









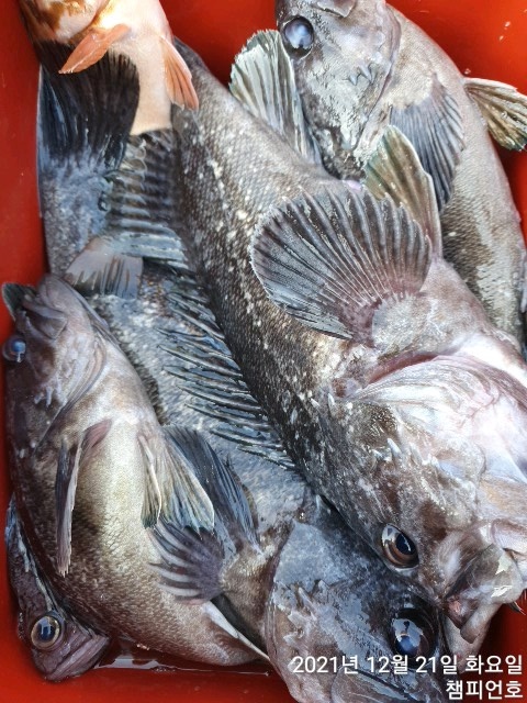
12월21일 챔피언호, 개우럭,왕열기 조황~
겨울이 좋습니다,
통통한 우럭이 낚이는 겨울이 좋습니다.
제철 맞은 우럭시즌~~
우럭이 낚이는 가을~
겨울이 시작되는 시기~
우럭이 좋습니다~
우럭,등도 마릿수로 낚여 올라왔습니다.
풍성하고 다양한 어종들~~
우럭낚시에 자랑입니다.
------------------------------------------------------------------------------------------------------------------------------
★현재 점심은 도시락 개별도시락이며 마스크 워머는 ★필수★입니다.
선상낚시는 선장님이 좌우합니다 !
실력 있으신 선장님과 같이 조사님들의 실력을 뽐내는 것도 좋을 것 같네요!
좋은 날씨에는 무조건 출조 합니다,
감사합니다.
-------------------------------------------------------------------------------------------------------------------------
참고 사항 : 가격은 배마다 차이가 있는 배가 있습니다. 선장님 책정 가격이니 홈페이지 참고하시거나 문의전화 주시면 좋습니다.
** 내만권 우럭,광어 오전, 오후반 1인 40,000원 **
** 생새우 외수질 광어,농어,우럭,민어 (시즌별 다양한 어종) 1인 100,000원(미끼값 별도) **
** 말도, 관리도등 중, 내만권 종일 1인 70,000원~80,000원(중식제공) **
** 원도권 : 1인 10만원~11만원 (중식포함) **
▶ 참돔.광어.우럭.선상낚시 6~8명이 할수있는 선박은 45~50만원,
▷ 광어 우럭 10~11명 정원 선박은 60만원,
▶서해권 최다 선박30여척보유, 11인승, 15인승, 17~18인승, 20인승보유
▷ 우럭 전용선, 광어생새우나,다운샷, 참돔전용선등등
- 서해권이나, 군산권에서는 최대로 총보유 선박이 36척을보유하고 있습니다.
▶ 10~11인승-60만원 (문의)
▷ 6인,10인, 13인,15인승, 18인승, 20인승 보유 (문의)
★☆★☆ 참돔,광어,농어용 베이트릴 대여도 합니다. (미리 예약 필수!) ☆★☆★
● 단체도 장비대여 가능, 홈페이지 예약 시 홈페이지 요청사항에 써두셔도 ok (홈페이지 참조)
※홈페이지 주소 : http://gunsannaksi.com/index.php
※ 밴드 주소 : https://band.us/n/a1a333Xc3bL1l
§오늘의 조황 §↓클릭
http://gunsannaksi.com/index.php?mid=gall
♣ 출조안내 및 예약문의 [군산낚시프라자]
☎ 전화 1 : 010-9453-4046
☏ 전화 2 : 010-9477-4046