네임
카드
카드
추자퍼스트호
No.1호(전남 해남군 송지면 송호리 891-21)/퍼스트호 제주시 추자면 추자로 485-2
010-5159-5353
*퍼스트호/No.1호 27일(토)~28일(일) 추자도 조황입니다*
No.1호(전남 해남군 송지면 송호리 891-21)/퍼스트호 제주시 추자면 추자로 485-2
출조문의 010-5159-5353
밴드 : https://band.us/@no1fish
NO.1 Fishing (사선) / First (종선) 운행 중
사선과 종선을 운행하여 최고의 서비스와 포인트로 모시겠습니다.
추자도내 친절한 사장님과 깨끗한 시설의 민박 이용도 가능합니다.
언제나 최선을 다하는 NO.1 First 입니다.
편안하고 안전하게 모시겠습니다.
감사합니다.
No.1호/퍼스트호를 찾아주신 조사님들 감사드립니다.
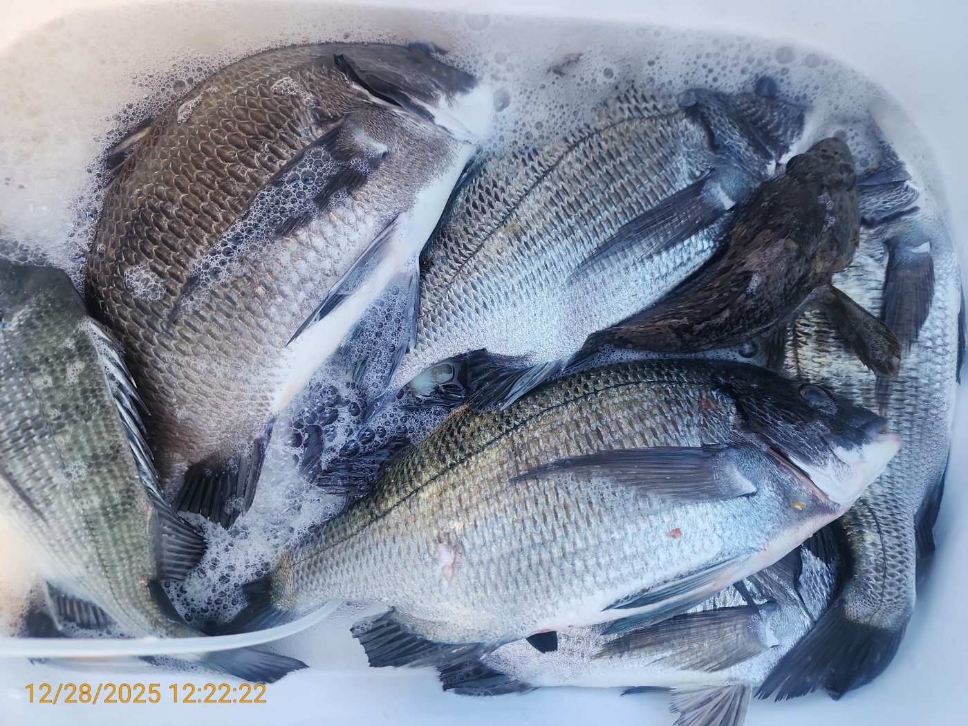
No.1호/퍼스트호 12월 27일 토요일 / 12월28일 일요일 추자도 조황입니다~
이번 출조 역시 상추자도(미역섬~ 쇠코)하추자도(사자섬~밖미역), 섬생이까지 대박 조황을 찾아 넓게 돌아 봤습니다!!
여기저기서 씨알급 감성돔과 돌돔들이 나와 주었고 대물 참돔들과 붉바리까지 비춰 주네요~
운항하는 선장 대신 조황 찍어 주시는 조사님들 감사합니다~
중복 사진없는 추자도 조황입니다.
12월 30일 화요일 추자도 출항 합니다~
출조하신 조사님들 정말 고생 많으셨습니다~
































































|
|
|
|

