접도권 조황

신상품 소개


회원 랭킹


공지사항


NaverBand
점주/선장 > 갯바위 + 방파제 조황

접도권 조황

접도낚시 0 190
● 출항지 : 해남,진도

*안녕하세요
진도접도에 위치한 접도낚시 입니다
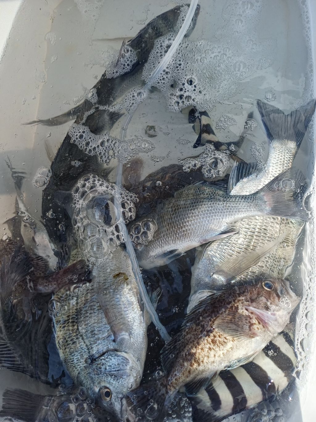
오늘은 접도 구자도 독거도 갯바위 출조 하였답니다
접도 구자도 독거도 갯바위 조황입니다 출조하신조사님대부분 감성돔 돌돔 손맛을 보셨답니다
꽁치신분도 몇분정도 있었답니다
터트리신조사님도 있었답니다
*접도 구자도 밀매 만여 외모도 독거도 복사초 갯바위 선상출조 합니다
*주민 등록증 필수 지참*
***진도접도낚시 협회 밴드로 초대합니다(더빠른조황을 볼수있네요)**
참고하시고 출조하세요
*접도 구자도 밀매 만여 외모도 독거도 복사초 갯바위 선상출조 합니다
*주민 등록증 필수 지참*
***진도접도낚시 밴드로 초대합니다(더빠른조황을 볼수있네요)**
참고하시고 출조하세요
주소:진도군 의신면 수품길18번지
★출조 및 예약 문의★010-9433-0232 ★061-544-0235

  • 페이스북으로 보내기
  • 트위터로 보내기
  • 구글플러스로 보내기
  • 카카오스토리로 보내기
  • 네이버밴드로 보내기
  • 네이버로 보내기
  • 텀블러로 보내기
  • 핀터레스트로 보내기
0 댓글
포토 제목
 
 

인낚 최신글


인낚 최신댓글


온라인 문의 안내


월~금 : 9:00 ~ 18:00
토/일/공휴일 휴무
점심시간 : 12:00 ~ 13:00