네임
카드
카드
고흥명성피싱호
전남 고흥군 풍양면 죽천길 21-8 꽃담바다 명성피싱호
010-3610-8884
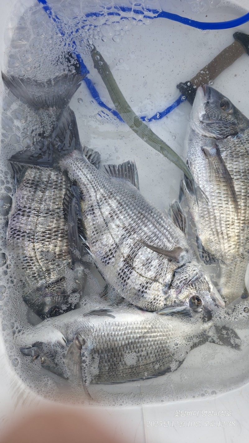
8,9.10일(월,화,수)초도권 감성돔 조황!
전남 고흥군 풍양면 죽천길 21-8 꽃담바다 명성피싱호
유자향 가득한 고흥풍남항 꽃담바다 명성피싱호와 고흥 바다로 일상탈출!
●월,화,수/초도권역 새벽출조 조황입니다!
감성돔 씨알이 조금 아쉬운 하루 하루 였네요!
쌀쌀한 날씨에 꽃담바다 명성피싱호와 함께하여주신 조사님께 감사드리며,,,
●목요일/초도권역 새벽출조 합니다!
출조관련하여 연락주시면 친절히 안내해 드리겠습니다!

법인 (유)꽃담바다 명성피싱호
♡꽃담바다 명성피싱호 밴드 및 유투브에서 더많은 소식을 보실 수 있습니다!

















▶ 지켜주세요! ◀
|
|
|
|

