*퍼스트호/No.1호 31일(토)~01일(일) 추자도 조황입니다*

신상품 소개


회원 랭킹


공지사항


NaverBand
점주/선장 > 갯바위 + 방파제 조황

*퍼스트호/No.1호 31일(토)~01일(일) 추자도 조황입니다*

추자퍼스트호 0 227
● 출항지 : 해남,진도 ● 출조지 : 제주
실시간 예약 밴드 바로가기
출조문의 010-5159-5353
​밴드 : https://band.us/@no1fish

NO.1 Fishing (사선) / First (종선) 운행 중
사선과 종선을 운행하여 최고의 서비스와 포인트로 모시겠습니다.
추자도내 친절한 사장님과 깨끗한 시설의 민박 이용도 가능합니다.
언제나 최선을 다하는 NO.1 First 입니다.
편안하고 안전하게 모시겠습니다.
감사합니다.

No.1호/퍼스트호를 찾아주신 조사님들 감사드립니다.

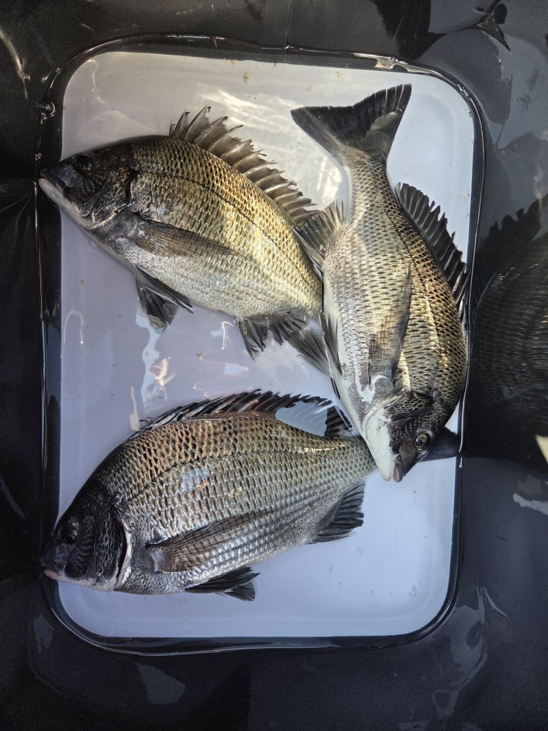
No.1호/퍼스트호 31일 토요일 / 2월 01일 월요일 추자도 조황입니다~
이번 출조 역시 많이 나와 주었습니다!!
강한 북서풍과 너울로 힘든 낚시였지만 여러마리의 5짜 감성돔과 벵에돔,참돔,돌돔까지 찐한 손맛 보고 무사히 복귀 하셨습니다~
출조하신 조사님들 정말 고생 많으셨습니다~

2월 4일 수요일낚시 ~ 2월 05일 목요일낚시 추자도 출항 합니다~ e69849b0a96eebd5f8ea6f4c1dbedf12_1769944508_4455.jpg



e69849b0a96eebd5f8ea6f4c1dbedf12_1769944526_325.jpg



e69849b0a96eebd5f8ea6f4c1dbedf12_1769944528_0108.jpg



e69849b0a96eebd5f8ea6f4c1dbedf12_1769944529_6812.jpg



e69849b0a96eebd5f8ea6f4c1dbedf12_1769944531_9449.jpg



e69849b0a96eebd5f8ea6f4c1dbedf12_1769944534_0487.jpg



e69849b0a96eebd5f8ea6f4c1dbedf12_1769944535_7875.jpg



e69849b0a96eebd5f8ea6f4c1dbedf12_1769944537_8695.jpg



e69849b0a96eebd5f8ea6f4c1dbedf12_1769944538_9396.jpg



e69849b0a96eebd5f8ea6f4c1dbedf12_1769944539_6409.jpg



e69849b0a96eebd5f8ea6f4c1dbedf12_1769944539_9092.jpg



e69849b0a96eebd5f8ea6f4c1dbedf12_1769944540_2791.jpg



e69849b0a96eebd5f8ea6f4c1dbedf12_1769944540_5449.jpg



e69849b0a96eebd5f8ea6f4c1dbedf12_1769944540_7791.jpg



e69849b0a96eebd5f8ea6f4c1dbedf12_1769944541_0188.jpg



e69849b0a96eebd5f8ea6f4c1dbedf12_1769944541_291.jpg



e69849b0a96eebd5f8ea6f4c1dbedf12_1769944541_5498.jpg



e69849b0a96eebd5f8ea6f4c1dbedf12_1769944542_4039.jpg



e69849b0a96eebd5f8ea6f4c1dbedf12_1769944542_6395.jpg



e69849b0a96eebd5f8ea6f4c1dbedf12_1769944543_5535.jpg



e69849b0a96eebd5f8ea6f4c1dbedf12_1769944545_8241.jpg



e69849b0a96eebd5f8ea6f4c1dbedf12_1769944547_4719.jpg



e69849b0a96eebd5f8ea6f4c1dbedf12_1769944549_1585.jpg



e69849b0a96eebd5f8ea6f4c1dbedf12_1769944551_4054.jpg



e69849b0a96eebd5f8ea6f4c1dbedf12_1769944554_1937.jpg



e69849b0a96eebd5f8ea6f4c1dbedf12_1769944555_6925.jpg



e69849b0a96eebd5f8ea6f4c1dbedf12_1769944557_4754.jpg



e69849b0a96eebd5f8ea6f4c1dbedf12_1769944559_8423.jpg



e69849b0a96eebd5f8ea6f4c1dbedf12_1769944562_0484.jpg



e69849b0a96eebd5f8ea6f4c1dbedf12_1769944564_0684.jpg



e69849b0a96eebd5f8ea6f4c1dbedf12_1769944566_7402.jpg



e69849b0a96eebd5f8ea6f4c1dbedf12_1769944568_8974.jpg



e69849b0a96eebd5f8ea6f4c1dbedf12_1769944571_435.jpg



e69849b0a96eebd5f8ea6f4c1dbedf12_1769944572_8959.jpg



e69849b0a96eebd5f8ea6f4c1dbedf12_1769944575_2931.jpg



e69849b0a96eebd5f8ea6f4c1dbedf12_1769944577_7045.jpg



e69849b0a96eebd5f8ea6f4c1dbedf12_1769944579_5296.jpg



e69849b0a96eebd5f8ea6f4c1dbedf12_1769944582_5491.jpg



e69849b0a96eebd5f8ea6f4c1dbedf12_1769944585_0573.jpg



e69849b0a96eebd5f8ea6f4c1dbedf12_1769944587_3911.jpg



  • 페이스북으로 보내기
  • 트위터로 보내기
  • 구글플러스로 보내기
  • 카카오스토리로 보내기
  • 네이버밴드로 보내기
  • 네이버로 보내기
  • 텀블러로 보내기
  • 핀터레스트로 보내기
0 댓글
포토 제목
 
 

인낚 최신글


인낚 최신댓글


온라인 문의 안내


월~금 : 9:00 ~ 18:00
토/일/공휴일 휴무
점심시간 : 12:00 ~ 13:00