감성돔 손맛 제대로 봤네요~제일호 핫조황(21일 예약)

신상품 소개


회원 랭킹


공지사항


NaverBand
점주/선장 > 선상(배) 조황
b_hot_activegloat_200x80.gif b_hot_innakmall_200x80_220704.jpg b_hot_ggsusan_hongeu_200x80.gif b_hot_innakmall_200x80_211203.gif

감성돔 손맛 제대로 봤네요~제일호 핫조황(21일 예약)

제일호 1 203
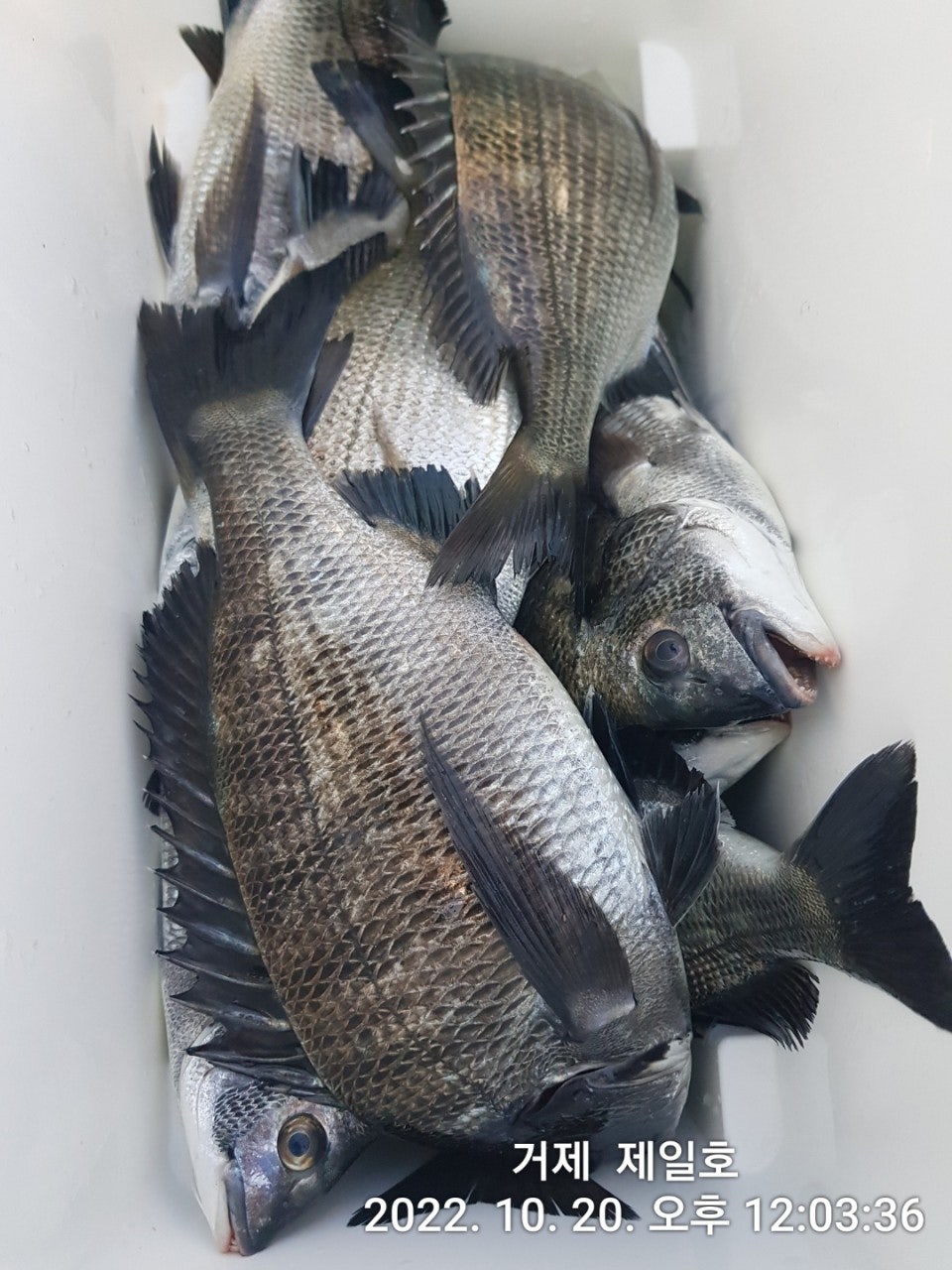
20일(목) 거제도 감성돔 냉장고포인트 진입~청곡항 "제일호" 조황입니다.
※ 5짜감성돔 포획시 AJIKA(아지카)라인에서 사은품 증정!!!

☆ 21일(금요일) 종일낚시 / 거제도 내만 감성돔낚시 "예약가능"
<내일 물때 정보 - 21일(금)물때, 3물, 만조 06:13분, 간조 11:59분>
굵은 감성돔 제대로 터졌습니다~

거제도 내만 감성돔 전문출조하는 청곡항 "제일호"입니다.
2명 조황입니다. 아침시간에 세게 한방놓고 걱정하는 것도 잠시, 어장
사이로 지나가는 어신찌에 미세한 입질이 파악~뒷줄견제에 어신찌가
 물속으로 순식간에 사라집니다. 챔질~ 4짜 굵은 감성돔이 보이더니,
 오늘은 전체 씨알이 상당히 좋은 편이였습니다. 수온이 감성돔낚시에
적합한 온도를 보이더니, 역시 굵은 사이즈 감성돔들을 끌고, 제대로
진입한 것 같습니다.

21일 금요일부터 거제도권 순위에 꼽히는 핫포인트만을 선점하여
진입합니다.오늘도 거제 제일호를 찾아 주신 조사님 수고 많으셨습니다.

▣ 제일호 감성돔낚시 출조 일정 ▣
☆ 21일(금요일) 종일낚시 / 거제도 내만 감성돔낚시 "예약가능"
☆ 22일(토요일) 종일낚시 / 거제도 내만 감성돔낚시 "예약가능"
☆ 23일(일요일) 종일낚시 / 거제도 내만 감성돔낚시 "예약가능"
- 주말 예약은 미리미리 서둘러 주세요.
※ 기상 변화 시 낚시에는 문제가 없는 거제 내만권 감성돔낚시입니다.

▣ 제일호 ☎ 010-2522-6324 ▣ 밴드 : band.us/@jaeilho
(선착장) 거제시 사등면 청곡리 518-6번지 청곡방파제

▩ 감성돔낚시 출조시간 및 선비 안내 ▩
(평일/주말 종일낚시) 05:00~14:00전후, 10만원
- 감성돔낚시 독배 예약 문의 (협의 가능).
※ 기상 변화 시 낚시에는 문제가 없는 거제 내만권 감성돔낚시입니다.

<제일호 이용시 유의 사항>
- 신분증은 필히 지참해야 하며, 음주행위는 법으로 금지.- 구명조끼는필수 지참

▣ 제일호 ☎ 010-2522-6324 ▣ 밴드 : band.us/@jaeilho
(선착장) 거제시 사등면 청곡리 518-6번지 청곡방파제
- 예약계좌 (수협) 731 62 030701 이성창

, , , , , , , , , , , , , , , , , , , , , , , , , , , , ,

1 Comments
제일호 22-10-20 13:58 0  
21일 감성돔낚시 예약 가능합니다. 감사합니다.
포토 제목
 
 

인낚 최신글


인낚 최신댓글


온라인 문의 안내


월~금 : 9:00 ~ 18:00
토/일/공휴일 휴무
점심시간 : 12:00 ~ 13:00