어제까지 기상악화와 개인사정으로 계속 휴무하다 오늘 기상이
좋아져 어초밭에 감성돔흘림 다녀왔습니다.
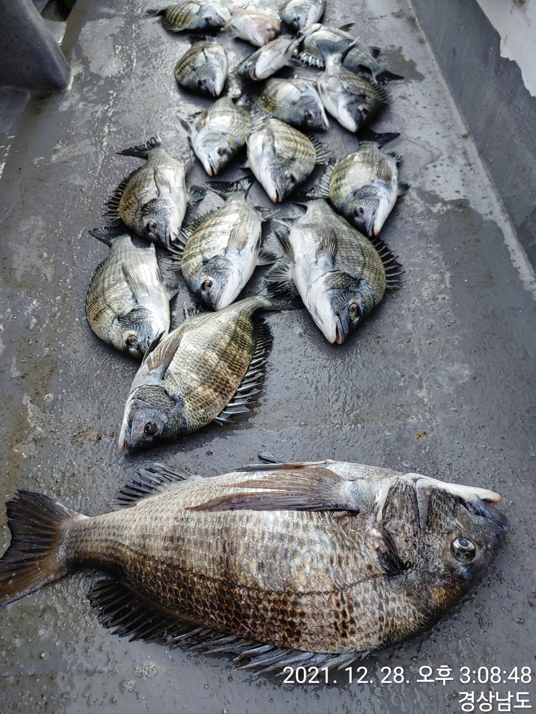
어초밭에서 51이하 감성돔 마리수하고 철수 했습니다.
내일도 열심히 달려 보겠습니다. 내일 5자리여유 있습니다.
감성돔 흘림 손맛보실분 연락주세요. 감사합니다.
- - - 12월,1월 감성돔흘림 예약현황 - - -
28일(화) - 예약완료
29일(수) - 5자리여유
30일(목) - 3자리여유
1월1일(토) - 예약완료
2일(일) - 예약완료
8일(토) - 3자리여유
9일(일) - 예약완료
15일(토) - 4자리여유
22일(토) - 5자리여유
29일(토) - 6자리여유
입니다. { 예약현황에 없는 날짜는 비어있습니다. 예약가능합니다.}
이후 예약 현황은전화로 문의바랍니다.
예약 현황은 예약하시는분 사정으로 수시로변경됩니다.
참고로하시고 원하시는 날짜 예약 하시는분은 전화로 확인해 주세요.
감사합니다.
※ 안내사항 및 공지사항 ※
저희 공룡호는 5.33t으로 12인승(선장포함) 낚시배이고
문어, 화살촉, 감성돔흘림, 내만갈치 전문 출조합니다.
★ 신분증(주민등록증.운전면허증) 미지참시
승선불가 하며 PASS 모바일 신분증(운전면허증)은 가능합니다.★
★미지참으로 인한 승선 거부시 환불 불가하오니 꼭 확인 바랍니다.★
★ 배에서는 절대 음주 금지 ★
★ 구명조끼는 승선과 동시에 착용하고 하선전까지 착용(개인벌금)★
※ 계좌 ※
수협 : 2020-4663-5805
예금주 : 박종화
※ 예약문의 ※
☎선장님 : 010-5811-9624
☎부재시 : 010-3586-2246
▶ 저희는 전화나 문자 예약 및 홈페이지, 밴드를 통한 예약이 모두 가능합니다.
예약현황 바로가기
☞http://dinosaur.sunsang24.com/ship/schedule/202107☜
공룡호 홈페이지
☞http://dinosaur.sunsang24.com/☜
공룡호 밴드
☞https://band.us/band/65567842☜
※ 찾아오시는 길 ※
출조지 : 통영시 광도면 용호로 356
사무실 : 통영시 광도면 용호로 356