![]() |
|
![]() |
![]() |
안녕하세요 통영 공룡호 입니다
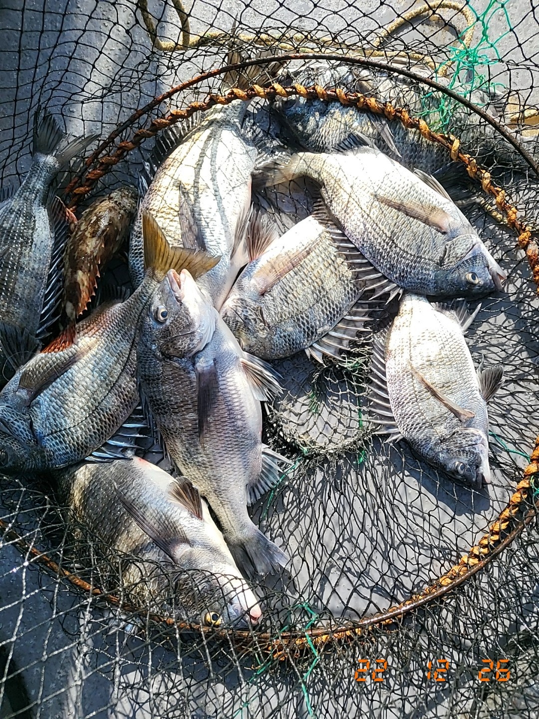
오늘 3분 모시고 30중후반
위주로 마리수 잡고 철수했습니다.
대물들은 아니지만 손맛보기
좋은 싸이즈들로 재미보고
철수했습니다.
내일도 열심히 달려보겠습니다.
내일 3자리여유 있습니다.
12월 들어 계속 기상이 좋지않아
일주일에 1-3일 가량 출항하고
나머지는 강제 휴무중입니다.
감성돔흘림 손맛보실분 연락
주세요. 감사합니다.
《 12월 감성돔흘림예약현황 》
● 내일(화) - 3자리여유
● 31일(토) - 6자리여유
● 1일(일) - 3자리여유
입니다.
{예약현황에없는날짜는비어있습니다
예약가능합니다.}
이후 예약 현황은전화로 문의바랍니다. 예약 현황은 예약하시는분 사정으로 수시로변경됩니다.
참고로하시고 원하시는 날짜 예약 하시는분은 전화로 확인해 주세요.
감사합니다.
※ 안내사항 및 공지사항 ※
저희 공룡호는 5.33t으로 12인승(선장포함) 낚시배이고
문어, 화살촉, 감성돔흘림, 내만갈치 전문 출조합니다.
★ 신분증(주민등록증.운전면허증) 미지참시
승선불가 하며 PASS 모바일 신분증(운전면허증)은 가능합니다.★
★미지참으로 인한 승선 거부시 환불 불가하오니 꼭 확인 바랍니다.★
★ 배에서는 절대 음주 금지 ★
★ 구명조끼는 승선과 동시에 착용하고 하선전까지 착용(개인벌금)★
※ 계좌 ※
수협 : 2020-4663-5805
예금주 : 박종화
※ 예약문의 ※
☎선장님 : 010-5811-9624
☎부재시 : 010-3586-2246
▶ 저희는 전화나 문자 예약 및 홈페이지, 밴드를 통한 예약이 모두 가능합니다.
예약현황 바로가기
☞http://dinosaur.sunsang24.com/ship/schedule/202107☜
공룡호 홈페이지
☞http://dinosaur.sunsang24.com/☜
공룡호 밴드
☞https://band.us/band/65567842☜
※ 찾아오시는 길 ※
출조지 : 통영시 광도면 용호로 356
사무실 : 통영시 광도면 용호로 356
|
|
|
|








