대물감성돔 퍼레이드~고성베이호(자연어초) 조황 (27일 예약)

신상품 소개


회원 랭킹


공지사항


NaverBand
점주/선장 > 선상(배) 조황
b_hot_activegloat_200x80.gif b_hot_innakmall_200x80_220704.jpg b_hot_ggsusan_hongeu_200x80.gif b_hot_innakmall_200x80_211203.gif

대물감성돔 퍼레이드~고성베이호(자연어초) 조황 (27일 예약)

고성베이호 1 407
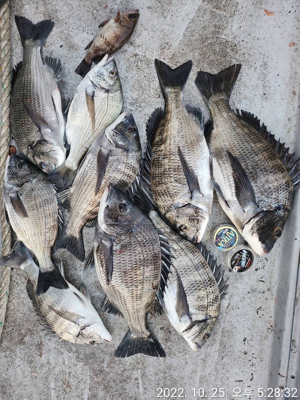
26일 원도권 (욕지도권) 大物 감성돔 자연어초 고성베이호 철수 조황입니다.
※ 승율 9할 이상의 대물 격전지 - 원도권 수중어초로 모십니다.

★ 27일(목) 9시 출항,원도권 대물 감성돔(자연어초) "예약가능"
원도권 자연어초에는 대물감성돔이 바글바글~

고성출발 대물감성돔 참돔 전문 자연어초 공략 전문, 고성 베이호입니다.
오늘도 감성돔들이 숨어 있는 자연어초 위주의 녀석들을 쫒아 진입
했습니다. 역시나 도저히 감당불가한 빅사이즈들이 덤빌 때면,
 "이고기는 내고기가 아니다" 생각이 들 정도로 버티는데도
금방 한계치에 도달해 팅~ 제대로 총쏘는 상황이 연출되곤 합니다.

현재, 원도권 어초에는 상당히 큰 사이즈들이 진입한 상황, 오늘도
대물감성돔 몇수와 중치급이상 마릿수 손맛으로 오늘 출조를 마감
했습니다. 27일 목요일은 물때가 좋은 시기라, 아침 9시에 출항합니다.

올해도 기록 고기를 위해 달려 봅니다. 확률높은 낚시~
오늘도 고성베이호를 찾아 주신 조사님 수고 많으셨습니다.


▣ 욕지권 대물 감성돔 선상 흘림낚시 (자연어초)출조 일정 ▣
★ 27일(목) 9시 출항,원도권 대물 감성돔(자연어초) "예약가능"
※ 원도권 욕지도/좌사리도/갈도 수중어초 흘림낚시 진행합니다.

■ 고성 베이호 ☎010 4598 1782
■ 밴드 : https://band.us/@bayho ■블로그 : https://blog.naver.com/bayfishing
 

▼ 25일 원도권 수중어초 감성돔 조과.
몇일째 대물감성돔들이 본격 나오기 시작했습니다.
 

▧▧ 원도권 대물 감성돔 참돔낚시 (릴찌낚시) 출조 안내 ▧▧
1) (출항) 오전 6시 30분 (유동적) 출발, 오후까지 종일출조(유동적)
2) 원도권역 : 욕지도, 좌사리도, 갈도권 선비 12만원.
3) 밑밥, 미끼, 도시락 제공
- 커피, 생수,음료 등은 상시 비치되어 있습니다.
 
■ 고성 베이호 ☎010 4598 1782
■ 출항지 : 고성군 삼산면 두포리177-16 블루웨일 글램핑內
■ 밴드 : https://band.us/@bayho ■블로그 : https://blog.naver.com/bayfishing

, , , , , , , , , , , , , , , , , , , , , , , , , , , , , , , , , , , , , , ,

1 Comments
고성베이호 22-10-26 17:11 0  
27일 목요일 아침 9시 예약가능합니다. 감사합니다.
포토 제목
 
 

인낚 최신글


인낚 최신댓글


온라인 문의 안내


월~금 : 9:00 ~ 18:00
토/일/공휴일 휴무
점심시간 : 12:00 ~ 13:00