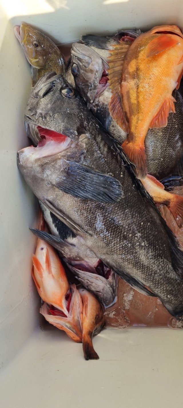
ll 넘버원1호 ll 12.10 넘버원1호(NO.1) 침선 어초 먼바다 우럭 조황 입니다.

회원 랭킹


NaverBand
점주/선장 > 선상(배) 조황
b_hot_activegloat_200x80.gif b_hot_nios_200x80.gif b_hot_ggsusan_hongeu_200x80.gif b_hot_innakmall_200x80_211203.gif

ll 넘버원1호 ll 12.10 넘버원1호(NO.1) 침선 어초 먼바다 우럭 조황 입니다.

격포넘버원피싱 0 189
● 출항지 : 격포


 

오랜만에 먼바다 다녀 왔네요


우럭 싸이즈는 좋은데 마릿수가 아쉽네요

열기도 그럭 저럭 나왔는데 열기 채비가 없어

아쉬운 하루 였네요

오늘도 열심히 해주신 조사님들 감사드립니다

열기채비 몇개씩은 준비하셔야 할것 같네요

쿨러 30 이하와 얼음 꼭 챙기세요

오늘도 갈치 쿨러가 많아 힘드네요

넘버원 선단과 함께 하실 조사님들 연락주시기 바랍니다.
 

*예약&안내 정총무 010-6594-1511
구주소)전북 부안군 변산면 마포리 555-5
신주소)전북 부안군 격포로 22

 
*격포 넘버원피싱 홈페이지 클릭 ---->   http://www.no1fish.com/
홈페이지에서는  더 많은 조황사진 및 예약사항을 확인하실 수 있습니다.

 
*네이버 "넘버원피싱" 밴드 가입하기 ----->  https://band.us/@no1fishing
격포 넘버원피싱 네이버 밴드에 가입하셔서 다양한 이벤트 및 공지사항을 확인하실 수 있습니다.


*넘버원2호(NO.2) 9.77톤 20인승 / 넘버원4호(NO.4) 4.99톤으로 11인승 탑승가능합니다.
 독선 및 체험 낚시는 미리 안내 받으시고 예약 부탁드립니다.


* 넘버원3호 9.77톤 20인승
문어 / 생미끼 다잡아 (우럭 광어 노래미 농어 민어 참돔 갈치 지깅 등등)로 출항합니다.
 2단채비 사용/ 생새우+오징어 미끼/ 서해안의 다양한 어종 손맛보러 오세요~!!! 

 독선 및 체험 낚시는 미리 안내 받으시고 예약 부탁드립니다.
 

0 댓글
포토 제목
 
 

인낚 최신글


인낚 최신댓글


온라인 문의 안내


월~금 : 9:00 ~ 18:00
토/일/공휴일 휴무
점심시간 : 12:00 ~ 13:00