네임
카드
카드
글로리피싱
여수시 돌산읍 신기길 91
010-2883-3119
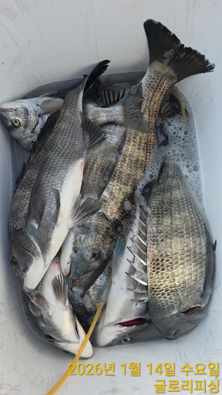
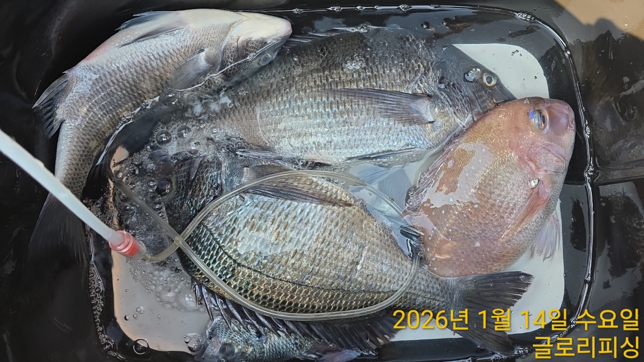
글로리호 감성돔 조황입니다.
여수시 돌산읍 신기길 91











1-1. 출항 시간
1-3. 글로리피싱 밴드 안내
https://band.us/@gloryfishing
|
|
|
|

