벵어돔
12월 25일(목)
인낚 현재접속자
3,665명 (
62
)
공지사항
인낚도서관
점주선장전용 공지사항
로그인
광고/제휴 문의
운영진에게
인낚ㅣ인터넷바다낚시
0
어종별선상
어종별갯바위
낚시인조황
점주선장조황
출조정보
낚시광장
낚시지식인
낚시교실
중고장터
휴게실
인낚도서관
인낚몰
0
어종별선상
어종별 선상조황
4대돔 조황
먹물 조황
갈치 조황
볼락&전갱이
빅게임 지깅&파핑
외줄&외수질
기타 어종
어종별 갯바위조황
4대돔 조황
먹물 조황
갈치 조황
볼락&전갱이
농어&삼치&방어&부시리
기타 어종
어종별갯바위
어종별 선상조황
4대돔 조황
먹물 조황
갈치 조황
볼락&전갱이
빅게임 지깅&파핑
외줄&외수질
기타 어종
어종별 갯바위조황
4대돔 조황
먹물 조황
갈치 조황
볼락&전갱이
농어&삼치&방어&부시리
기타 어종
낚시인조황
낚시인 번개조황
낚시인조행기
스탭조행기
우리낚시동호회이야기
전국낚시동호회소개
동호회갤러리
지난 조황자료보기(년도별 조황 자료)
점주선장조황
전국 실시간 조황
선상(배)+좌대 조황
갯바위+방파제 조황
점주선장전용 공지사항
지난 조황자료보기(년도별 조황 자료)
출조정보
낚시인동행출조
점주선장 갯바위 출조
점주선장 선상출조
기상파고정보(기상청)
해상예보
물때표
파고예보(일본)
실시간해양관측예보
스마트조석예보
낚시광장
낚시계뉴스
대회 및 낚시관련 홍보
제품평가단
신상품소개
낚시지식인
Q&A 묻고 답하기
지식인 베스트
조황/포인트 문의
낚시용품 사용기
낚시투표
토론방
新어류도감
낚시교실
낚시기법소개
어종별 낚시교실
입문자교실
중급자교실
낚시용어사전
중고장터
중고장터 이용후기
더치트 사기피해 검색
팝니다
삽니다
교환합시다
무료로 드립니다
부품팝니다
부품삽니다
일반 생활용품 사고 팔기
휴게실
출석부
낚시갤러리
세상사는 이야기(자유게시판)
낚시이야기 마당
먹고사는 이야기
구인구직
칭찬합니다
어째이런일이
습득물 찾기
인낚도서관
인낚 유튜브
인낚 칼럼
블루, 그것이 알고싶다
더블테일의 두 눈으로 보는 세상
입질의추억의 피싱다이어리
나無의 바다 이야기
전문강좌
海巖의 바다낚시 이야기
이성규의 전유동낚시 강좌
조성민의 금요루어클럽
메인
어종별선상
어종별갯바위
낚시인조황
점주선장조황
출조정보
낚시광장
낚시지식인
낚시교실
중고장터
휴게실
인낚도서관
인낚몰
0
전국 실시간 조황
선상(배)+좌대 조황
갯바위+방파제 조황
점주선장전용 공지사항
지난 조황자료보기(년도별 조황 자료)
점주/선장 >
갯바위 + 방파제 조황
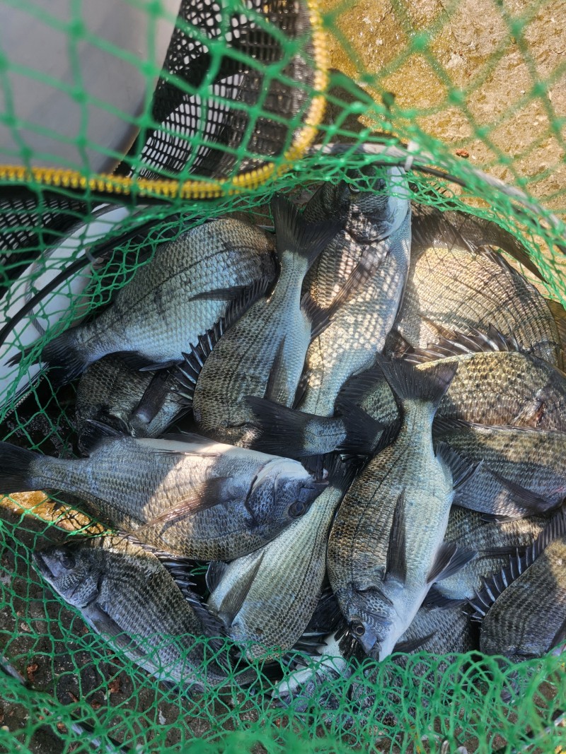
벵어돔
남해빅마마호
0
501
09.06 20:02
● 출항지 : 남해
● 출조인원 : 6~10명
안녕하십니까 남해미조 두미낚시 빅마마호 입니다 오늘조황입니다 벵어돔 씨알이 준수합니다
출조문의
010~54156~5~
0
신고
목록
글쓴이
1
0
Lv.1
남해빅마마호
점주선장
0 (0%)
남해 미조ㆍ두미낚시
12.24
한자리에서
12.20
여기저기서
11.29
여기저기 서
11.22
여기저기서
09.21
참돔
0
댓글
로그인한 회원만 댓글 등록이 가능합니다.
×
Image Upload
로그인한 회원만 등록가능합니다.
포토
제목
이름
날짜
[여수,광양] 12/24 이틀연속출조 감성돔 굵은씨알과 마릿수손맛!
출항지 : 여수,광양 / 출조지 : 여수,광양
돌산낚시촌
95
12.24
돌산낚시촌
12.24
[울산] 12/24일 장생포 동네낚시 우중속에 떡전어 조황
출항지 : 울산 / 출조지 : 울산
장생포털보낚시
41
12.24
장생포털보낚시
12.24
[거제] 다대 감성돔 조황입니다
출항지 : 거제 / 출조지 : 거제
자유시간낚시
345
12.24
자유시간낚시
12.24
[부산] 가덕대항낚시[감성돔4짜외]조황입니다.
출항지 : 부산 / 출조지 : 부산
가덕도대항낚시선장
237
12.24
가덕도대항낚시선장
12.24
[부산] 가덕일호낚시 감성돔 조황
출항지 : 부산 / 출조지 : 부산
가덕도일호낚시
225
12.24
가덕도일호낚시
12.24
[남해] 12월24일 풍성호갯바위조황
출항지 : 남해 / 출조지 : 남해
풍성호
270
12.24
풍성호
12.24
[남해] 5짜와 마릿수 팍팍~~~
출항지 : 남해 / 출조지 : 남해
낚시가좋아two
371
12.24
낚시가좋아two
12.24
[남해] 미조 노구 마안도 갯바위 조황입니다. 12/24
출항지 : 남해 / 출조지 : 남해
남해금성호
232
12.24
남해금성호
12.24
[남해] 12/24 님해 미조 대림호 갯바위조황입니다
출항지 : 남해 / 출조지 : 남해
미조대림호
226
12.24
미조대림호
12.24
[부산] 가덕자유인낚시 감성돔 조황입니다.
출항지 : 부산 / 출조지 : 부산
가덕도자유인낚시
195
12.24
가덕도자유인낚시
12.24
[부산] 가덕털보낚시 4짜 감성돔 조황~
출항지 : 부산 / 출조지 : 부산
가덕털보낚시
263
12.24
가덕털보낚시
12.24
[거제] 12/24 갯바위 감성돔 46 등 조황입니다.
출항지 : 거제 / 출조지 : 거제
장승포낚시갈매기호
231
12.24
장승포낚시갈매기호
12.24
[부산] 12월 24일 생도 태종대 갯바위 조황입니다.
출항지 : 부산 / 출조지 : 부산
영도낚시슈퍼
139
12.24
영도낚시슈퍼
12.24
[거제] 구조라~감성돔 마릿수조과-이벤트중-
출항지 : 거제 / 출조지 : 거제
거제포세이돈낚시
362
12.24
거제포세이돈낚시
12.24
[남해] 한자리에서
출항지 : 남해 / 출조지 :
남해빅마마호
322
12.24
남해빅마마호
12.24
초기화
날짜순
조회순
검색
1
2
3
4
5
Search
검색대상
제목
내용
제목+내용
회원아이디
회원아이디(댓글)
글쓴이
글쓴이(댓글)
또는
그리고
검색어
필수
검색
닫기
검색조건
제목
내용
제목+내용
회원아이디
회원아이디(코)
글쓴이
글쓴이(코)
검색어
또는
그리고
검색
인낚몰 초특가
★3,000★ 하야부사 6단 볼락 전갱이 카드채비 SD724 볼락채비
★1,000★볼락낚시에 최적인 메바트로볼 - 캐스팅볼, 메바볼
★13,000~★3NO 일본 오리지날 직수입 극강 멀티 무광 마크사 원줄
★500★ W쿠션 멀티 수중찌 M L - 전유동 반유동 끄심바리 필수품 수중쿠션
★5,900★ 여러개 있으면 아주 좋은 EVA 시스템 백
★ 1+1 플로팅, 세미, 카본 낚시줄 행사 호수선택가능 / 택상 1+1 원줄, 목줄 행사
★6,000★ 예민함의 끝판왕 애니원찌 벵에돔찌 학공치찌
★15,000★ 오동목 구멍찌 5개 + 메쉬 찌케이스 세트
★22만원★ 40W 집어등을 이 가격에!
★5,000★ 전층쿠션 15세트입 S / L 사이즈
★2,000★ 전층쿠션 5세트입 S / L 사이즈
★10,000 미니집어등5개 + 425배터리 1개 + 스토퍼고무 10개