오짜랑~ 덩큰이들~~~

신상품 소개


회원 랭킹


공지사항


NaverBand
점주/선장 > 갯바위 + 방파제 조황

오짜랑~ 덩큰이들~~~

낚시가좋아two 0 347
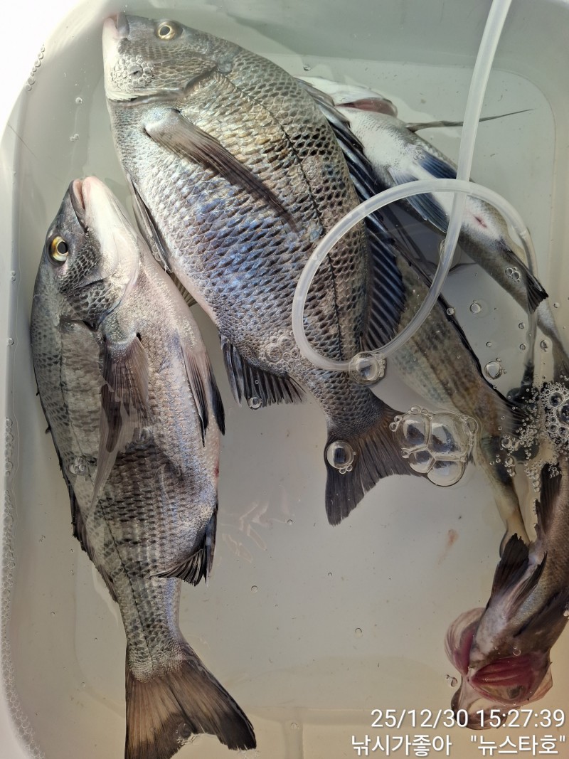
● 출항지 : 남해 ● 출조지 : 남해

eb82736d48ecfa8b5a0584b5bf60458d_1767085396_7779.jpg



eb82736d48ecfa8b5a0584b5bf60458d_1767085400_3908.jpg



eb82736d48ecfa8b5a0584b5bf60458d_1767085403_9239.jpg



eb82736d48ecfa8b5a0584b5bf60458d_1767085407_9471.jpg



eb82736d48ecfa8b5a0584b5bf60458d_1767085411_8807.jpg



eb82736d48ecfa8b5a0584b5bf60458d_1767085415_2147.jpg



eb82736d48ecfa8b5a0584b5bf60458d_1767085419_3506.jpg


안녕 하십니까! 남해 미조에 낚시가좋아(뉴스타호)인사 드립니다 금일 조황 올려 드립니다 오전엔 바람이 제법 불었지만 다행이도 오후 들어선 바람이 잦아 들었네요 오늘도 오짜랑 덩큰이 녀석들 구경 할수가 있었습니다 오늘 하루도 추운 날씨속에 고생들 많으셨습니다 즐거운 저녁시간들 되시고 마무리 잘하시길 바랍니다 감사합니다


*출조시 밑밥및 소품은 준비하여 오셔도 무방하오며 혹여나 준비하시질 못하신 분들을 위하여 최상급 크릴을 준비해 놓도록 하겠습니다 감사합니다*


*출조및 문의사항*

상호:낚시가좋아(뉴스타호)

주소:경남 남해군 미조면 동부대로9

선장님:010-6434-0015

  • 페이스북으로 보내기
  • 트위터로 보내기
  • 구글플러스로 보내기
  • 카카오스토리로 보내기
  • 네이버밴드로 보내기
  • 네이버로 보내기
  • 텀블러로 보내기
  • 핀터레스트로 보내기
0 댓글
포토 제목
 
 

인낚 최신글


인낚 최신댓글


온라인 문의 안내


월~금 : 9:00 ~ 18:00
토/일/공휴일 휴무
점심시간 : 12:00 ~ 13:00