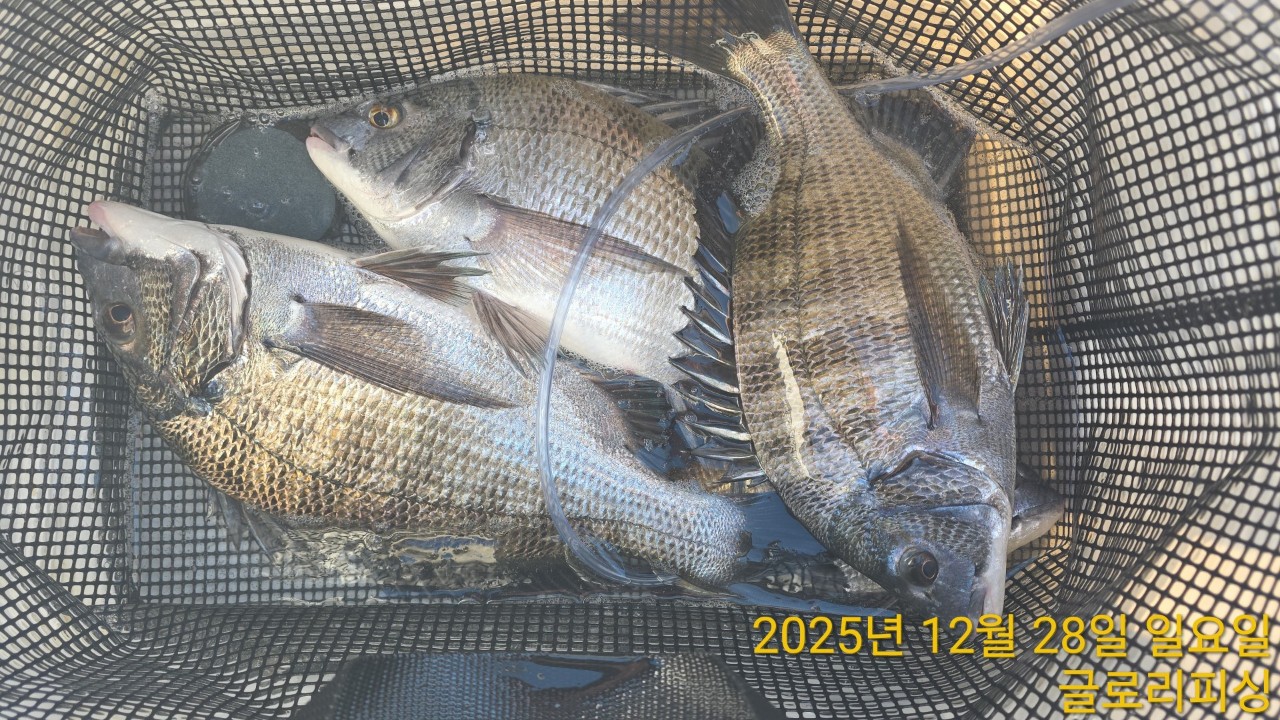
글로리호 50cm급 감성돔 조황입니다.

신상품 소개


회원 랭킹


공지사항


NaverBand
점주/선장 > 갯바위 + 방파제 조황

글로리호 50cm급 감성돔 조황입니다.

글로리피싱 0 99
● 출항지 : 여수,광양 ● 출조지 : 여수,광양

dcf09a3ce7443cf41c1548b2a7fcee2b_1766320635_8723.jpg



50,47,45cm 감성돔~!!

오랫만에 50cm급 감성돔 얼굴을 보네요.

여수에서 가장 먼 강원도 꾼께서 손맛보시니 기분이 더 좋습니다.

15도에 이르는 높은 수온으로 인해 잔씨알 녀석들이 많이 보이는데요. 손맛 보신분들 이야기를 빌리면 새벽 5~7시 사이에 조황이 가장 좋다고 합니다. 높은 수온과 잡어 때문인것 같습니다.

대체미끼로 게미끼가 필요한 상황이니 여건이 되면 게미끼를 구해오시면 조황에 도움이 될 듯 싶네요! 내일도 힘차게 달립니다!!



0d662593593c18a9bf65d7025f87968e_1766905939_3767.jpg



0d662593593c18a9bf65d7025f87968e_1766905940_0678.jpg



0d662593593c18a9bf65d7025f87968e_1766905940_2874.jpg



0d662593593c18a9bf65d7025f87968e_1766905940_5173.jpg



0d662593593c18a9bf65d7025f87968e_1766905940_7489.jpg



0d662593593c18a9bf65d7025f87968e_1766905941_0415.jpg



0d662593593c18a9bf65d7025f87968e_1766905941_2832.jpg



0d662593593c18a9bf65d7025f87968e_1766905941_5182.jpg



0d662593593c18a9bf65d7025f87968e_1766905941_8017.jpg



0d662593593c18a9bf65d7025f87968e_1766905942_0341.jpg




        1-1출항 시간 

 
12월 27일 (토) 1항차 : 02시 ~ 13시 금오열도
                      2항차 : 04시 ~ 15시 금오열도

12월 28일(일) 1항차 : 02시 ~ 13시 금오열도
                      2항차 : 04시 ~ 15시 금오열도

12월 29일 (월) 04시 30분 ~ 14시 금오열도
12월 30일 (화) 04시 30분 ~ 14시 금오열도
12월 31일 (수) 04시 30분 ~ 14시 금오열도

1-2. 출조지역, 기상에 따라 출, 입항 시간이 변동 됩니다. 
       밴드에 가입하시면 실시간 확인 가능 합니다.

1-3. 글로리피싱 밴드 안내

     https://band.us/@gloryfishing  


2. 안내 사항
  2-1. 신분증은 꼭 지참 하시기 바랍니다.
       구명 조끼,갯바위화는 반드시 착용하시기 바랍니다.

  • 페이스북으로 보내기
  • 트위터로 보내기
  • 구글플러스로 보내기
  • 카카오스토리로 보내기
  • 네이버밴드로 보내기
  • 네이버로 보내기
  • 텀블러로 보내기
  • 핀터레스트로 보내기
0 댓글
포토 제목
 
 

인낚 최신글


인낚 최신댓글


온라인 문의 안내


월~금 : 9:00 ~ 18:00
토/일/공휴일 휴무
점심시간 : 12:00 ~ 13:00