네임
카드
카드
고흥한바다2호
전남 고흥군 고흥읍 봉남 봉동길 31
010-4612-7015
010-6524-7015
전남 고흥군 고흥읍 봉남 봉동길 31
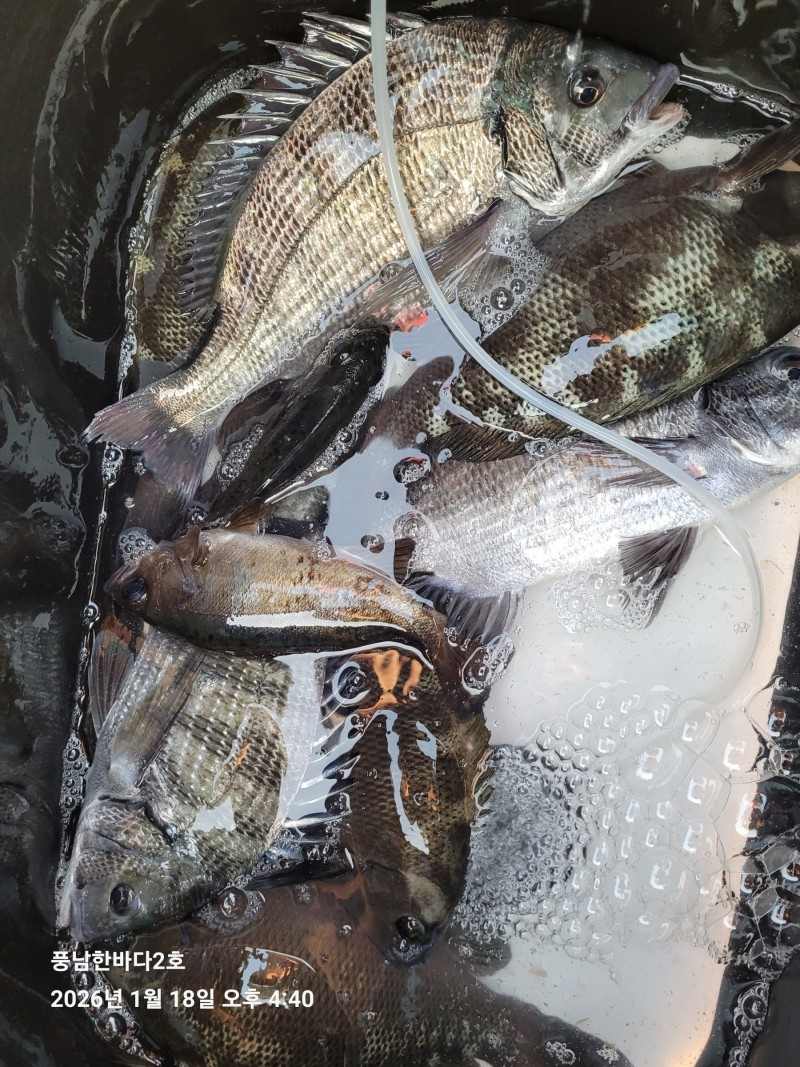
위에 사진 2장은 초도 조황 입니다,
몇일 동안 출조가 힘들것 같습니다.
기상이 좋아지는데로 출조 공지 하겠습니다.
고흥 한바다2호: 010 -4612 -7015
배타는 곳: 전남 고흥군 풍양면 풍남항 







|
|
|
|

