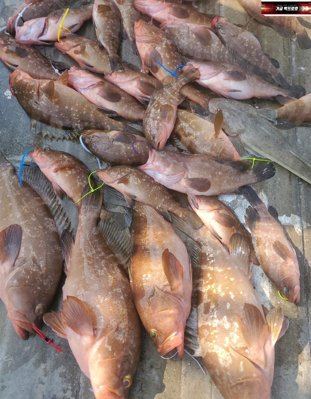
귀족고기 붉바리 많이 나옵니다

회원 랭킹


NaverBand
점주/선장 > 선상(배) 조황
b_hot_activegloat_200x80.gif b_hot_nios_200x80.gif b_hot_ggsusan_hongeu_200x80.gif b_hot_innakmall_200x80_211203.gif

귀족고기 붉바리 많이 나옵니다

박프로fishing 0 123
● 출항지 : 고흥,녹동

#붉바리 #대물민어#참돔

11월2일

생미끼 외수질 출조 합니다. 


귀족고기 붉바리 많이나옵니다.


  붉바리, 민어농어,광어,참돔등 

손맛 보실수  있습니다


☆8월~11월까지

외수질낚시는 계속됩니다

  ★4059fa25a787e968f86b6fe5945d9da0_1635718530_5967.jpeg



4059fa25a787e968f86b6fe5945d9da0_1635718531_0015.jpeg



4059fa25a787e968f86b6fe5945d9da0_1635718531_3551.jpg



4059fa25a787e968f86b6fe5945d9da0_1635718531_5666.jpg



0bb012017a94bb400e51bf54806c1137_1635686227_5387.jpg



0bb012017a94bb400e51bf54806c1137_1635686227_7789.jpg



0bb012017a94bb400e51bf54806c1137_1635686228_0402.jpg



0bb012017a94bb400e51bf54806c1137_1635686228_2694.jpg



(조금전후)~ 주꾸미 출조 예약중!

  다잡아외수질출조>>>

▪️선비 

☞13만원(미끼포함)

▪️출조시간: 

오전5시 출항~오후3시철수(4~5시경입항)

☆문의

☎️ 010  9149  8200

☆예약은

홈페이지

 http://parkpro.sunsang24.com

0 댓글
포토 제목
 
 

인낚 최신글


인낚 최신댓글


온라인 문의 안내


월~금 : 9:00 ~ 18:00
토/일/공휴일 휴무
점심시간 : 12:00 ~ 13:00