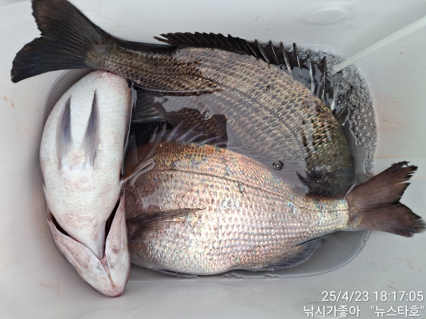
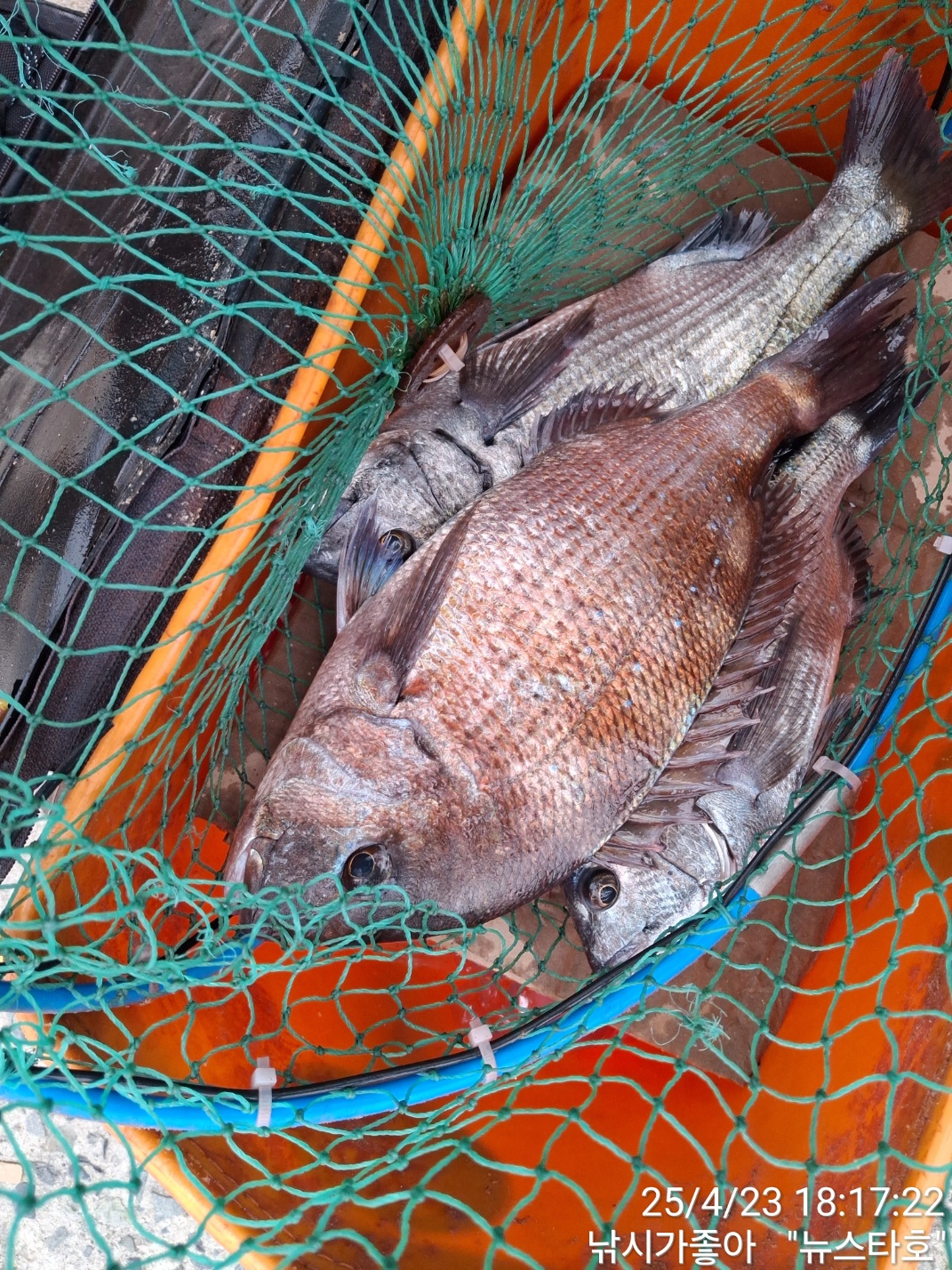
안녕 하십니까! 남해 미조에 낚시가좋아(뉴스타호)인사 드립니다 금일 조황 올려 드립니다 금일은 안개와 어제의 바람 여파로 인하여 느즈막히 출조길에 올랐습니다 다행이도 안개도 잦아들도 날씨또한 그런대로 괜찮은 변이었네요 오늘도 꾸준히 참돔들이 나와주네요 자연산 안자연산 대구리 소구리 짬뽕입니다 오늘 하루도 고생들 많으셨습니다 즐거운 저녁시간들 되시고 오늘 하루도 마무리 잘하시길 바랍니다 감사합니다
*출조시 밑밥및 소품은 준비하여 오셔도 무방하오며 혹여나 준비하시질 못하신 분들을 위하여 최상급 크릴을 준비해 놓도록 하겠습니다 감사합니다*
*출조및 문의사항*
상호:낚시가좋아(뉴스타호)
주소:경남 남해군 미조면 동부대로9
선장님:010-6434-0015
로그인한 회원만 등록가능합니다.