레코드호1/8좌사리도밤볼락만쿨빈쿨...

신상품 소개


회원 랭킹


공지사항


NaverBand
점주/선장 > 갯바위 + 방파제 조황

레코드호1/8좌사리도밤볼락만쿨빈쿨...

● 출항지 : 통영
*** 통영 레코드호/ 열바다낚시 예약 안내 ***·
예약문의 : 010-2085-4756
오시는길 : 경남 통영시 산양읍 산양일주로 1566
홈페이지 : https://rekord.sunsang24.com/

1/8일
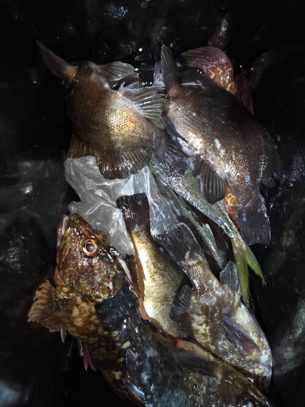
레코드호 좌사리도로 밤볼락 댕겨왔습니다.
만쿨하신분도 계시는데 대부분 빈약했어요.
예보와 달리 너울이 크게 일고 바람까지...힘들었습니다
옴 주말도 틀릿...

1000089263.jpg


1000089268.jpg


1000089269.jpg


1000089274.jpg


1000089275.jpg

1000089280.jpg


1000089283.jpg

 
레코드호 갯바위 밤볼락출항.,
16시출항 24시철수.

010 2085 4756

입금계좌
농협 전오진
010. 2085. 4756. 19

[예약안내]

- 예약은 선입금자 순으로 확정되며, 예약후
   입금 지연시 24:00 기준 자동취소 될수
   있습니다.
- 사무실 없으니 출항시간 15전까지 승선하시고
  승선명부 우선 작성해 주세요.(선박후미비치)
- 포인트 이동하고자하시는분은 
   8시까지 전화주세요
- 갯바위 선비는 욕지권 6만원, 좌사리도 6만5천원,국도 7만원.

주말출조시간은 변동될 수 있으니 필히 사전문의바랍니다.
주출조지는 좌사리,국도,갈도,욕지권입니다.
네비주소:통영시 산양읍 산양일주로 1566
@낚시생선 회, 손질은 삼덕항@
  떠드림 :  010 8414 6669
  회결사 :  010 2238 3448

통영열바다낚시/레코드호밴드
band.us/@hotfishing


#루어전용선 #루어 #팁런 #무늬오징어 #밤볼락 #선상낚시 #통영바다낚시 #통영낚시배 #한치 #레코드호 #열바다낚시 #바다낚시 #갯바위볼락 #오징어 #통영레코드호 #루어낚시 #삼덕항 #당포항 #좌사리도 #국도 #갈도 #욕지도  #세존도 #연화도


*** 통영 레코드호 열바다낚시 예약 안내 ***


예약문의 : 010-2085-4756

오시는길 : 경남 통영시 산양읍 산양일주로 1566
홈페이지 : 

레코드호 승선지(통영 당포항)

Screenshot_20240815_121934_KakaoMap.jpg

 
모바일.jpg 

blank.png1


  • 페이스북으로 보내기
  • 트위터로 보내기
  • 구글플러스로 보내기
  • 카카오스토리로 보내기
  • 네이버밴드로 보내기
  • 네이버로 보내기
  • 텀블러로 보내기
  • 핀터레스트로 보내기
0 댓글
포토 제목
 
 

인낚 최신글


인낚 최신댓글


온라인 문의 안내


월~금 : 9:00 ~ 18:00
토/일/공휴일 휴무
점심시간 : 12:00 ~ 13:00