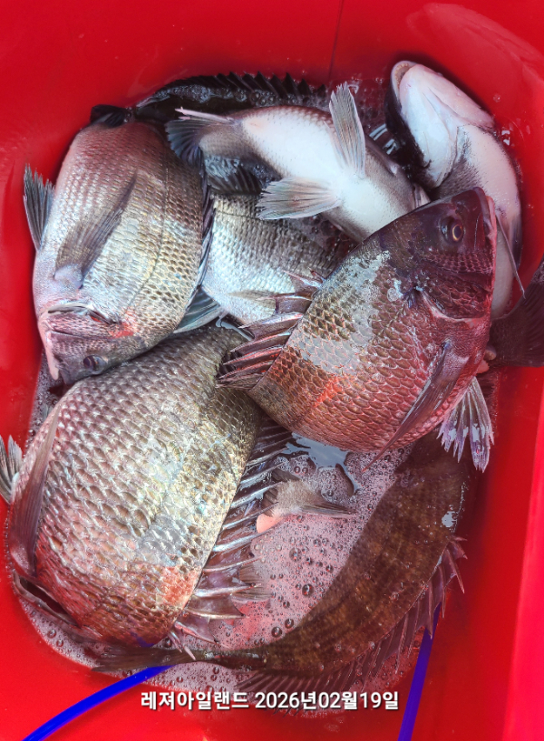
목/ 황제도 덩치급 감성돔 마릿수 조황 ^^

신상품 소개


회원 랭킹


공지사항


NaverBand
점주/선장 > 갯바위 + 방파제 조황

목/ 황제도 덩치급 감성돔 마릿수 조황 ^^

레져아일랜드 0 68
● 출항지 : 완도 ● 출조지 : 완도
c5636fc9089f0df302f44d793c18eb96.jpg

20260219_130521.jpg


20260219_134620.jpg


20260219_151147.jpg


20260219_132427.jpg


20260219_133910.jpg


20260219_134559.jpg


20260219_132311.jpg


20260219_130903.jpg


20260219_130502.jpg


20260219_125818.jpg


20260219_131858.jpg


*금,토 황제도권 출조 합니다.

*밴드/레져아일랜드에 들어 오시면 실시간 조황 확인 하실수 있습니다. 








*** 장흥 레져아일랜드 예약 안내 ***


예약문의 : 010-9567-1126

오시는길 : 전남 장흥군 회진면 해양낚시길 131 레져아일랜드
홈페이지 : https://ireland.sunsang24.com/
 밴 드   :https://band.us/band/71091142

모바일.gif 

blank.png1

 

  • 페이스북으로 보내기
  • 트위터로 보내기
  • 구글플러스로 보내기
  • 카카오스토리로 보내기
  • 네이버밴드로 보내기
  • 네이버로 보내기
  • 텀블러로 보내기
  • 핀터레스트로 보내기
0 댓글
포토 제목
 
 

인낚 최신글


인낚 최신댓글


온라인 문의 안내


월~금 : 9:00 ~ 18:00
토/일/공휴일 휴무
점심시간 : 12:00 ~ 13:00