![]() |
![]() |
![]() |
![]() |
안녕하십니까.
남해의외로운갈매기 정봉환입니다....
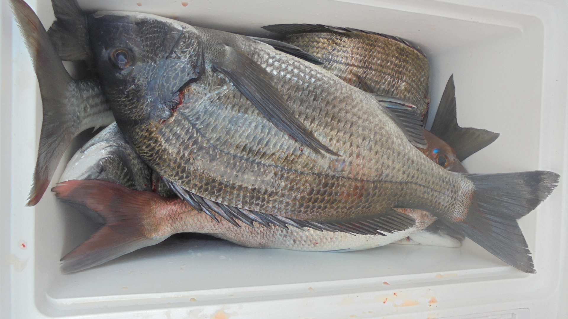
가을 감성돔이 올해는 큰 씨알이 나오네요.
몇번의 터짐속에 45급겨우 한수했네요.
내일도 그곳으로 갑니다.
☆ 6.66톤(등대7호)
흘림정원7명 (흘림전용 6톤급 로 시즌에따라 내만/원도 유동적으로 출조합니다
◇ 출조문의 : 010-6612-6265
(밑밥,미끼,음료,도시락 기본제공)
◇ 감성돔 출항시간 : 05:30-14:00
※계절에따라 출입항 시간은 조금씩 변경됩니다
◇ 선비안내
□내만(권 10만(장곳이.수우도.마안도.팥섬)
□원도권 12만(구돌여.갈도.욕지도.소치도.세존도)
#.내만권칼치출조안내
출조시간:18:00///철수시간24:00(유동전)
선비안내:내만권6만원(장곳이.수우도,사랑도)
원도권8만원(두미도.욕지도)
|
|
|
|





