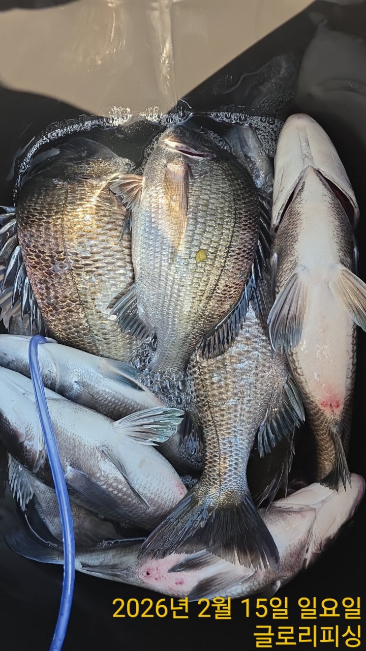
글로리호 51cm급 조황입니다.

신상품 소개


회원 랭킹


공지사항


NaverBand
점주/선장 > 갯바위 + 방파제 조황

글로리호 51cm급 조황입니다.

글로리피싱 0 251
● 출항지 : 여수,광양 ● 출조지 : 여수,광양
밴드 바로가기

dcf09a3ce7443cf41c1548b2a7fcee2b_1766320635_8723.jpg

 

51, 50,50 cm급 감성돔~!! 바다 상황이 여전히 좋지 않습니다.
그래도 50cm급 감성돔을 멋지게 잡아오시네요!
사리물색에 들어서면서 차츰 돌아옵니다.
유속이 살아나면서 물이 섞이고 나면 차츰 조황도 살아나겠지요!!
해가 많이 길어져 출, 입항 시간을 다시 조금씩 당깁니다! 내일도 힘차게 달립니다!



a0e4af1e174540c481e6531bc9fceba9_1771140607_5495.jpg



a0e4af1e174540c481e6531bc9fceba9_1771140607_7643.jpg



a0e4af1e174540c481e6531bc9fceba9_1771140607_9582.jpg



a0e4af1e174540c481e6531bc9fceba9_1771140608_1832.jpg



a0e4af1e174540c481e6531bc9fceba9_1771140608_3675.jpg



a0e4af1e174540c481e6531bc9fceba9_1771140608_5671.jpg



a0e4af1e174540c481e6531bc9fceba9_1771140608_7801.jpg



a0e4af1e174540c481e6531bc9fceba9_1771140608_9849.jpg



a0e4af1e174540c481e6531bc9fceba9_1771140609_1825.jpg



a0e4af1e174540c481e6531bc9fceba9_1771140609_4181.jpg

a0e4af1e174540c481e6531bc9fceba9_1771140622_7511.jpg






 

        1-1출항 시간 


2월10일(화) 05시 ~ 14시 30분 금오열도
2월11일(수) 05시 ~ 14시 30분 금오열도
2월12일(목) 05시 ~ 14시 30분 금오열도

2월13일(금) 1항차 : 02시 30분 ~ 13시 금오열도
       2항차 : 04시 30분 ~ 15시 금오열도

2월14일(토) 1항차 : 01시 ~ 12시 금오열도
       2항차 : 03시 ~ 14시 금오열도
       3항차 : 05시 ~ 16시 금오열도

2월15일(일) 1항차 : 03시 ~ 13시 금오열도
       2항차 : 05시 ~ 15시 금오열도

2월16일(월) 1항차 : 03시 ~ 13시 금오열도
       2항차 : 05시 ~ 15시 금오열도

2월17일(화) 06시 ~ 14시 30분 금오열도

2월18일(수) 1항차 : 03시 ~ 13시 금오열도
       2항차 : 05시 ~ 15시 금오열도

2월19일(목) 05시 ~ 14시 30분 금오열도
2월20일(금) 05시 ~ 14시 30분 금오열도

1-2. 출조지역, 기상에 따라 출, 입항 시간이 변동 됩니다. 
       밴드에 가입하시면 실시간 확인 가능 합니다.

1-3. 글로리피싱 밴드 안내

     https://band.us/@gloryfishing  


2. 안내 사항
  2-1. 신분증은 꼭 지참 하시기 바랍니다.
       구명 조끼,갯바위화는 반드시 착용하시기 바랍니다.

  • 페이스북으로 보내기
  • 트위터로 보내기
  • 구글플러스로 보내기
  • 카카오스토리로 보내기
  • 네이버밴드로 보내기
  • 네이버로 보내기
  • 텀블러로 보내기
  • 핀터레스트로 보내기
0 댓글
포토 제목
 
 

인낚 최신글


인낚 최신댓글


온라인 문의 안내


월~금 : 9:00 ~ 18:00
토/일/공휴일 휴무
점심시간 : 12:00 ~ 13:00