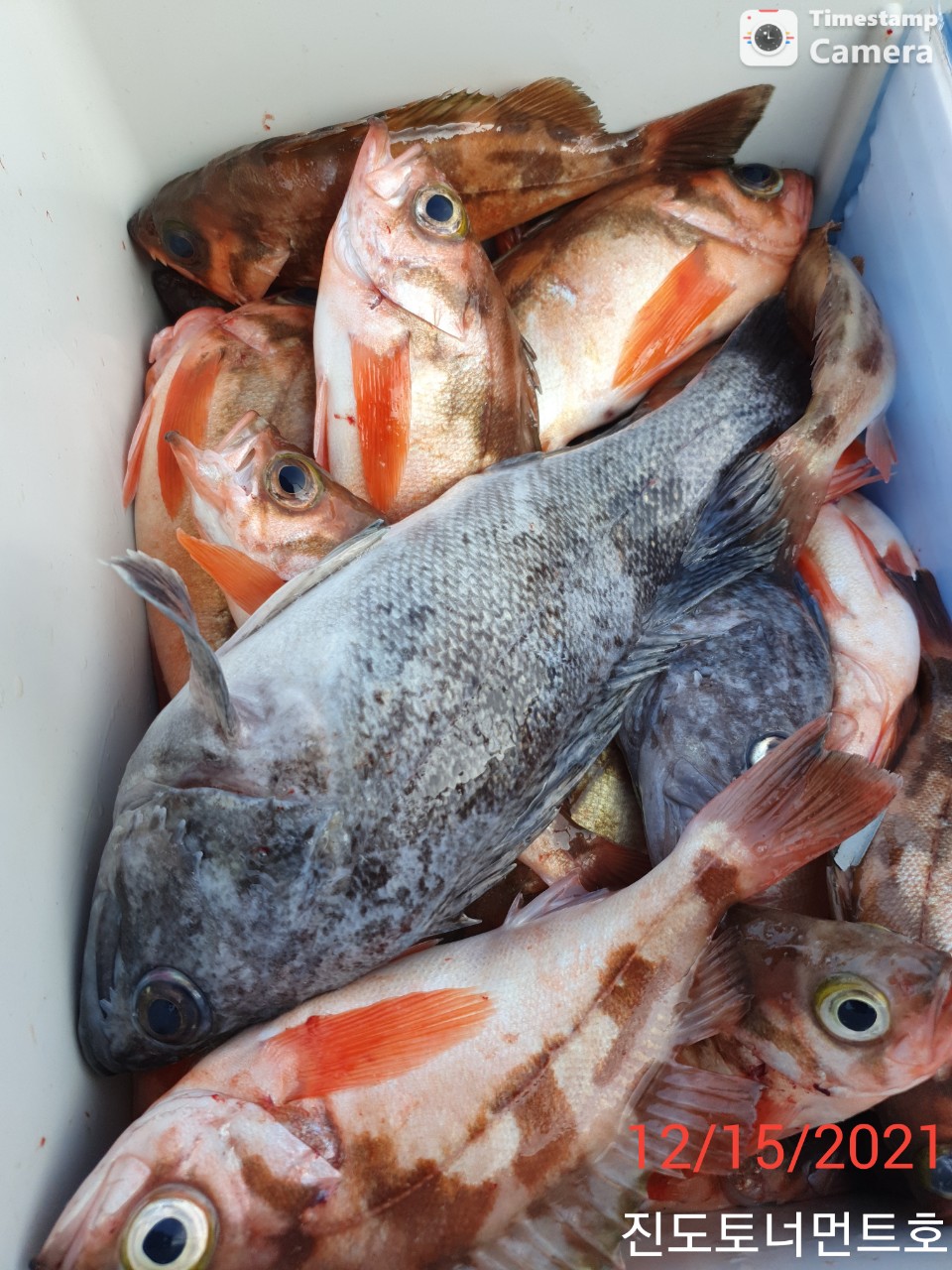
《진도토너먼트호》12월15일 열기,우럭출조조황입니다안녕하세요~ 진도토너먼트호 선장입니다^^
12월15일 열기,우럭출조조황입니다
함께 하신 조사님들 고생하셨습니다
감사합니다!
가거도,태도,홍도---왕우럭,열기
출조인원---20석
기상만 좋으면 언제든 출항합니다
낚시대 : 우럭대, 열기대
릴 : 전동릴 (합사6호)
봉 돌 : 120호 / 10~15개정도
우럭채비 : 3~5단 /
열기채비: 10단/ 여유있게준비
*우럭바늘/24호/26호/28호/ 여유있게준비
*열기바늘/15~20호
핀도래 8호정도 준비
(채비와 바늘줄 연결용으로 꼬임을 최소화하기 위함)
미 끼 : 오징어. 꽁치, 미꾸라지, 꼴뚜기
장갑, 미끼용칼, 쪽가위, 기타개인물품
*쿨러는 냉장고쿨러 가져오지 마시고
*꼭* 50리터 미만으로 가져오세요~
*출조예약문의 : 010-9789-5577
자세한 사항은 문의주세요
부재시 문자남겨 주시면 연락드리겠습니다
04시출항~18시입항
출항지--진도 서망항
선 비--15만원
예약자명:
출조인원:
입금자명:
꼭~말씀해주세요
#갈치
※ 출조예약 문의 = 010 - 9789 - 5577
미리 예약부탁드립니다
자세한 사항은 문의주세요
부재시 문자남겨 주시면 연락드리겠습니다
● 왕갈치 ●
*갈치낚시좌석 18석으로 운영 합니다*
5명이상 자리우선 배정합니다
선비-18만원
● 개인준비물●
갈치낚시대,전동릴,갈치박스,집어등,
따뜻한겉옷, 면장갑,미끼칼...등
(미끼써는 칼, 멀미약은 개인이 준비하세요)
(낚시대-1만원,릴-2만원,아이스박스-1만원
임대는 미리 말씀해주세요)
*무료지급*
석식,야식,컵라면,음료수,얼음,생수,커피.미끼,봉돌
# 마스크착용은 필수입니다
# 신분증 꼭 지참해주세요
# 구명조끼반드시착용*(미착용시벌금부과)
# 선내음주금지*(벌금부과)
# 예약 현황 #
전화 문의 주세요!!
※ 진도토너먼트호 밴드로 초대합니다.
https://band.us/n/aba65aBel8CbN
※ 진도토너먼트호 블로그로 초대합니다.
※ 진도토너먼트호 홈페이지로 초대합니다.