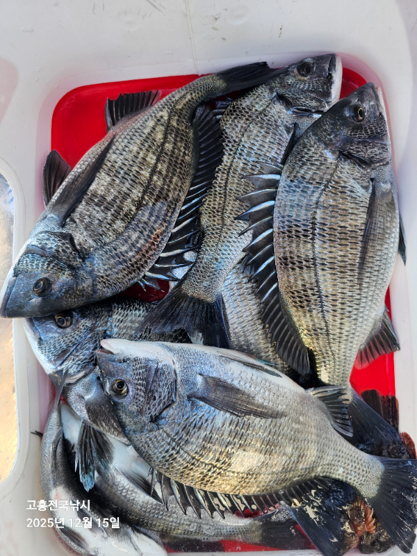
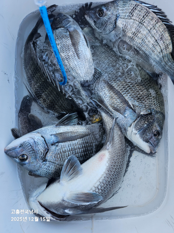
15일 고흥 전국 낚시호 조황 입니다
12월 16일(화)
인낚 현재접속자
4,795명 (
374
)
공지사항
인낚도서관
점주선장전용 공지사항
로그인
광고/제휴 문의
운영진에게
인낚ㅣ인터넷바다낚시
0
어종별선상
어종별갯바위
낚시인조황
점주선장조황
출조정보
낚시광장
낚시지식인
낚시교실
중고장터
휴게실
인낚도서관
인낚몰
0
어종별선상
어종별 선상조황
4대돔 조황
먹물 조황
갈치 조황
볼락&전갱이
빅게임 지깅&파핑
외줄&외수질
기타 어종
어종별 갯바위조황
4대돔 조황
먹물 조황
갈치 조황
볼락&전갱이
농어&삼치&방어&부시리
기타 어종
어종별갯바위
어종별 선상조황
4대돔 조황
먹물 조황
갈치 조황
볼락&전갱이
빅게임 지깅&파핑
외줄&외수질
기타 어종
어종별 갯바위조황
4대돔 조황
먹물 조황
갈치 조황
볼락&전갱이
농어&삼치&방어&부시리
기타 어종
낚시인조황
낚시인 번개조황
낚시인조행기
스탭조행기
우리낚시동호회이야기
전국낚시동호회소개
동호회갤러리
지난 조황자료보기(년도별 조황 자료)
점주선장조황
전국 실시간 조황
선상(배)+좌대 조황
갯바위+방파제 조황
점주선장전용 공지사항
지난 조황자료보기(년도별 조황 자료)
출조정보
낚시인동행출조
점주선장 갯바위 출조
점주선장 선상출조
기상파고정보(기상청)
해상예보
물때표
파고예보(일본)
실시간해양관측예보
스마트조석예보
낚시광장
낚시계뉴스
대회 및 낚시관련 홍보
제품평가단
신상품소개
낚시지식인
Q&A 묻고 답하기
지식인 베스트
조황/포인트 문의
낚시용품 사용기
낚시투표
토론방
新어류도감
낚시교실
낚시기법소개
어종별 낚시교실
입문자교실
중급자교실
낚시용어사전
중고장터
중고장터 이용후기
더치트 사기피해 검색
팝니다
삽니다
교환합시다
무료로 드립니다
부품팝니다
부품삽니다
일반 생활용품 사고 팔기
휴게실
출석부
낚시갤러리
세상사는 이야기(자유게시판)
낚시이야기 마당
먹고사는 이야기
구인구직
칭찬합니다
어째이런일이
습득물 찾기
인낚도서관
인낚 유튜브
인낚 칼럼
블루, 그것이 알고싶다
더블테일의 두 눈으로 보는 세상
입질의추억의 피싱다이어리
나無의 바다 이야기
전문강좌
海巖의 바다낚시 이야기
이성규의 전유동낚시 강좌
조성민의 금요루어클럽
메인
어종별선상
어종별갯바위
낚시인조황
점주선장조황
출조정보
낚시광장
낚시지식인
낚시교실
중고장터
휴게실
인낚도서관
인낚몰
0
전국 실시간 조황
선상(배)+좌대 조황
갯바위+방파제 조황
점주선장전용 공지사항
지난 조황자료보기(년도별 조황 자료)
점주/선장 >
갯바위 + 방파제 조황
15일 고흥 전국 낚시호 조황 입니다
고흥전국낚시호
0
129
12.15 14:39
● 출항지 : 고흥,녹동
● 출조인원 : 6~10명
네임
카드
전국낚시호
전남 고흥군 풍양면 천마로 1418-17 (구 해양파출소)
010-4626-8963
실시간 예약
홈페이지
밴드 바로가기
유튜브/SNS
오늘도 전국 낚시호를 찿아 주셔서 감사 합니다 항상 변함 없이 최선을 다하는 모습으로 보답 하겠 습니다
고흥 전국 낚시호
010 4626 8963
*** 고흥 전국 낚시호 예약 안내 ***
예약문의 : 010-4626-8963
오시는길 : 전남 고흥군 풍양면 천마로 1418-17 (구 해양파출소)
홈페이지 : https://jeonguk.sunsang24.com/
0
신고
목록
0
댓글
로그인한 회원만 댓글 등록이 가능합니다.
×
Image Upload
로그인한 회원만 등록가능합니다.
포토
제목
이름
날짜
[통영] 5짜맛집~좌사리~53.50.46,46,45.43.43.43.42…
출항지 : 통영 / 출조지 : 통영
비키라피싱
167
2분전
비키라피싱
16:35
[통영] 척포[제일호] 대물 5짜외~4짜들로~5짜 참돔도~~~
출항지 : 통영 / 출조지 : 통영
척포제일호
23
12분전
척포제일호
16:25
[통영] 욕지권)5짜4짜감성돔 매일매일 나옵니다
출항지 : 통영 / 출조지 : 통영
블루아이피싱
34
20분전
블루아이피싱
16:17
[통영] 직벽호]사량도 감성돔 승률 좋아요~
출항지 : 통영 / 출조지 : 통영
통영직벽피싱
78
37분전
통영직벽피싱
16:00
[통영] 척포)최선장~오늘도 덩치 4짜중,후반으로~~
출항지 : 통영 / 출조지 : 통영
척포최선장
42
44분전
척포최선장
15:53
[고흥,녹동] 16일 화요일 초도.거문도 조황.
출항지 : 고흥,녹동 / 출조지 : 고흥,녹동
고흥한바다2호
29
44분전
고흥한바다2호
15:53
[해남,진도] *** (화) 소안도 이틀연속 ***
출항지 : 해남,진도 / 출조지 : 완도
달량진낚시
23
44분전
달량진낚시
15:53
[통영] 감성돔조황입니다 내일 오전 6시 출조합니다
출항지 : 통영 / 출조지 : 통영
통영삼덕삼성1호
36
45분전
통영삼덕삼성1호
15:52
[여수,광양] 성빈호. 12월 16일 출조다녀왔습니다.
출항지 : 여수,광양 / 출조지 : 여수,광양
여수성빈호
32
46분전
여수성빈호
15:51
[통영] 욕지부속섬 4짜 감성돔 들 입니다
출항지 : 통영 / 출조지 : 통영
피싱맨호
35
58분전
피싱맨호
15:38
[부산] 만남피싱45외감성돔/학꽁치조황입니다.
출항지 : 부산 / 출조지 : 부산
가덕도만남낚시
46
1시간전
가덕도만남낚시
15:27
[통영] 감시들.
출항지 : 통영 / 출조지 : 통영
척포낚시배
46
1시간전
척포낚시배
15:22
[여수,광양] 12/16 화요일 마릿수 감성돔소식~~!!!!!!
출항지 : 여수,광양 / 출조지 : 여수,광양
여수153낚시
60
1시간전
여수153낚시
15:16
[통영] 완전종일) 욕지권갯바위 탱크사냥~(05시-17시)
출항지 : 통영 / 출조지 : 통영
파워피싱아일랜드호
114
1시간전
파워피싱아일랜드호
15:15
[고흥,녹동] 16일 고흥 전국 낚시호 조황 입니다
출항지 : 고흥,녹동 / 출조지 :
고흥전국낚시호
37
2시간전
고흥전국낚시호
14:58
초기화
날짜순
조회순
검색
1
2
3
4
5
Search
검색대상
제목
내용
제목+내용
회원아이디
회원아이디(댓글)
글쓴이
글쓴이(댓글)
또는
그리고
검색어
필수
검색
닫기
검색조건
제목
내용
제목+내용
회원아이디
회원아이디(코)
글쓴이
글쓴이(코)
검색어
또는
그리고
검색
인낚몰 초특가
★500★ W쿠션 멀티 수중찌 M L - 전유동 반유동 끄심바리 필수품 수중쿠션
★5,900★ 여러개 있으면 아주 좋은 EVA 시스템 백
★ 1+1 플로팅, 세미, 카본 낚시줄 행사 호수선택가능 / 택상 1+1 원줄, 목줄 행사
★6,000★ 예민함의 끝판왕 애니원찌 벵에돔찌 학공치찌
★15,000★ 오동목 구멍찌 5개 + 메쉬 찌케이스 세트
★22만원★ 40W 집어등을 이 가격에!
★5,000★ 전층쿠션 15세트입 S / L 사이즈
★2,000★ 전층쿠션 5세트입 S / L 사이즈
★10,000 미니집어등5개 + 425배터리 1개 + 스토퍼고무 10개
★13,500 深海 심해대물 갈치집어등 3개 5LED 오색 집어등 갈치낚시 필수품 건전지3개 포함 수중집어등
★9,900★ 수제공방 갈치 풀치 잔치세트 짬낚시 필수 하나로 끝
★8,650~★ 아부가르시아 카치카치다마 유동식 타이라바 - 80g / 100g / 120g / 140g