![]() |
![]() |
![]() |
![]() |
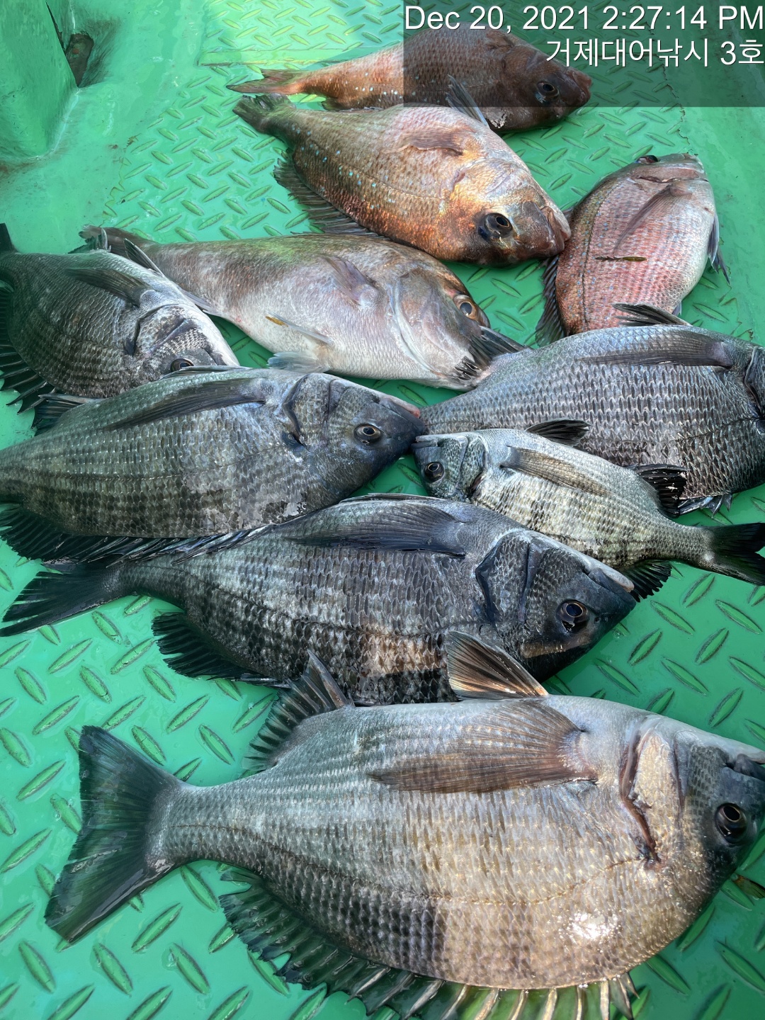
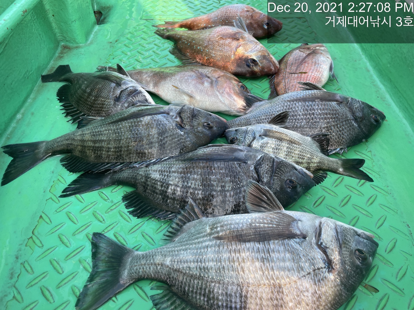
(감성돔) 어초~여밭 35전후 중치급들로어초~여밭으로 찌낚시 다녀왔습니다
35전후의 중치급들로 손맛 즐기셨구요
강한바람과 너울로 물돌이도 못본것이 아쉽네요
내일도 희망안고 감성돔찌낚시 출조합니다
예약가능합니다
☎예약문의☎
ㅁ선상낚시 (민박) 문의 : ☎ 010-6400-2082 / ☎010-4547-3937
ㅁ선외기 문의 : ☎ 010-6400-2082
거제 대어낚시 입니다.
1~8선단을 운영하고 있으며 거제도에서 가장 큰 규모를 자랑합니다.
★단체팀/회사팀/기업팀/동호회팀/선상낚시대회도
가능한 충분한 인원을 수용가능합니다.
■ 감성돔 낚시 (어장/어초/여밭)
한나절: 새벽부터~2시까지/ 9만원
오 전: 새벽부터~11시까지/ 6만원 / 오 후: 1시부터~해거름까지/ 6만원
※독배는 시간 조정 가능합니다.
- 어장어초 등에서 포인트가 이루어지기에 어장줄로 달릴 경우 목줄이나 원줄이
터질 확률이 높아집니다. 목줄 호수를 여유있게 준비하세요.
■ 참돔 흘림낚시 (중장거리 출조)
한나절:새벽부터 ~ 2시까지(유동적) 12만원
- 밑밥,미끼,도시락 제공, 커피, 음료, 생수 제공
(낚싯대) 기본 1.5호~2호대 530(경질대 선호)
(릴) 4000번~5000번. 권사량 180~200미터 추천되는 스피닝릴.
(라인) 원줄 4~5호 플로팅 또는 세미타입, 목줄 후로로카본 100% 4호~5호 선호.
(태클) 참돔 10~13호 추천, 큐션또는 수중큐션 -3B ~ -5B, 좁쌀봉돌, 스위벨도래
※독배는 시간 조정 가능합니다.
■ 생활낚시 & 낚시체험
- 몸만 오시면 됩니다.
- 낚싯대, 장비일절제공, 구명복 제공
■ 선외기 대여
(4인승)- 13만원, (3인승) - 10만원 / (2인승) - 8만원 / (1인승)- 7만원.
영업구역 내 조정면허증 필요 없으므로, 누구나 이용이 가능합니다.
- 선외기 사용교육 3분이면 바로, 운전하실 수 있습니다.
★안전한 독배체제 선상낚시 운영★
- 3인팀, 4인팀, 5인팀, 6인팀, 7인팀으로 다양한 인원으로 독배 운영.
- 코로나19로 부터 안전한 낚시를 즐기기 위해 동행한 분들과 함께 출조.
★대어낚시 선단★
거제 대어낚시 1호 ㅡ 대어호
거제 대어낚시 2호 ㅡ 안드레아호
거제 대어낚시 3호 ㅡ 안젤라호
거제 대어낚시 4호 ㅡ 돌핀호
거제 대어낚시 5호 ㅡ 미래호
거제 대어낚시 6호 ㅡ 거제바다호
거제 대어낚시 7호 ㅡ 사랑호
거제 대어낚시 8호 ㅡ 부영호
★찾아오시는길★
※출항지: 거제시 거제면 법동리 1074번지 아지랑경로당 방파제
사무실 :거제시 거제면 서정리 746-3(GS25시편의점)검색하시면 바로 옆 위치
★★★신분증 꼭 지참해주세요★★★
☎예약문의☎
ㅁ선상낚시 (민박) 문의 : ☎ 010-6400-2082 / ☎010-4547-3937
ㅁ선외기 문의 : ☎ 010-6400-2082
■ 주변 제휴 민박집 ■
아지랑 민박(단체-독채) ☎010-6400-2082
해송굴구이민박 (단체) ☎010-2545-3755
거제 대어낚시 주변 파라스파찜질방 검색하시면 됩니다.
#참돔낚시, #거제도참돔낚시, #참돔선상낚시, #감성돔낚시, #감성돔출조, #감성돔선상낚시, #어초흘림낚시, #대어낚시, #거제도대어낚시, #거제도배낚시, #선상낚시, #거제대어낚시
|
|
|
|

















