신상품 소개


회원 랭킹


공지사항


NaverBand
점주/선장 > 선상(배) 조황
b_hot_activegloat_200x80.gif b_hot_innakmall_200x80_220704.jpg b_hot_ggsusan_hongeu_200x80.gif b_hot_innakmall_200x80_211203.gif

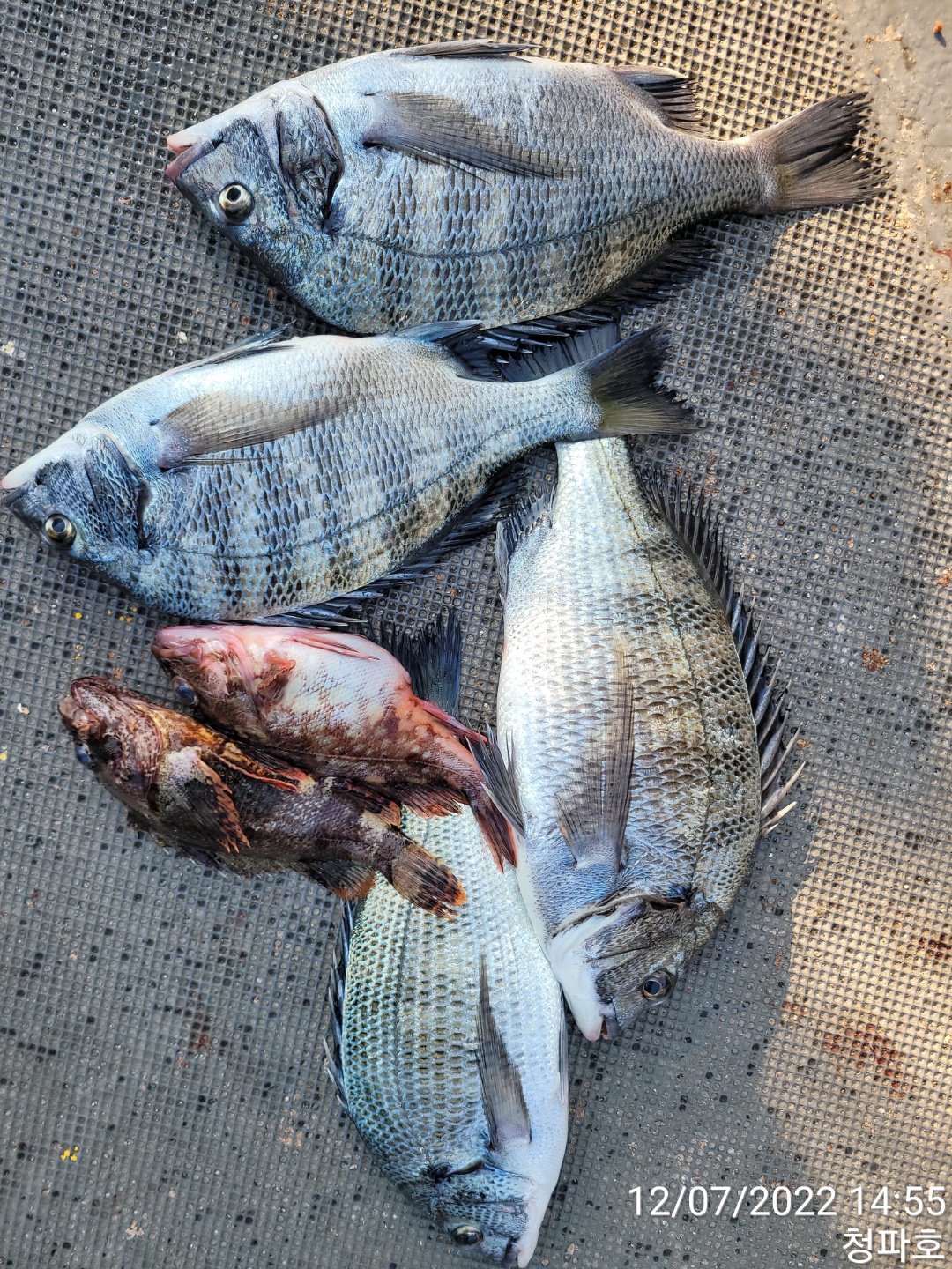
<감성돔 흘림 조황~~~>

진해안골청파호 0 106

c48cf30eed5347d6e3bcb82dfc28a80e_1670455038_1764.jpeg



반갑습니다
~

진해안골 청파호 입니다^^

조사님들 모시고 감성돔 출조했습니다 ~

26,28,30  4수하고 왔습니다

 

 

 

⭐️⭐

-금요일 3자리

-일요일 2자리

 

 

 

 

<돌문어>

출조시간 

-오전 5~오후 130

선비: 7만원 식사,음료제공

채비는 배에서 구매가능합니다~

 

<내만갈치>

출조시간 : 오후 6 ~ 오전2 유동적

선비: 7만원 식사,음료제공

*35리터이상 대장쿨러X

 

 

 

 

 

 

 

 

 

 

 

 

내만갈치,백조기,돌문어 예약가능합니다-

 

 

 

 

주말 ~~~출조합니다 

 

손맛,입맛 즐기러 오세요~~!!

 

 

 

 

블로그 오시면 더많은 사진있습니다~~

 

 

 

 

 

생활낚시,체험낚시(바다장어,잡어출조합니다.

평일 돌문어,쭈꾸미,내만갈치 출조 매일합니다~

돌문어 종일반도 있습니다 ^^

 

 

 

 

 

 

 

 

낚시 할수있는 조건만되면 매일 출항합니다^^

 

 

 

정성껏 모시겠습니다!!

매일 출조합니다 !!

정원 9(선장포함독배,단체 환영합니다 

 

 

 

출조정보

 

<도다리>

출조시간:오전 6~오후 2(유동적)

선비 :7만원 식사제공

 

<감성돔 흘림>

 ○출조시간:오전 5 30~오후2(유동적)

선비: 11만원,식사제공

 

 

 

<백조기>

출조시간 : 오전 6 30오후2(유동적)

오후 6오전2 (유동적)

선비 : 7만원,식사제공

 

<문어>내만권,지심도권

★<종일반오전 06 00~오후 4(유동적)-9만원

출조시간 : 오전 06 00오후2(유동적)

선비 :내만 7만원

준비물 : 40,왕눈이에기

->점심 라면제공합니다~

 

 

 

 

 

자세한 문의는 전화주세요 ^^

 

 

"신분증 들고오셔야 합니다!!!

구명조끼 없으신분은 배에 준비되어 있습니다~

점심식사,생수,커피 무료제공

 

 

네비주소 : 창원시 진해구 안골동 남광수산옆(진해구 안골동 821-4)

 

>>예약문의 : 010-9339-7731

입금계좌 : 수협 001093397731 이원구 (예약필수)

 

 

 

안골청파호 네이버 블로그도 있습니다^^

네이버 밴드: https://band.us/n/a0af58S6jeCdL

 

 

0 Comments
포토 제목
 
 

인낚 최신글


인낚 최신댓글


온라인 문의 안내


월~금 : 9:00 ~ 18:00
토/일/공휴일 휴무
점심시간 : 12:00 ~ 13:00