카드
통영시 산양읍 연명길 18
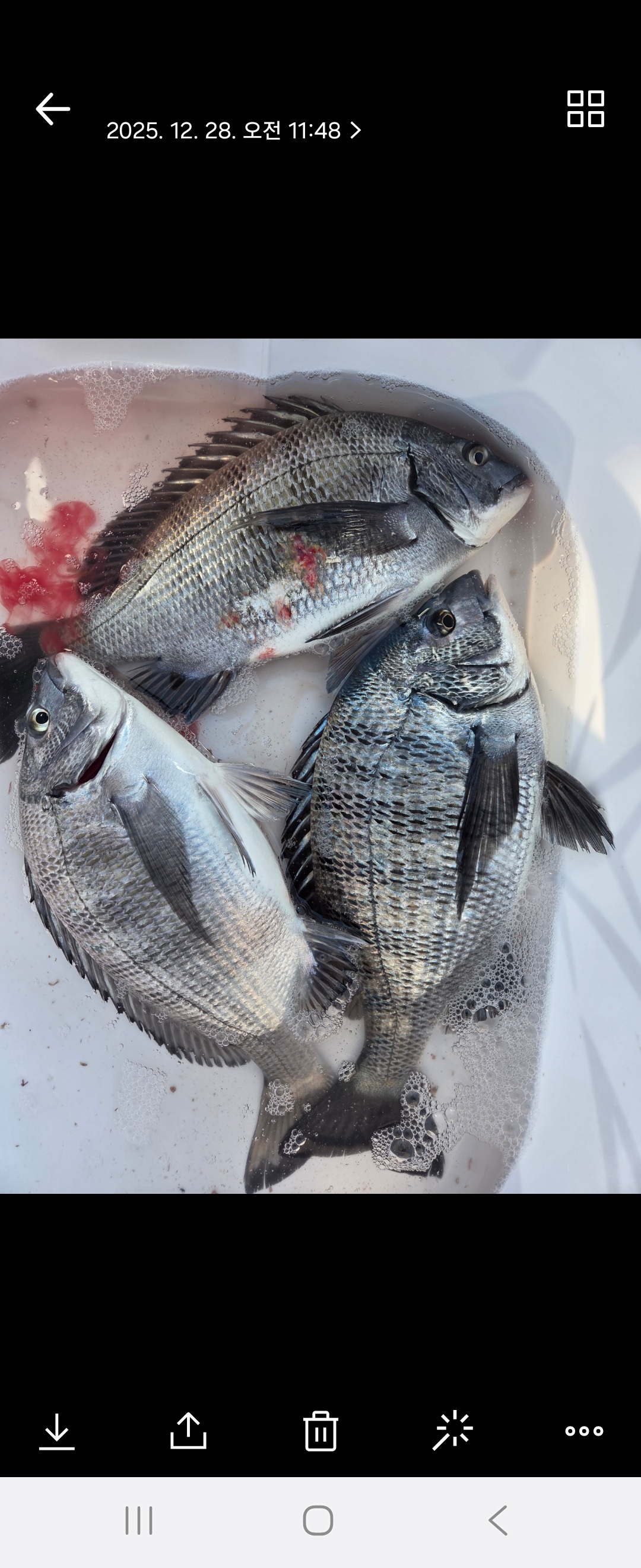
하누리호]욕지권 5짜 4짜 덩치급 감성돔 꾸준히(낼 새벽5시 출항)
통영시 산양읍 연명길 18
안녕 하십니까 통영 하누리호 입니다.
오늘은 비소식도 있고 바람도 제법심해
하루 쉬면서 선박 정비도 하고 있습니다.
내일부터 기상이 좋네예.
얼마남지 않은 한해 아쉬움없이 마무리
잘들 하시기를 바랍니다.
당분간 쭈욱 출조가 가능한 기상이 이어 집니다.
당일과 야영 부지런히 다녀 보겠습니다.
새벽에는 많이 추우니
출조시 철저히 대비 하시고 출조 바랍니다.
조금 빠른 예약은 많은 도움이 됩니다.
화요일 수요일 출조안내
화요일 새벽5시 당일 및 야영 출항
수요일 새벽5시 당일 및 야영 출항
수요일 오후1시 야영 출항
철수는 오후3시에 합니다.
선비는 욕지권 전역 6만원 입니다.
야영비 없습니다.
기상에 따라 출조시간은 변경될수도 있습니다.
선장 : 010 - 3564 - 3429
선장 부재시 마눌폰 010 - 4528 0065
통영시 산양읍 연명길 18
하누리 피싱
하누리 피싱 밴드에 초대 합니다.
실명 가입을 부탁 드립니다.
점주분이나 선장은 가입을 정중히 거절 합니다.
https://band.us/band/69048143/post/555
주말 철수한 조항 입니다.















주말 많은 마리수는 아니지만 5짜와 4짜
덩치급들을 볼수 있었습니다.
조류가 약해서인지 중치급들이 많이
나와 사진도 못찍은게 많습니다.
덩치급 감성돔이 꾸준히 나와주고 있어 앞으로
쭈욱 기대가 됩니다.
욕지권 감성돔 파워가 장난 아닙니다.
많이 터지고 있으니 목줄관리 철저히 하시고
한단계 높이 사용하셔도 좋아 보입니다.




어제 욕지권 바다상과
오늘 통영 앞바다 상항 입니다.
바람은 조금 불고 있지만 춥지는 않고 좋네예.
새벽에 비가 좀 왔습니다.

통영 낚시 푸짐한 이벤트 시작 했으니
도전해 보십시요.
|
|
|
|

