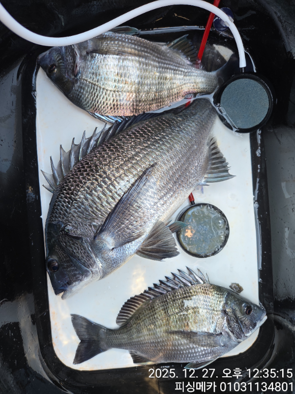
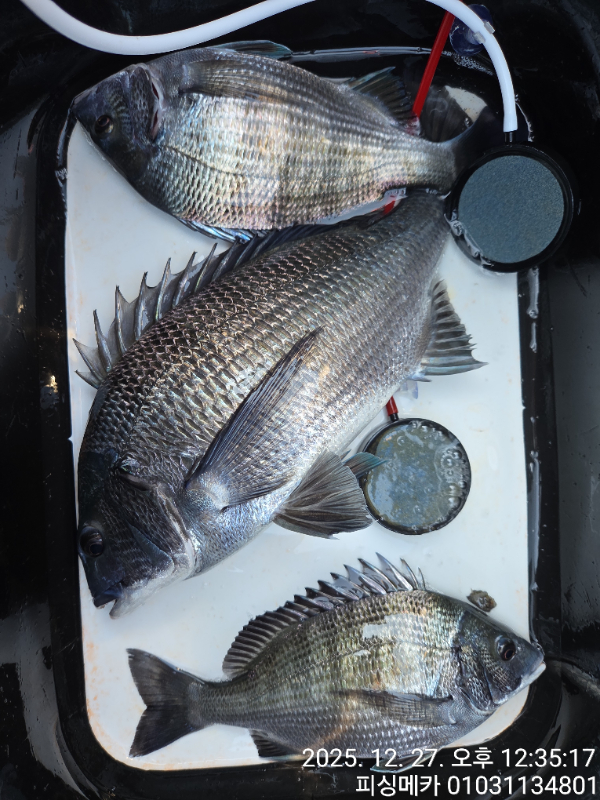
27일 금오열도 갯바위 감성돔 조황입니다

신상품 소개


회원 랭킹


공지사항


NaverBand
점주/선장 > 갯바위 + 방파제 조황

27일 금오열도 갯바위 감성돔 조황입니다

피싱메카호 0 63
● 출항지 : 여수,광양
b122bca3dfe459232b157c35a7e4d315.jpg6e9d9f63e92bd5fed157d3cbd8bb1a68.jpg6912232f9dfa7d0f25cf3139dd877ad1.jpg837038b6d88748ee3fd4e7e4018fd817.jpgb81d16a93d41c3b538de686bd47d62a4.jpgb1bbec1a02d6dcd84575e6c0d7827b76.jpg4c3d783c2a42706450c417647fe5da4e.jpg899f7dd2e7f1d5c3594193a66e244542.jpg
안녕하세요 피싱메카 도경준입니다 

27일 안도 갯바위 감성돔 조황입니다 
새벽에는 날씨가 영하권이였는대
날이 새면서 기온이 많이 오르내요..

오늘은 3포인트에서 5짜 총을 쏘고 오시내요ㅠ.ㅠ
내일 부터는 채비들 한단게 올려서 낚시 하시기 바랍니다
내일도 01시출항 합니다
아직 몇자리 여유있읍니다 
연락주세요... 
오늘도 수고하셨습니다 



*** 여수 피싱메카 예약 안내 ***


예약문의 : 010-3113-4801

오시는길 : 전남 여수시 신월동 국동항 소경도대합실
홈페이지 : https://mecca.sunsang24.com/

모바일.gif

blank.png1


  • 페이스북으로 보내기
  • 트위터로 보내기
  • 구글플러스로 보내기
  • 카카오스토리로 보내기
  • 네이버밴드로 보내기
  • 네이버로 보내기
  • 텀블러로 보내기
  • 핀터레스트로 보내기
0 댓글
포토 제목
 
 

인낚 최신글


인낚 최신댓글


온라인 문의 안내


월~금 : 9:00 ~ 18:00
토/일/공휴일 휴무
점심시간 : 12:00 ~ 13:00