네임
카드
카드
달량진낚시
전남 해남군 북평면 현산북평로 1133
010-5408-4906
061-534-4009
전남 해남군 북평면 현산북평로 1133
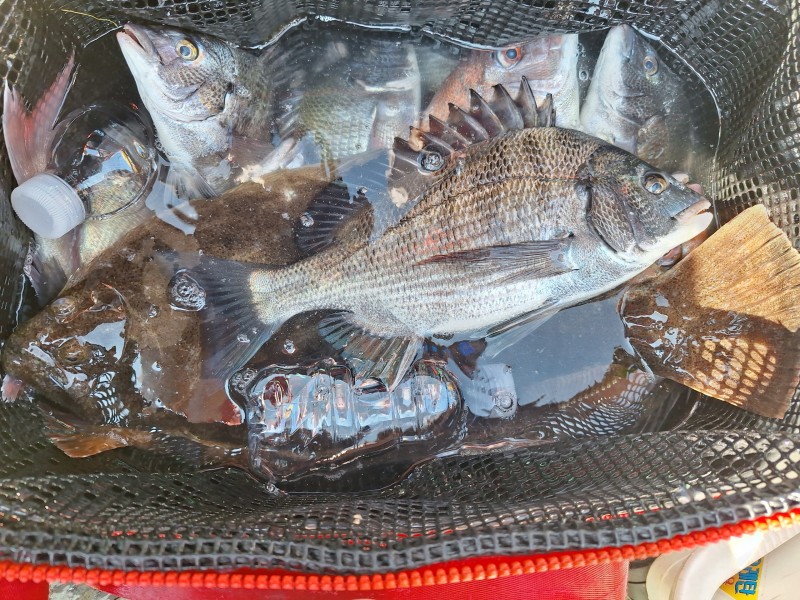
일요일 소안도 다녀왔습니다
수온22.5도 서풍약간 날씨 좋아졌습니다
지난주에 이어 감서돔 뺀찌 참돔 많이 나왔습니다
물색 진정돼고 날씨좋아 조은 조황입니다
*** (월.화.수) 소안도 갑니다 ***
061 534-4009
010 5408-4906
달량진낚시
전남 해남군 북평면 현산북평로 1133
|
|
|
|










