![]() |
|
![]() |
![]() |
안녕하세요 고성맥전포창조호입니다
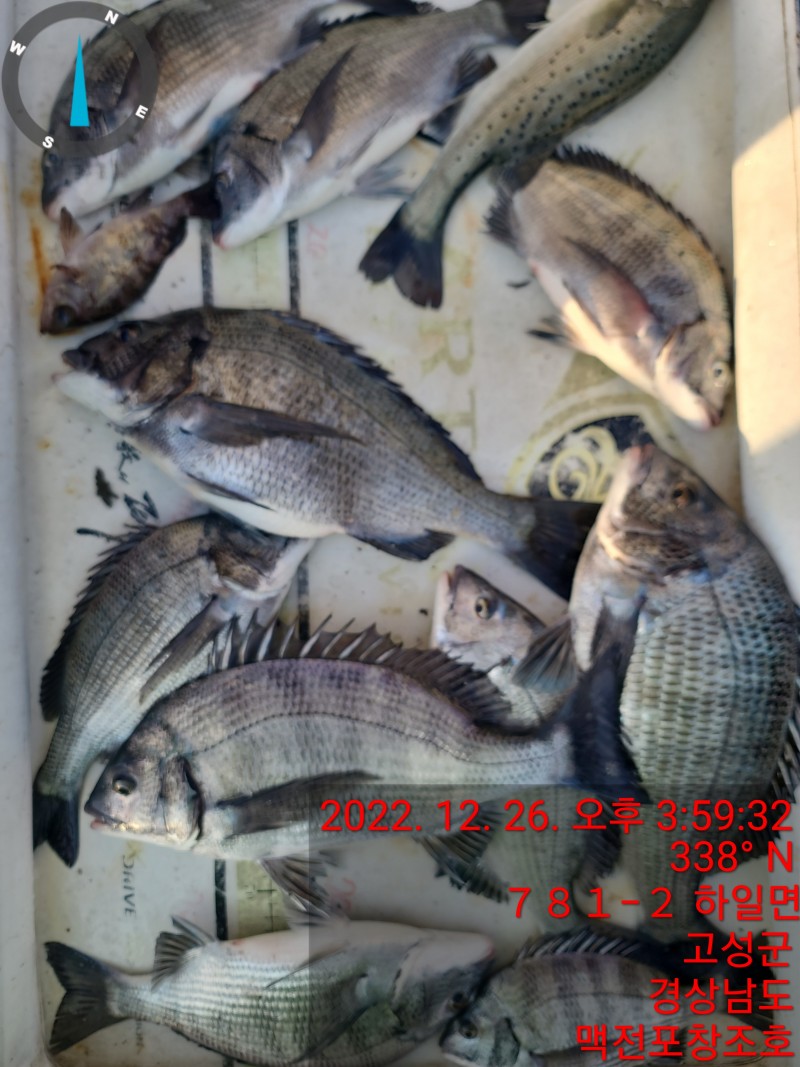
오늘은 사량도어장 낚시해보았습니다
예보와 다르게 바람이 있었지만 손맛은 보고
왔습니다
낼도갑니다
같이가실분전화주세요
감사합니다
요즘 시즌이 대물감성돔 시기라 시작했습니다
손맛 찐하게 보실분전화주세요
전화주세요
유튜브 창조호tv
야간문어는 낚지겸해서 하는게 좋을듯합니다
낚지는 추가14호~18호정도로 가볍게 사용....
같이가실분전화주세요
감사합니다
야간에 추워요 따뜻하게 입고오세요
요즘 들어뽕 하기 힘든싸이즈 아시죠!!
씨알이 커서 빠지는놈들이상당히 있고요
●문어조출조는 바람이 많으면 섬치기도합니다
갑돌이도 한번씩나오네요
갑이 해보실분은 갑이채비 같이준비하세요
문어겸갑돌이 정상출조 쭈~욱 합니다
전화주세요
감사합니다
010-3597-7509
010-3550-7509
●국민은행652-21-1282982문호근 ●
●● 12월 문어 갑돌이 낚지 감성돔 출조안내●●
12월27일 감성돔카고예약중
12월28일 감성돔카고예약중
12월29일 감성돔카고예약중
12월30일 감성돔카고예약중
야간문어낚지예약중
12월31일 감성돔 카고예약중
야간 문어낚지예약중
■예약계좌■ 국민은행652-21-1282982문호근
●돌문어 & 갑돌이갑순이 출조시간 ●
주간06시00분출항 2시00분입항 7만
야간16시출항 23입항 6만
☞ 전원 개인 해수 물칸이 준비 되어있습니다.
☞ 개인 혹은 독배 예약가능 언제든 연락주세요.
☞ 커피, 생수,캔음료,캔커피, 점심은 시원한
☞ 문어 갑돌이선비 7만원 야간 6만원 입니다.(야간은 깁밮 컵라면제공)
●● 욕지권 갑돌이 문어 출조 선비는 9만원입니다.
☞ ☞ ☞ 준 비 물 ☜ ☜ ☜
※ 채비는 2단 루어대와 합사2호 3000~4000번릴 혹은베이트릴
※ 왕눈이 개인 20~30개, 핀도래, 추20~30호
※ 낚 시 대 대 여 : (사전예약 , 분실, 파손시 변상)
●●●준 내만( 욕지갈도좌사리국도 ) 갈치 출조 안내 ●●●
개인선비 12만
오후4시30시출새벽05시철수
~갈치준비물~
갈치낚시대 전동릴 개인아이스박스 개인칼 장갑 10단기중둘 바늘 집어등
릴 낚시대 대여2만입니다
~선사지급~
저녁깁밥과컵라면 800g추 얼음 미끼 커피 생수 새벽캅라면
●창조호는 물 풍작업 의주로합니다●
~고성 봄 내만갯바위출조안내~~
●매일05시부터 ~~출항
●주말04시부터~출항
●출항은~~홀수시간
●철수는 ~~짝수시간( 예 12시2시4시6시 )
●첫배는 ~~예약필수
●야영오후6까지 이후는불가
●신분증 꼭 챙겨오세요 출조관심있으신분 전화주세요
####고성내만권 선비 :2만5천 ##########
밑밥,미끼는 없습니다(저렴한 곳에서 준비해 오세요)#####
선장님과 통화 하시면 언제든지 출조 가능합니다
##### 출조인원이 많이 없습니다 예약은필수 입니다 #####
|
|
|
|






