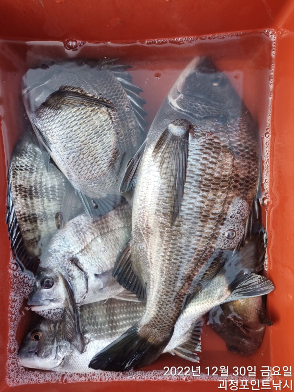
*감성돔 씨알급 마리수 "흘림 찌낚시"조황~(낼예약가능)*

신상품 소개


회원 랭킹


공지사항


NaverBand
점주/선장 > 선상(배) 조황
b_hot_activegloat_200x80.gif b_hot_innakmall_200x80_220704.jpg b_hot_ggsusan_hongeu_200x80.gif b_hot_innakmall_200x80_211203.gif

*감성돔 씨알급 마리수 "흘림 찌낚시"조황~(낼예약가능)*

괴정포인트낚시 0 208

KakaoTalk_20221230_164713557_03.jpg


KakaoTalk_20221230_164713557.jpg


KakaoTalk_20221230_164713557_01.jpg


KakaoTalk_20221230_164713557_02.jpg


KakaoTalk_20221230_164713557_04.jpg

감성돔 쿡쿡 처박는 손맛~최고~~!!

 씨알도 마리수도~~**(내일1월1일첫출조예약가능)**

 
   **새벽으로 많이 춥습니다.옷따습게 입고오셔요**


 ~**2023년 새해 일출구경겸,1월1일 첫출항 예약가능~
       
          
 **10시이후로는 문자 확인이 어려우니

       전화로 연락 부탁드립니다.

 "포인트피싱" 밴드로 초대합니다!!

 ↓ ↓ ↓ ↓ ↓ ↓ 


 #밴드로 오셔서 더많은 조황구경하세요#


주의사항.jpg


신분증 지참.jpg


감성돔완성.jpg

 


=== 창원 진해 포인트호 예약안내 ===

예약문의 : 010-4785-0205

오시는길 : 경남 창원시 진해구 제덕동 891 (아모르호텔 앞)

홈페이지 : http://pointfishingho.sunsang24.com/


모바일.gif 

blank.png1


0 Comments
포토 제목
 
 

인낚 최신글


인낚 최신댓글


온라인 문의 안내


월~금 : 9:00 ~ 18:00
토/일/공휴일 휴무
점심시간 : 12:00 ~ 13:00