네임
카드
카드
고흥명성피싱호
전남 고흥군 풍양면 죽천길 21-8 꽃담바다 명성피싱호
010-3610-8884
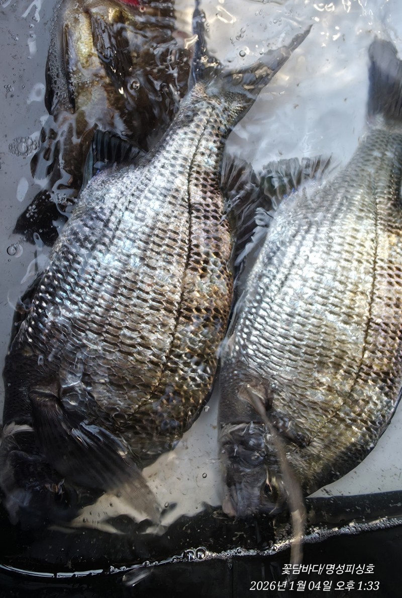
4일(일)초도권 감성돔 조황!
전남 고흥군 풍양면 죽천길 21-8 꽃담바다 명성피싱호
고흥풍남항 꽃담바다 명성피싱호와 고흥 바다로 일상탈출!
●일요일/초도권역 새벽출조 조황입니다!
탁한물색에 포인트 편차는 있었지만 감성돔 몇마리 손맛보고 철수했습니다!
쌀쌀한 날씨에 꽃담바다 명성피싱호와 함께하여주신 조사님께 감사드리며,,,
●현재 바다기상 예보상,,,
●월,화~/초도권역 새벽출조 합니다!
출조관련하여 연락주시면 친절히 안내해 드리겠습니다!

법인(유)꽃담바다 명성피싱호
♡꽃담바다 명성피싱호 밴드 및 유투브에서 더많은 소식을 보실 수 있습니다!









▶ 지켜주세요! ◀
- 당일 조황을 올리셔야 합니다.
- 지난 조황은 2일이내 미등록 조황만 가능합니다.
- 이미 올린 조황을 붙여넣기하여 계속 등재하시면 중복조황에 해당합니다.
- 당일 조황을 올리면서 이전 조황을 같이 올리면 중복조황에 해당합니다.
- 조황없는 출조정보는 출조정보 게시판을 이용하시길 바랍니다.
- 올린 글 삭제하고 다시 올려 상단에 올리려는 방법, 이용규칙 위반입니다.
- 제목에 특수문자 사용하시면 안됩니다. (온점, 쉼표, 느낌표, 괄호, 물결만 허용)
☆ 공지사항에 '조황등재시 유의사항' 게시글을 꼭 확인하시고 조황작성 부탁드리며, 가장 기본적인
규칙이 지켜지지 않을 시 예고없이 글 삭제 및 이용정지 될 수 있음을 알려드립니다.
|
|
|
|

