![]() |
|
![]() |
![]() |
[다원피싱]뽈루선상 오늘도 왕사미 쿨러가득 내일도 채워보러 가시지요
낚시뚜에서 인낚으로 보내는 자동조황오늘은 낚율님이 함께 해주셨답니다
재미난 뽈락하고 가셨네요
내일도 고고 ~~
반갑습니다 바다루어를 지향하는 다원피싱 인사드립니다
거짓없는 조황과 바다루어최고의 선상 전용선이 될수있도록 더 열심히 뛰겠습니다
#다원피싱 #공선장 #시마노캡틴스탭
#shimano #윤성f&b #베리잼
#삼천포뽈락 #뽈루선상 #소아레
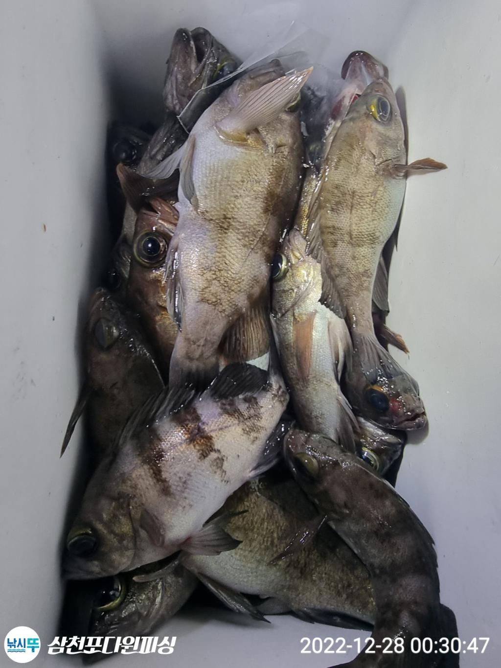
12월 27일 뽈루선상조황 올려봅니다
오늘도 씨알급 뽈락이 마릿수로 잘나왔답니다 어제처럼 26cm를 시작으로 20cm 오버도 잘나오고 간간히 올라오는 작은녀석들은 대부분 방생했구요
유명유투버인 낚율님이 오셔서 멋진 조황과 사진 남겨주셨네요 ^^
내일도 오후6시 나갑니다
밤공기가 꽤나 차가우니 따뜻히 챙겨입고 오셔요
선장폰 010-3289-9809









다원피싱은 2016년 건조된 신조선으로 평속 20노트로 달려 빠른포인트 진입과 이동하는 쾌속선입니다
8톤 선박으로 정원 18명으로 넓고 편안합니다
젊은 선장에 시원 시원한 서비스는 물론 항상 밝은 모습으로 찾아주시는 조사님들 편한 놀이터가 될수있게 노력 하겠습니다
선내에 찾아주시는 조사님들 편히 낚시하시게끔 에어컨 , 온수기 , 전자레인지가 준비되어있고
배고프시지않게 선실내 컵라면 , 스틱커피 , 생수 , 각종음료수 , 캔커피가 준비되어 있습니다
꼭 지켜야할 사항
선내 절대 음주금지 , 주류반입금지
승선내내 구명동의 착용 (없으신분들은 선내준비되어있습니다)
신분증지참
밴드 주소 http://band.us/n/afa7U8wdRc9cH
공선장 전화번호 010-3289-9809
찾아오시는길 팔포항 해경파출소 앞
|
|
|
|








