>>열기.볼락 내가 줄태우기왕~!(화수목 예약중)

신상품 소개


회원 랭킹


공지사항


NaverBand
점주/선장 > 선상(배) 조황
b_hot_activegloat_200x80.gif b_hot_innakmall_200x80_220704.jpg b_hot_ggsusan_hongeu_200x80.gif b_hot_innakmall_200x80_211203.gif

>>열기.볼락 내가 줄태우기왕~!(화수목 예약중)

포항포시즌호 0 198
F194731666.jpg낚시뚜에서 인낚으로 보내는 자동조황
top01.png

포항포시즌호

포항포시즌호

top02.png
포항선상낚시 1번지 포시즌호와 함께해요♡
· 출조일시2022-12-26(월)
· 출조인원1명
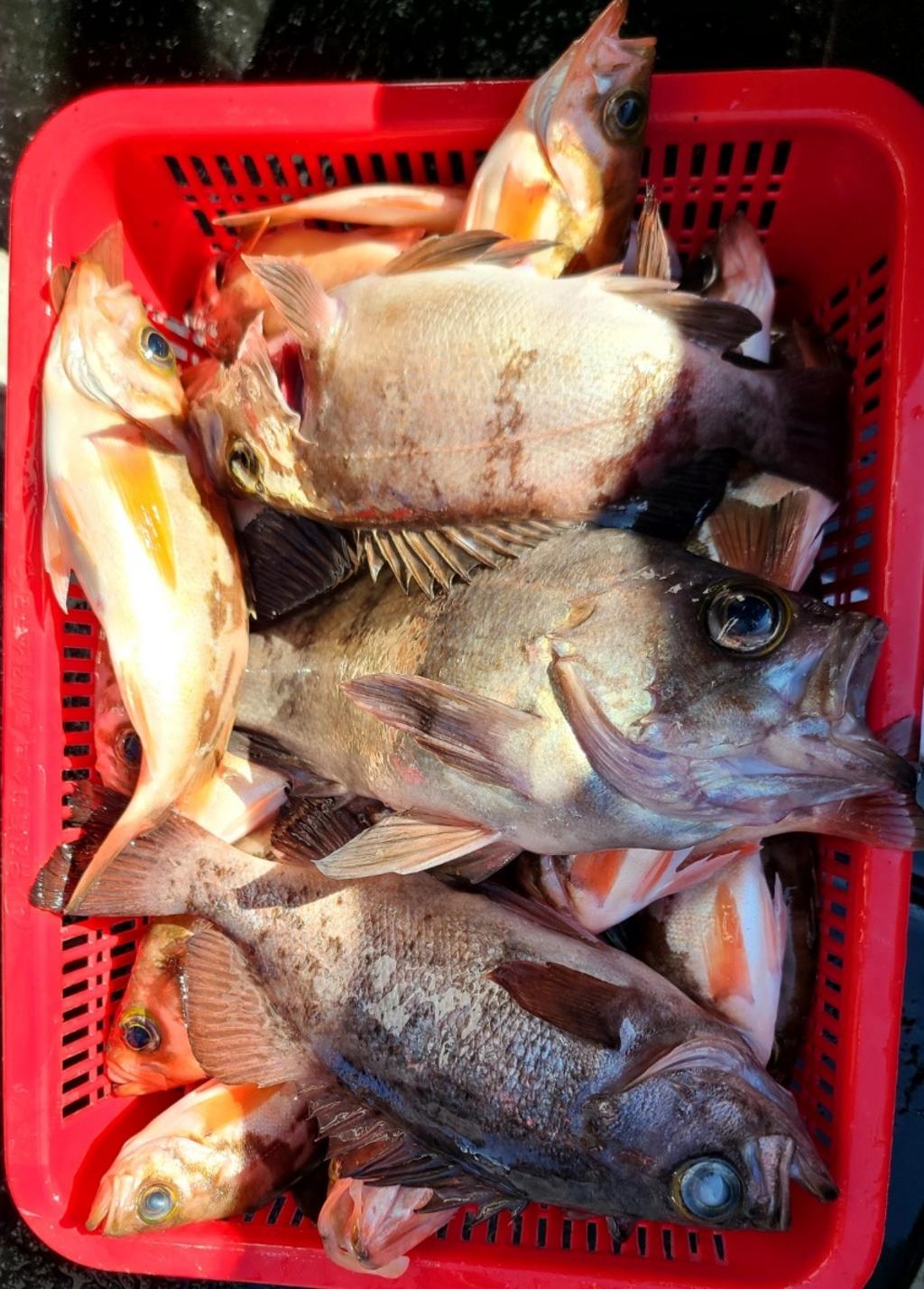
· 어종볼락,열기

포항 선상낚시 포/시/즌/호 

2020.8 월 진수한 최신식 선상낚시배

 

예약문의

010 .7136. 1235

 

경상북도 포항시 북구 해안로 515 

[여남방파제​]

 

수    협

계좌번호 : 0010-7136-1235

(예금주 : 김나경)

 

실시간조황 및 예약현황

▼▼▼ 

BAND 바로가기

 

즐거운 성탄절보내셨나요~???
저희도 빅이벤트없이 잘 지나갔네요~^^;;;

일단 내일 화요일부터 출항을 해볼까~하는데요

저녁까지 기상을 좀더~ 지켜보다가 출항확정지을듯합니다만
어찌됐건 일단 [화요일 8시 출항] 예약받아볼께요~!!!!!

수.목.금.토.일요일은 정시 출항하오니 미리예약부탁드립니다^-^


♡예약전문 사무장 010 7136 1235♡


12/27 (화) * 열기&볼락 : 오전 8시 출항~(예약중)

12/28 (수) * 열기&볼락 : 오전 6시30분 출항~(예약중)

12/29 (목) * 열기&볼락 :오전 6시30분 출항~(예약중)

12/30 (금) * 열기&볼락 :오전 6시30분 출항~(예약중)

12/31 (토) * 열기&볼락 :오전 6시30분 출항~(예약중)
* 열기&볼락 :오후 1시 출항~(예약중)

01/01 (일) * 열기&볼락 :오전 6시30분 출항~(예약중)
* 열기&볼락 :오후 1시 출항~(예약중)


☆ 최소 출항 10분전까지는 배로 집합하셔서 명부작성해주세요
☆ 대장쿨러절대금지~(40리터이하로 부탁드려요♡)

.
.
.
(차후날짜 예약가능합니다.)
.
.
.

●열기&볼락
[선비7만원]
>>낚시대대여비 : 1만원
>>채비세트선상판매
(채비 국산.일산/봉돌80호)

●개인준비물 : 아이스박스.얼음.신분증
(컵라면.생수.커피.음료 선상비치~무한제공♡)

●준수사항
>>구명조끼 상시착용
>>선내 주류 절대반입금지.음주금지
>>바다로 쓰레기무단투기금지
(선박 앞.뒤 쓰레기통.선내 쓰레기통 비치되어있습니다)
>>마스크착용 꼭 부탁드립니다

●환불규정

>>3일전 취소 100%환불
>>2일전 취소 50%환불
>>출조전날.당일 취소 환불 불가입니다.
.
.
.







#포항열기낚시
#포항볼락낚시
#포항겨울낚시
#포항바다낚시
#포항여남방파제
#포항선상낚시
#포항배낚시
#포항포시즌호
#포항영일대
#포항신항만
#포항낚시배

[작년 조황사진입니다]
F194731666.jpgF194731500.jpgF1947314BG.jpgF19473130B.jpgF1947312Z5.jpgF1947311XZ.jpgF19473107A.jpgF19473090I.jpgF1947308C7.jpgF1947307X3.jpgF1947306ST.jpgF1947305GR.jpgF1947304DJ.jpgF19473035B.jpgF19473024Z.jpgF1947301DN.jpgF19473006A.jpgF194729911.jpgF1947298O1.jpgF1947297ME.jpgF1947296RP.jpgF1947295BH.jpgF19472940N.jpgF194729310.jpg

 

매일 전원히트~!!!만쿨~~!!을 

외치진 못해도 포항선상낚시배중 가장 깨끗하고 편의시설좋으며 

간식거리넘쳐나고 친절하고 

아~~주 상냥한 선장님과 예약사무장까지~!!

이건 제일이라고 자신있게 말할수있습니다^_^

이제 선상낚시도 하나의 서비스업으로

자리매김했다고 생각합니다.

비슷한 선비를 내고 어느배를 탈것인지는 

조사님들의 몫이지요~

우리 현명하신 조사님들의 탁월한 선택하시길 바라며 

포시즌호는 늘 그자리에서 조사님들 기다릴께요


포시즌호와 함께 좋은 추억만 가져가세요

 

 

네비주소 :경상북도 포항시 북구 해안로 515 여남방파제

예약문의

010-7136-1235

수협

0010-7136-1235

김나경

nopic_cptn.jpg

포항포시즌호

포항포시즌호

이진 선장

590
항구명 포항여남항
승선인원 20명
출조점명 포항포시즌호
배 타는 곳

홈페이지 바로가기 Click

낚시뚜


0 Comments
포토 제목
 
 

인낚 최신글


인낚 최신댓글


온라인 문의 안내


월~금 : 9:00 ~ 18:00
토/일/공휴일 휴무
점심시간 : 12:00 ~ 13:00