네임
카드
카드
글로리피싱
여수시 돌산읍 신기길 91
010-2883-3119
여수시 돌산읍 신기길 91

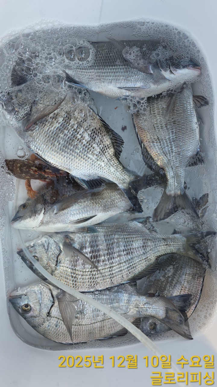
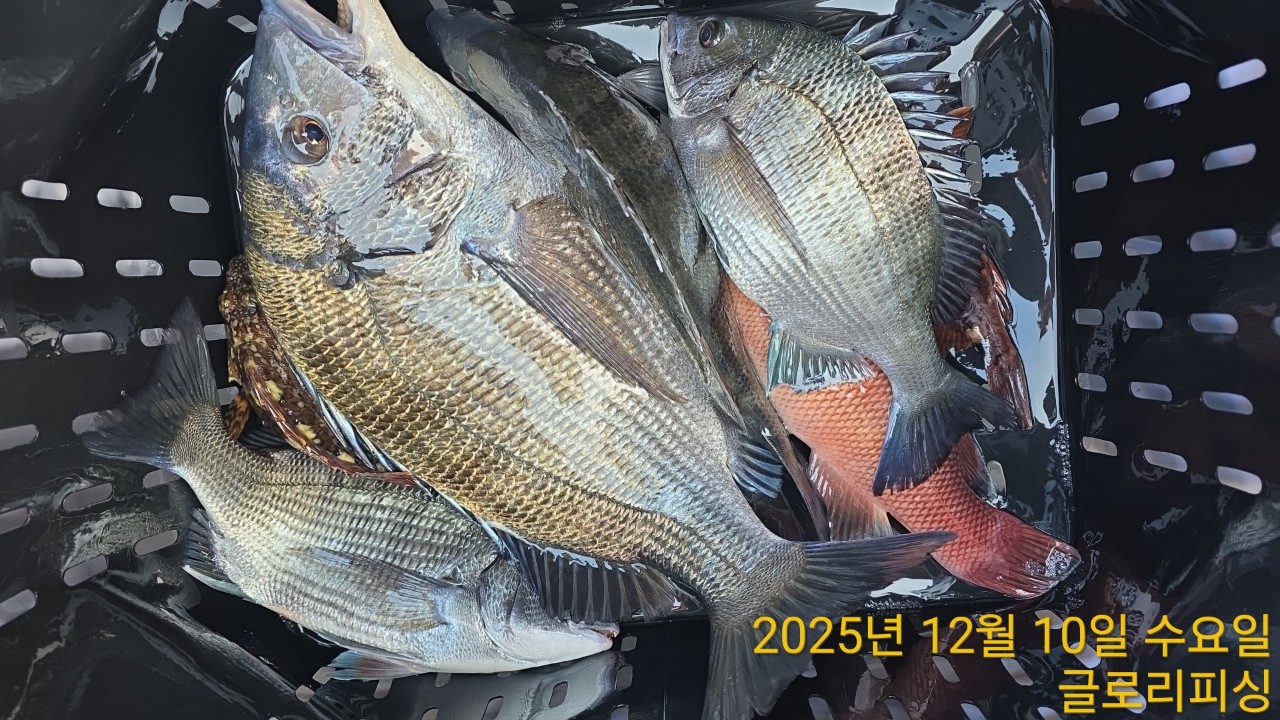
기상이 아주 좋은 한적한 평일 좋은 조황으로 돌아옵니다.
한 두 마리 잡으셔서 사진에 담지 못한 조황도 있네요.
올 시즌 유난히 감성돔 조황이 좋습니다.
내일은 약간의 비 소식이 있으니 수중 전 준비 하시구요!
내일도 힘차게 달립니다!!




















1-1. 출항 시간
1-3. 글로리피싱 밴드 안내
https://band.us/@gloryfishing
|
|
|
|

