![]() |
![]() |
![]() |
![]() |
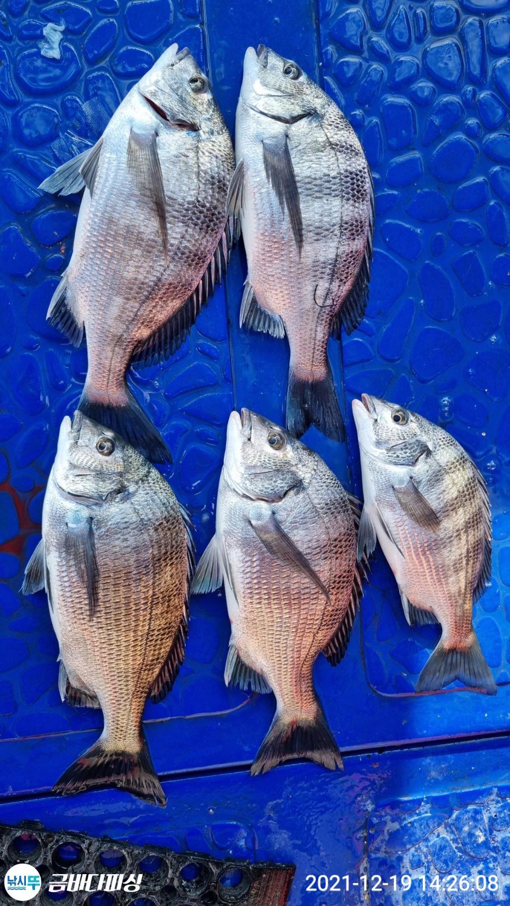
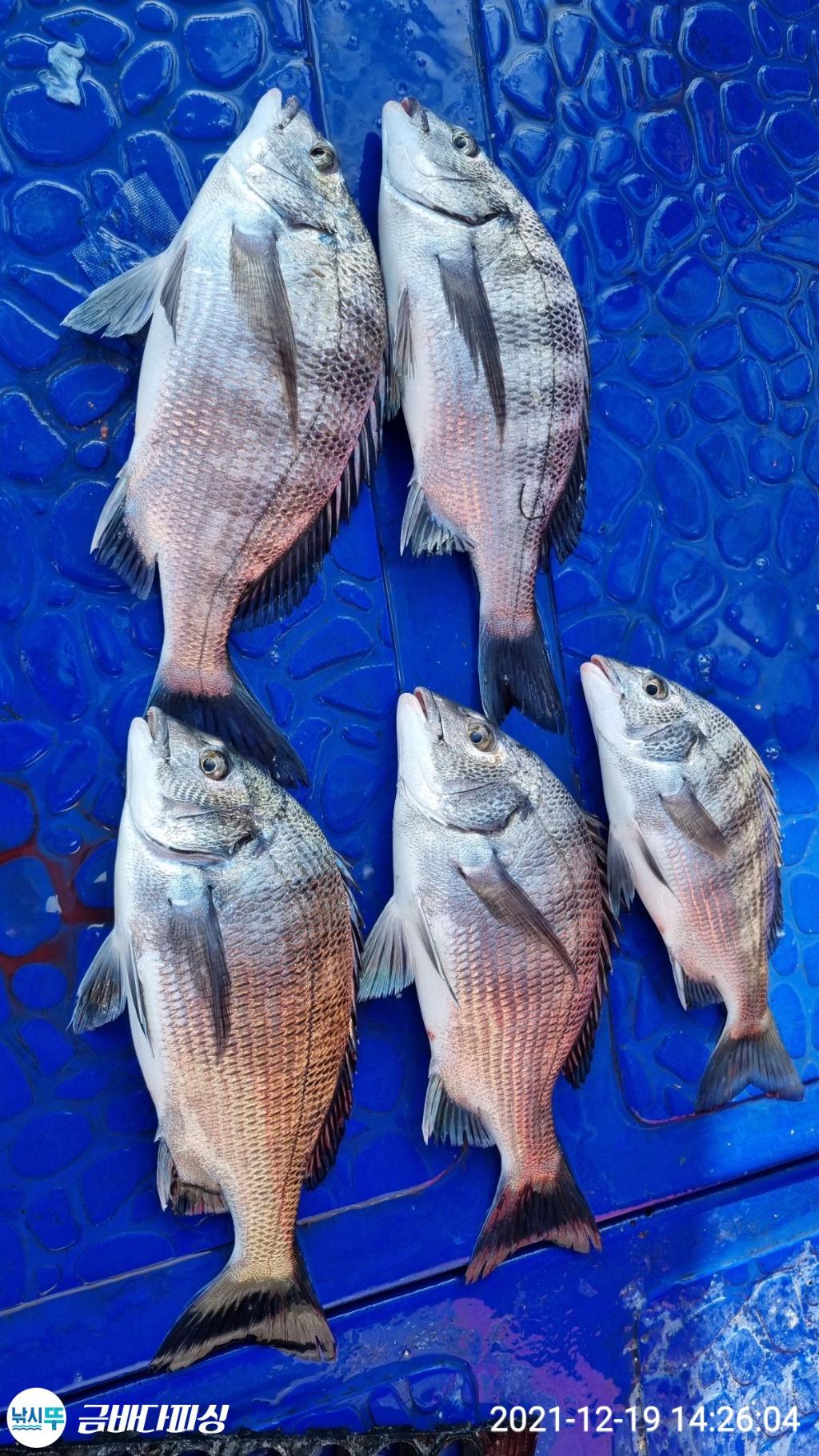
감성돔흘림 출조합니다
낚시뚜에서 인낚으로 보내는 자동조황
| |||||||||||||||||||
금/바/다/피/싱 문의 010-3539-2105 위전화 안될시에에만
010-9007-2105
준내만 및 먼바다 갈치출조 안내
갈치대전용대 ,전동릴 3000번이상
원줄 16호 및 합사 ,기둥졸 8단 및10단
초보 조사님을 위안 가이드및 전동릴 낚시대 대여
채비및 스티로폼쿨러 선상 판매
목장갑,가위 ,칼만 챙겨오심 됩니다
상황에 맞추어 준내만권이든 먼바다이든
고기 나오는 쪽으로 달리겠습니다
저녁식사및 음료제공
선비 10만원
참돔꼬라박기 출조안내 낚시대 1호 2.5호 3호 원줄 6호 이상 목줄6호 7호 참돔 바늘 12호 봉돌은 물때에 따라 20~60호 까지 기둥줄은 선상에서 지급 미끼및 점심식사.음료제공 오전 6시출조 오후3~4시입항선비 12만원 돌문어 주간및 야간 출조안내 6월9일 부터 출조 문어루어대 ,합사2호~3호 문어에기및 레이저 에기.문어채비(낚시점 구매) 핀도레 낚시대 없으신분 베이트릴낚시대무상대여. 채비는 미리말씀하심 준비해드립니다 주간출조 오전5시 출조 2시입항 주말,평일 7만원(사량도집밥식사음료제공) 야간 출조 오후3시출조 오후8시입항 선비5만원 (컵라면 음료제공) 야간 볼락및 주간볼락 출조 빙글 빙글카드 6단 바늘9~10호 또는 미끼없이 사용하는 모러겐9호10호
봉돌80호 전동릴사용및 스피닝릴 전동릴,낚시대 뽈락전용3미터전후
내만권 주간 8만원 야간 8만원 먼바다 주간,야간 선비10만원 주간 미끼는 민물새우 ,야간은 청개비
주간오전7시 출항 15시입항
야간병행 오후4시출항 01시입항
커피및 라면,밥 간단식사제공
생활낚시,체험낚시(뽈락)
낚시대 대여및 채비선상판매 미끼제공
뽈락 라면및 커피음료제공
몸만오셔도 됩니다 4시간 선비 5만원
"금바다 피싱" 밴드로 초대합니다. http://band.us/n/aaa0za24D976U 밴드명을 검색해 가입할 수 있습니다.
* 선상 음주절대 금지
*신분증 필히 지참
금/바/다/피/싱 문의 010-3539-2105
위전화 안될시에에만
010-9007-2105 경남 통영시 산양읍 풍화일주로 440-1 농협 352-1411-3328-93 최 병학
| |||||||||||||||||||
퍽퍽합니다 | |||||||||||||||||||
![]() ![]() | |||||||||||||||||||
안녕하세요 금바다 피싱 입니다 근래 며칠동안 출조지못하여 사진은 이전조황입니다 양해바랍니다 내일은 주간열기출조 예약완료 모레 25일토요일 감성돔출조 자리 비어있습니다 26일 일요일 감성돔출조 자리 비어있습니다 출조하실분이나 궁금하신점 언제든 전화주세요 감사합니다 | |||||||||||||||||||
| |||||||||||||||||||
| |||||||||||||||||||
![]() |
|
|
|
|










