신지 신바다

신상품 소개


회원 랭킹


공지사항


NaverBand
점주/선장 > 갯바위 + 방파제 조황

신지 신바다

신지신바다 0 183
● 출항지 : 완도
F279282761.jpg낚시뚜에서 인낚으로 보내는 자동조황
top01.png

민어킬러

신바다호

top02.png
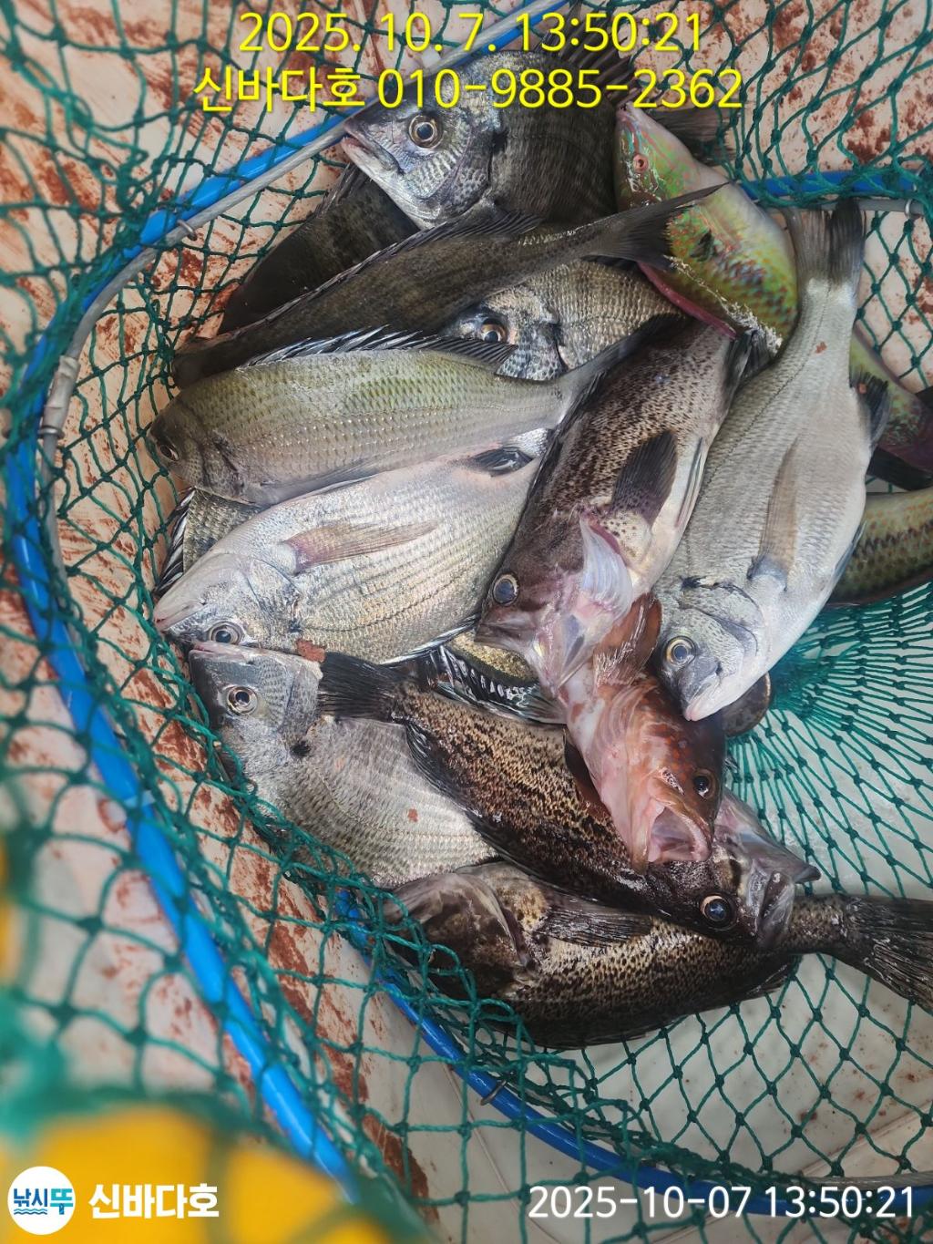
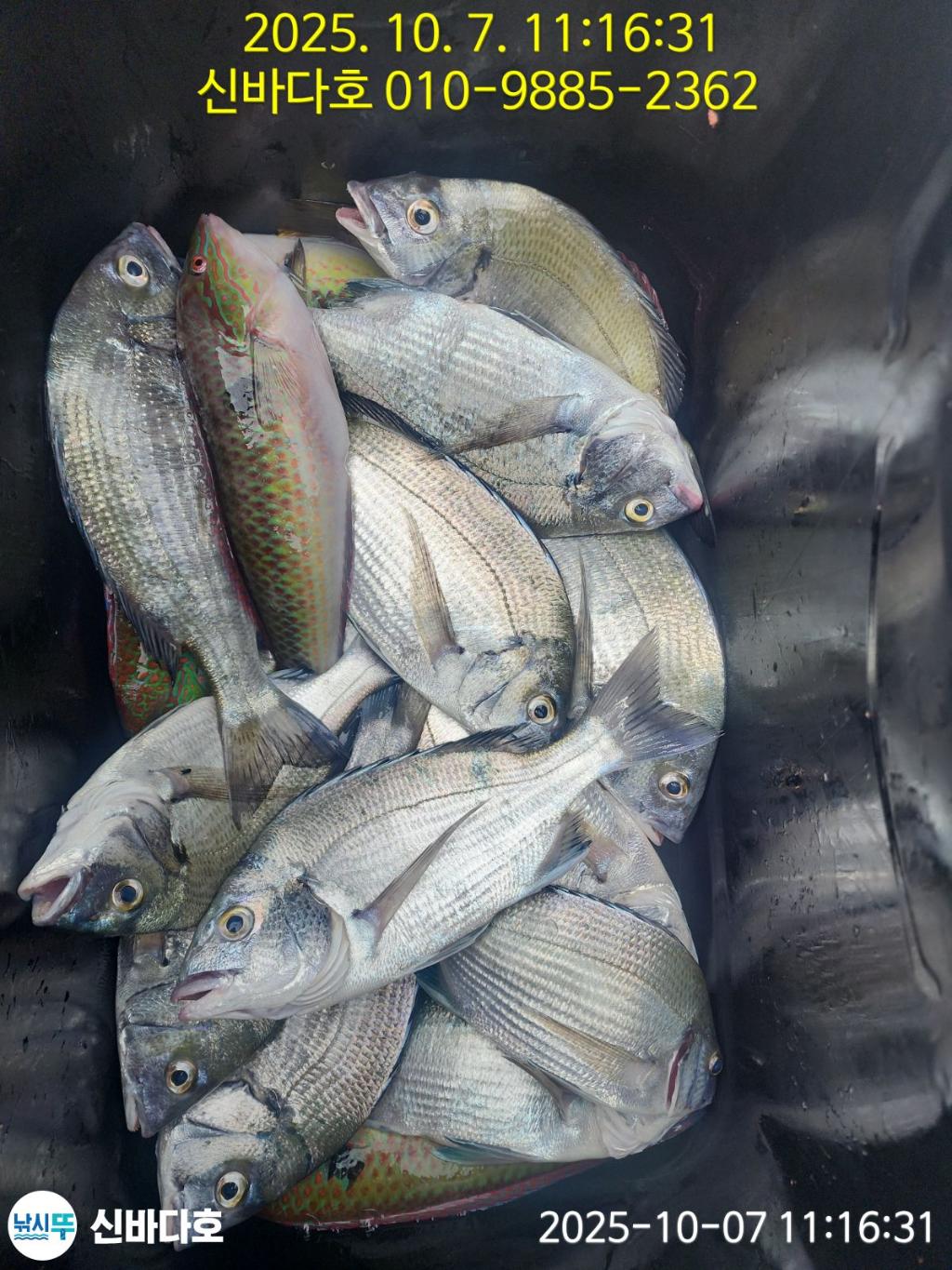
· 출조일시2025-10-07(화)
· 출조인원6명
· 어종감성돔

오늘도 신바다를 찾아주신 조사님들 감사합니다

F279282761.jpgF2792826HE.jpgF2792825OX.jpgF2792824JZ.jpgF279282398.jpg

오늘도 신바다를 찾아주신 조사님들 감사합니다.


​신분증 꼭 준비하십시요

2인 이상 수시로 출조 합니다 (전화 확인)

밑밥(막기) 필요하신분은 전날 말씀 해주세요

출조지: 형도.제도. 외룡도.본도 3만

농여.모황도.진섬 3만5천

선창주소:전남 완도군 신지면 신지로 1012-16

​신바다호 010-9885-2362

네비주소 :전남 완도군 신지면 신지로 1012-16

예약문의

010-9885-2362

수협

0000 9885 2362

최문석

F00732823L.jpg

민어킬러

신바다호

최문석 선장

F05076673W.jpg
항구명 가인리항
승선인원 8명
출조점명 신지신바다
배 타는 곳전남 완도군 신지면 신지로 1012-16

홈페이지 바로가기 Click

낚시뚜


  • 페이스북으로 보내기
  • 트위터로 보내기
  • 구글플러스로 보내기
  • 카카오스토리로 보내기
  • 네이버밴드로 보내기
  • 네이버로 보내기
  • 텀블러로 보내기
  • 핀터레스트로 보내기
0 댓글
포토 제목
 
 

인낚 최신글


인낚 최신댓글


온라인 문의 안내


월~금 : 9:00 ~ 18:00
토/일/공휴일 휴무
점심시간 : 12:00 ~ 13:00