*퍼스트호/No.1호 월요일/화요일 추자도 조황입니다*

신상품 소개


회원 랭킹


공지사항


NaverBand
점주/선장 > 갯바위 + 방파제 조황

*퍼스트호/No.1호 월요일/화요일 추자도 조황입니다*

추자퍼스트호 0 362
● 출항지 : 해남,진도 ● 출조지 : 제주
실시간 예약 밴드 바로가기
출조문의 010-5159-5353
​밴드 : https://band.us/@no1fish

NO.1 Fishing (사선) / First (종선) 운행 중
사선과 종선을 운행하여 최고의 서비스와 포인트로 모시겠습니다.
추자도내 친절한 사장님과 깨끗한 시설의 민박 이용도 가능합니다.
언제나 최선을 다하는 NO.1 First 입니다.
편안하고 안전하게 모시겠습니다.
감사합니다.

No.1호/퍼스트호를 찾아주신 조사님들 감사드립니다.

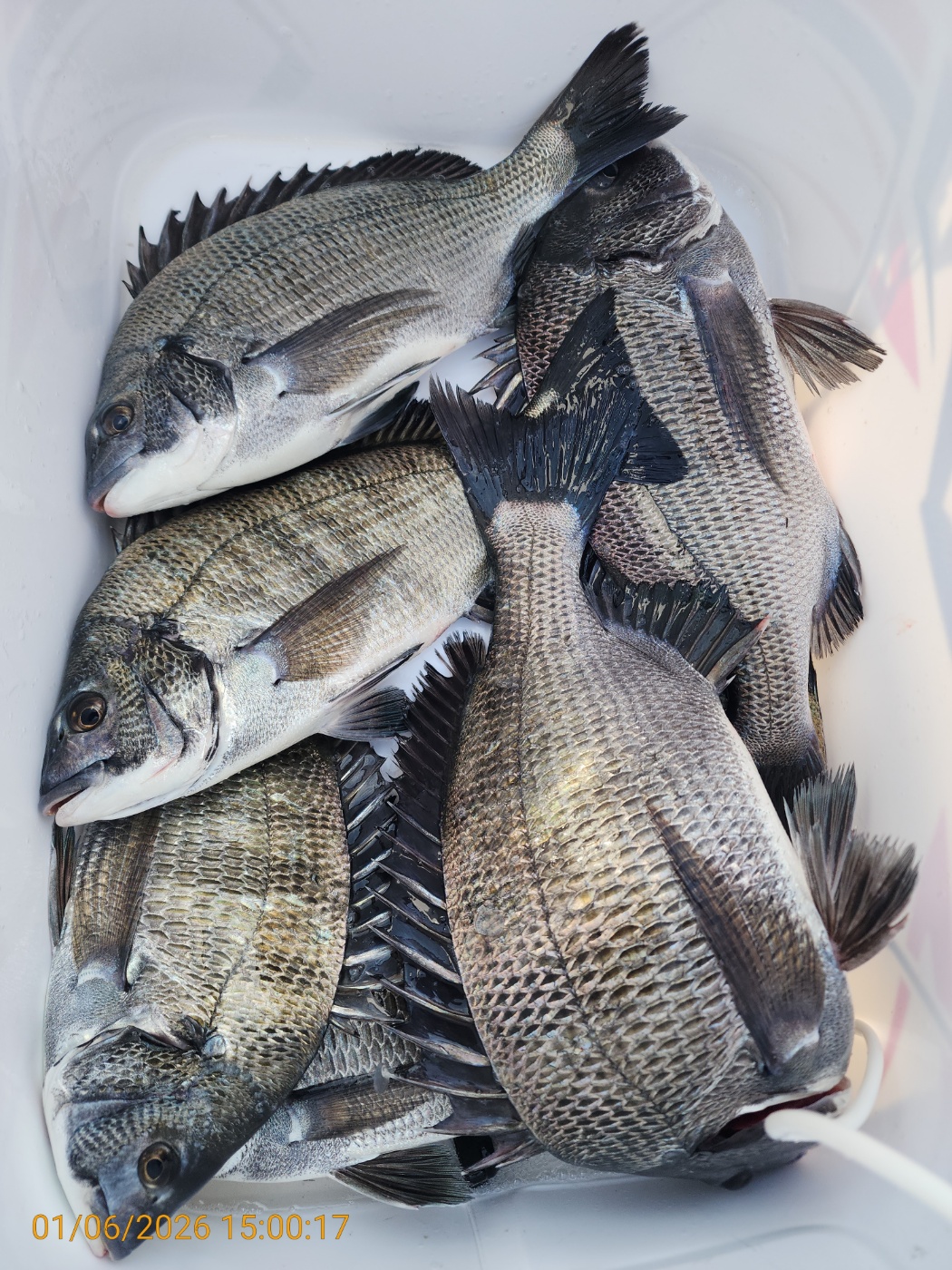
No.1호/퍼스트호 1월 5일 월요일/1월 6일 화요일 추자도 조황입니다~
월요일~ 화요일 강한 바람으로 1급 포인트 진입이 힘들었지만 탁한 물색으로 여러 포인트에서 대상어들이 나와 주었습니다.
중복 사진없는 추자도 조황입니다.

출조하신 조사님들 정말 고생 많으셨습니다~

1월 9일 금요일 당일 낚시 추자도 출항 합니다~
1월 16일 금요일 ~ 1월 20일 화요일까지 추자도 출항 합니다. dc1f5be1c4348ab3845bdf49696b05d3_1767688111_4149.jpg



dc1f5be1c4348ab3845bdf49696b05d3_1767688111_9597.jpg



dc1f5be1c4348ab3845bdf49696b05d3_1767688116_2077.jpg



dc1f5be1c4348ab3845bdf49696b05d3_1767688116_7351.jpg



dc1f5be1c4348ab3845bdf49696b05d3_1767688118_9085.jpg



dc1f5be1c4348ab3845bdf49696b05d3_1767688121_4014.jpg



dc1f5be1c4348ab3845bdf49696b05d3_1767688123_5715.jpg



dc1f5be1c4348ab3845bdf49696b05d3_1767688124_9157.jpg



dc1f5be1c4348ab3845bdf49696b05d3_1767688125_1734.jpg



dc1f5be1c4348ab3845bdf49696b05d3_1767688125_4298.jpg



dc1f5be1c4348ab3845bdf49696b05d3_1767688125_7327.jpg



dc1f5be1c4348ab3845bdf49696b05d3_1767688126_2347.jpg



dc1f5be1c4348ab3845bdf49696b05d3_1767688126_9538.jpg



dc1f5be1c4348ab3845bdf49696b05d3_1767688127_6997.jpg



dc1f5be1c4348ab3845bdf49696b05d3_1767688127_9897.jpg



dc1f5be1c4348ab3845bdf49696b05d3_1767688128_2986.jpg



dc1f5be1c4348ab3845bdf49696b05d3_1767688128_9538.jpg



  • 페이스북으로 보내기
  • 트위터로 보내기
  • 구글플러스로 보내기
  • 카카오스토리로 보내기
  • 네이버밴드로 보내기
  • 네이버로 보내기
  • 텀블러로 보내기
  • 핀터레스트로 보내기
0 댓글
포토 제목
 
 

인낚 최신글


인낚 최신댓글


온라인 문의 안내


월~금 : 9:00 ~ 18:00
토/일/공휴일 휴무
점심시간 : 12:00 ~ 13:00