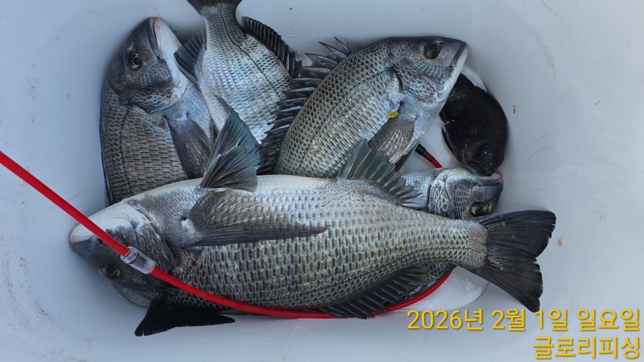
글로리호 50cm 감성돔 조황입니다.

신상품 소개


회원 랭킹


공지사항


NaverBand
점주/선장 > 갯바위 + 방파제 조황

글로리호 50cm 감성돔 조황입니다.

글로리피싱 0 307
● 출항지 : 여수,광양 ● 출조지 : 여수,광양
밴드 바로가기

dcf09a3ce7443cf41c1548b2a7fcee2b_1766320635_8723.jpg

 

52, 50, 50cm급 감성돔~!! 전쟁같은 주말을 보내고 철수중입니다.
조황이 살짝 떨어진데다 대물 사진만 남기다보니 사진이 몆장 안되네요!
그래도 50cm급 감성돔 세마리 얼굴을 봤네요!
확실히 대물시즌이 온 것 같습니다!
2월부터는 새벽 조황이 주춤한 대신 오후 조황이 살아나면서 출입항 시간을 변경합니다!
내일도 힘차게 달립니다!!
 


e6d11681c5e3087bf00d7897c79f11d6_1769943293_4935.jpg



e6d11681c5e3087bf00d7897c79f11d6_1769943293_6917.jpg



e6d11681c5e3087bf00d7897c79f11d6_1769943293_8872.jpg



e6d11681c5e3087bf00d7897c79f11d6_1769943294_0827.jpg



e6d11681c5e3087bf00d7897c79f11d6_1769943294_7055.jpg



e6d11681c5e3087bf00d7897c79f11d6_1769943294_9025.jpg



e6d11681c5e3087bf00d7897c79f11d6_1769943295_0997.jpg



e6d11681c5e3087bf00d7897c79f11d6_1769943295_2482.jpg




 

 

        1-1출항 시간 


2월 2일(월) 05시 ~ 14시 30분 금오열도
2월 3일(화) 05시 ~ 14시 30분 금오열도
2월 4일(수) 05시 ~ 14시 30분 금오열도

2월 5일(목) 1항차 : 03시 ~ 13시 금오열도
 
      2항차 : 05시 ~ 15시 금오열도

2월 6일(금) 05시 ~ 14시 30분 금오열도

2월 7일(토) 1항차 : 03시 ~ 13시 금오열도
       2항차 : 05시 ~ 15시 금오열도

2월 8일(일) 1항차 : 03시 ~ 13시 금오열도
       2항차 : 05시 ~ 15시 금오열도

2월 9일(월) 05시 ~ 14시 30분 금오열도
2월10일(화) 05시 ~ 14시 30분 금오열도
2월11일(수) 05시 ~ 14시 30분 금오열도
2월12일(목) 05시 ~ 14시 30분 금오열도
2월 13일(금) 05시 ~ 14시 30분 금오열도

1-2. 출조지역, 기상에 따라 출, 입항 시간이 변동 됩니다. 
       밴드에 가입하시면 실시간 확인 가능 합니다.

1-3. 글로리피싱 밴드 안내

     https://band.us/@gloryfishing  


2. 안내 사항
  2-1. 신분증은 꼭 지참 하시기 바랍니다.
       구명 조끼,갯바위화는 반드시 착용하시기 바랍니다.

  • 페이스북으로 보내기
  • 트위터로 보내기
  • 구글플러스로 보내기
  • 카카오스토리로 보내기
  • 네이버밴드로 보내기
  • 네이버로 보내기
  • 텀블러로 보내기
  • 핀터레스트로 보내기
0 댓글
포토 제목
 
 

인낚 최신글


인낚 최신댓글


온라인 문의 안내


월~금 : 9:00 ~ 18:00
토/일/공휴일 휴무
점심시간 : 12:00 ~ 13:00