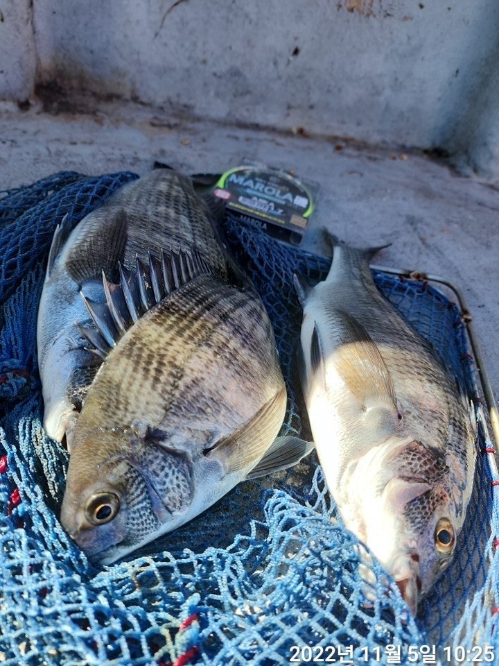
감성돔 예신없는 본신~ 퍽~퍽~퍽 용진호 조황 (6일 예약)

신상품 소개


회원 랭킹


공지사항


NaverBand
점주/선장 > 선상(배) 조황
b_hot_activegloat_200x80.gif b_hot_innakmall_200x80_220704.jpg b_hot_ggsusan_hongeu_200x80.gif b_hot_innakmall_200x80_211203.gif

감성돔 예신없는 본신~ 퍽~퍽~퍽 용진호 조황 (6일 예약)

거제용진호 1 192
5일(토요일) 거제 내만 감성돔 선상 전문 흘림낚시 "용진호" 조황입니다.
<내일 물때 정보 - 물때 5물, 만조 07:21분, 간조 13:17분>

★ 6일 (일요일) 거제도 (내만권) 감성돔 선상낚시 "예약가능"
※ 5짜 감성돔은 AJIKA(아지카)라인에서 원줄 증정.
감성돔 예신없는 본신~퍽~퍽~

거제도권 감성돔낚시 핫포인트 학산마을 용진호입니다.
조류가 살아나기 시작하면서 새벽시간보다 아침시간에 감성돔들의
활동력이 오늘은 높았습니다. 어장줄 사이로 조류 방향으로 흘러가는
어신찌에 시원한 예신없는 본신으로 이어지는 입질에 준수한 씨알의
감성돔들이 보였습니다.

몇방 터주긴 했지만 챔질 이후, 감성돔들이 어장줄로 머리를 돌리지
못하도록 초반은 강제집행이 해답인 것 같습니다. 내일부터 감성돔
황금물때로 돌입합니다.

용진호 감성돔포인트는 감성돔들이 오름감성돔과 내림감성돔이 교차
되는 승율높은 포인트입니다. 그만큼 사이즈 좋은 녀석들이 많이 포진
하는 곳이라 승율이 높은 편입니다.


◎ 감성돔 선상낚시 출조 일정 ◎
★ 6일 (일요일) 거제도 (내만권) 감성돔 선상낚시 "예약가능"
★ 7일 (월요일) 거제도 (내만권) 감성돔 선상낚시 "예약가능"
★ 8일 (화요일) 거제도 (내만권) 감성돔 선상낚시 "예약가능"

▨ 용진호 ☎ 010.3587.8651
(선착장) 거제시 둔덕면 학산리 107-6
 

▩ "감성돔 흘림낚시" 안내 ▩
(주말/종일 운영) 04:30~14:00까지 10만원 (10월달부터)
- 오전낚시는 전화로 문의.
- 밑밥, 미끼 포함 (종일 주말은 점심식사제공, 음료, 생수 제공)
- 어초, 어장포인트 다양한 포인트 보유하고 있습니다.

<용진호 이용시 유의 사항>
- 신분증은 필해 지참해야 하며, 배에서 음주행위는 법으로 금지.
- 구명조끼는필수 지참이며 없을 경우, 무료로 대여 해드립니다

▨ 용진호 ☎ 010.3587.8651
(선착장) 거제시 둔덕면 학산리 107-6
- 예약계좌 (수협) 2020 4196 1837 예금주 :오화택 선장

, , , , , , , , , , , , , , , , , , , , , , , , , , , ,

1 Comments
거제용진호 22-11-05 16:21 0  
6일 일요일 감성돔낚시 예약자리 있습니다. 감사합니다.
포토 제목
 
 

인낚 최신글


인낚 최신댓글


온라인 문의 안내


월~금 : 9:00 ~ 18:00
토/일/공휴일 휴무
점심시간 : 12:00 ~ 13:00