네임
카드
카드
통영직벽피싱
경남 통영시 평인일주로 492(우릿개방파제)
010-7600-2575
직벽호]4짜4짜4짜4짜4짜4짜4짜25년bye
경남 통영시 평인일주로 492(우릿개방파제)

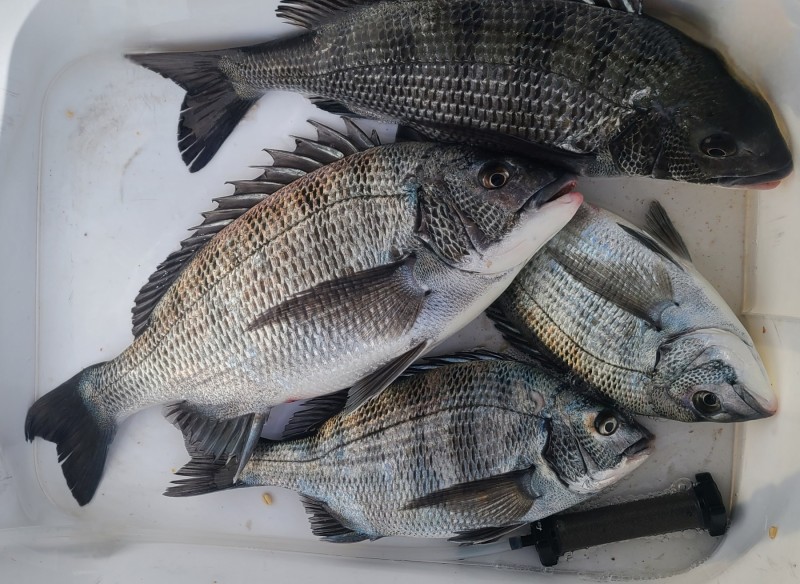
통영직벽피싱 조황 소식입니다
올 한해도 통영직벽피싱
많이 사랑해주셔서 감사드립니다
새해 복 많이 받으시고
가정의 평화,건강 하시는 사업
다들 번창하시기 바랍니다
최근 학꽁치뻥치기 배
방해로 어려움이 있었지만
회원님들 실력들이 좋으셔서
왠만하면 손맛들 보실수 있었습니다.
입질이 약아 벗겨짐이 상당히 많습니다
조황이 좋든 안좋든
항상 직벽피싱 믿고 찾아주셔서
감사드리며
초심을 잃지 않고
즐거운 출조길 될수 있도록
최선을 다하겠습니다
정상 출항합니다
(사량도 집중출조)
올해도 감성돔시즌
전원손맛 보실수 있도록 최선을 다하겠습니다.
평일: 05시 09시
(예약필수)
밴드 회원전용 이벤트중입니다.
통영직벽피싱 밴드로 초대합니다.
☎010-7600-2575
예약은 필수입니다~
사량도: 4만원
@조황@























▼▼▼▼▼▼▼▼▼
네비:통영시 평인일주로 492
(우릿개방파제)
☎선장
010-7600-2575
6월1일부터 직벽피싱 출항지 이전안내


|
|
|
|

