루어~~밤뽈락~~내일도 출조~~

회원 랭킹


NaverBand
점주/선장 > 선상(배) 조황
b_hot_activegloat_200x80.gif b_hot_nios_200x80.gif b_hot_ggsusan_hongeu_200x80.gif b_hot_innakmall_200x80_211203.gif

루어~~밤뽈락~~내일도 출조~~

경민피싱 0 142
● 출항지 : 사천
top01.png

삼천포

사천 경민피싱

top02.png
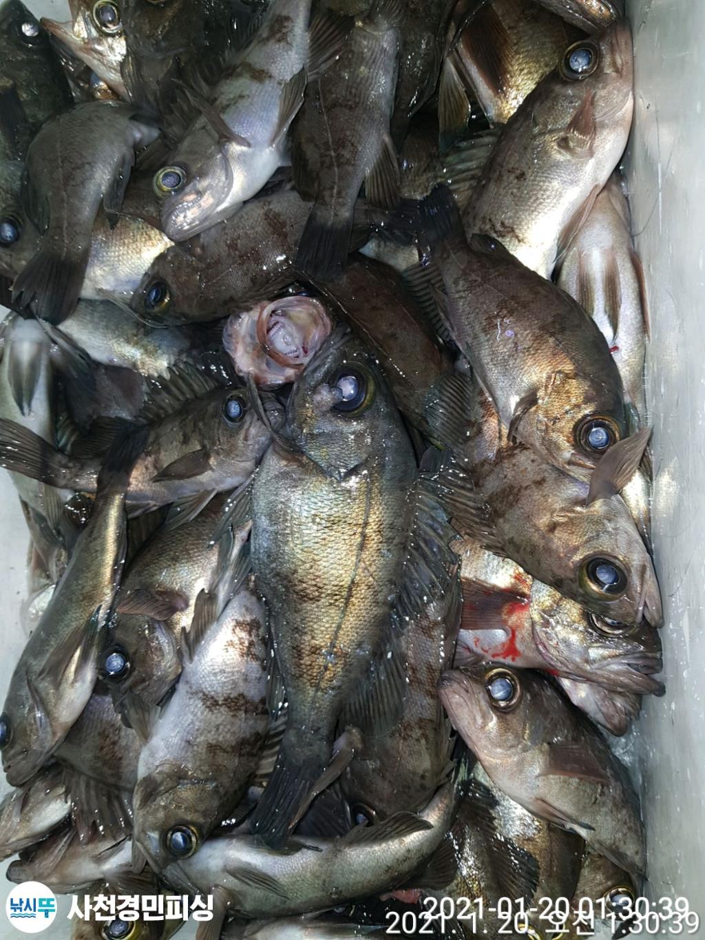
차가워진 수온탓에 씨알이 아쉬운하루였습니다ㆍ
내일도 기상좋아 출조확정입니다ㆍ자리널널합니다ㆍ4시30분출항~
· 출조일시2021-01-19(화)
· 출조인원6명
· 어종볼락

 20200617.075641.686.M0009541W0_600.jpg 

사천 삼천포 팔포항

경/민/피/싱

문어/참돔 시즌이 드디어 시작됐습니다.

문어하면 삼천포 경민피싱이죠.

조황을 위해 항상 최선을 다합니다.

 

문의전화 :010-4002-9393

주소: 경남 사천시 팔포3길56-57

출조 어종 : 참돔, 갈치,감성돔,화살촉오징어,문어,볼락?

 

F1210219O9.jpg

F121021862.jpg

F1210217N8.jpg

F12102168O.jpg

F1210215E6.jpg

F1210214BH.jpg

F1210213A8.jpg

F1210208IY.jpg

F1210212FS.jpg

F1210211ET.jpg

F1210210D6.jpg

F1210209ZQ.jpg

사천 삼천포 팔포항
경/민/피/싱

문어 출조 : 6만원 / 06시출조

문어낚시대 무상 임대

참돔 출조 : 10만원 / 

 

주말 예약 필수

홈페이지 조황 및 예약 현황보기

문의전화 :010-4002-9393

주소: 경남 사천시 팔포3길56-57?? 

 

농협

351-0049-3501-23

이현주

네비주소 :경남 사천시 팔포3길56-57

예약문의

010-5452-0753

농협

351-0049-3501-23

이현주

100

삼천포

사천 경민피싱

박진석 선장

590
항구명 삼천포 팔포항
승선인원 14명
출조점명 경민피싱
배 타는 곳팔포항 선착장
홈페이지 바로가기 Click
낚시뚜

0 댓글
포토 제목
 
 

인낚 최신글


인낚 최신댓글


온라인 문의 안내


월~금 : 9:00 ~ 18:00
토/일/공휴일 휴무
점심시간 : 12:00 ~ 13:00