카이져호)볼락,열기 쭉~ 출항안내
낚시뚜에서 인낚으로 보내는 자동조황
| |||||||||||||||||||
포항 NO.1 신신 카이져호 영일 신항만 유일하게 선장 + 사무장 있는 카이져호! 40년 경력의 프로 베테랑 선장님과 친절한 사무장이 있어 쉽고 편안하게 초보분들도 1:1 가이드를 받을수있습니다.
문의전화=010-3534-0917 수협= 0010-3534-0917 황유미 경북 포항시 북구 흥해읍 영일만항로 96
NAVER BAND 초대
https://band.us/@sinsin3968 (포항신신낚시,카이져호)
블로그=https://blog.naver.com/hmchph
| |||||||||||||||||||
![]() ![]() ![]() ![]() ![]() ![]() ![]() ![]() ![]() ![]() ![]() ![]() ![]() ![]() ![]() ![]() ![]() ![]() ![]() ![]() ![]() ![]() ![]() ![]() ![]() ![]() ![]() ![]() ![]() ![]() ![]() ![]() ![]() | |||||||||||||||||||
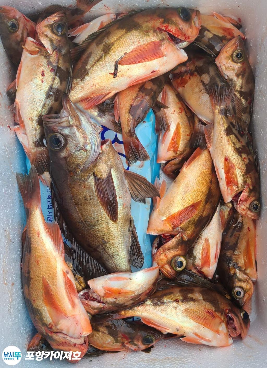
안녕하세요 포항 카이져호 입니다 많이 춥습니다 건강 잘 지키시구요~^^ 자 이제 정말로 볼락열기로 전환 시즌 어종으로 출항 합니다. 요번주도 출항일이 많이 나오지를 않습니다 해서 수요일,토요일,일요일 가능합니다 오전이나 오후는 아래 예약 현황을 참고해 주시면 되십니다 아무쪼록 좋은 조황으로 보답해 드리기 위해 늘 최선을 다하겠습니다 감사합니다 ~^^ | |||||||||||||||||||
☎=010-3534-0917 입금계좌 수협 0010-3534-0917 >> 왕볼락,왕열기 << 12/29(수)열기볼락오전(여유자리) 1/1 (토)열기볼락 종일반(여유자리) 1/2(일)열기볼락 오전(여유자리)
쭉 예약 중이며 기상황에 따라서 변동 될수 있습니다
★카이져호 여름시즌 대삼치,대방어(7~11월)
★카이져호 겨울시즌 왕볼락,열기 (11~4월) ★카이져호 봄 시즌 도다리,참가자미(4~7월) 오랜 낚시 40년 경력의 선장님과 센스있는 사무장님이 고객님들의 양손이 결코 가볍지 않토록 최선을 다해 모실것을 약속 드립니다~^^ ★선내 무상 제공 커피,생수,컵라면,시메용칼,개인물통,해수장치.구명조끼~♬ ★평일 한타임 주말 공휴일 두타임 ★평일?시 출항~(시간은 기타 조건 따라 그때그때 달라요) 종일반 06시~15까지 = 11만원 ★선입금은 필수이며 입금이 안되면 예약이 되지 않습니다. ★팽창식(카이져호)구명 동의는 반듯이 반납해주세요! ★환불 규정★ ★출조 1~2일전 취소시 환불 불가. ★ 예약완료시 3일전 환불 불가. ★예약시 반드시 확인 바랍니다. ★기상악화 특보시(태풍,풍랑주의보등) 전액 환불! ★기상특보 상황 외 선장님 낚시 불가 판단시 전액 환불! ★선내 주류 반입 불가 ★코로나19 예방을 위해 마스크 필히 착용 바랍니다 ★주민등록증 필참 카이져호 선상낚시 안내 신신 카이져호"는 9.77톤(22인승) 낚시배입니다. 포항시 북구 흥해읍 영일만항로 96 신 신 낚 시
포항대삼치전문,선상낚시,바다배낚시,카이져호삼치전문,대삼치,대방어 튜나,장어,왕도다리,참가자미,왕볼락,왕열기,영일만항배낚시,왕대구지깅 대삼치대방어 전문카이져호.포항대삼치,포항왕볼락,포항장어,포항도다리
| |||||||||||||||||||
| |||||||||||||||||||
![]() |