네임
카드
카드
글로리피싱
여수시 돌산읍 신기길 91
010-2883-3119
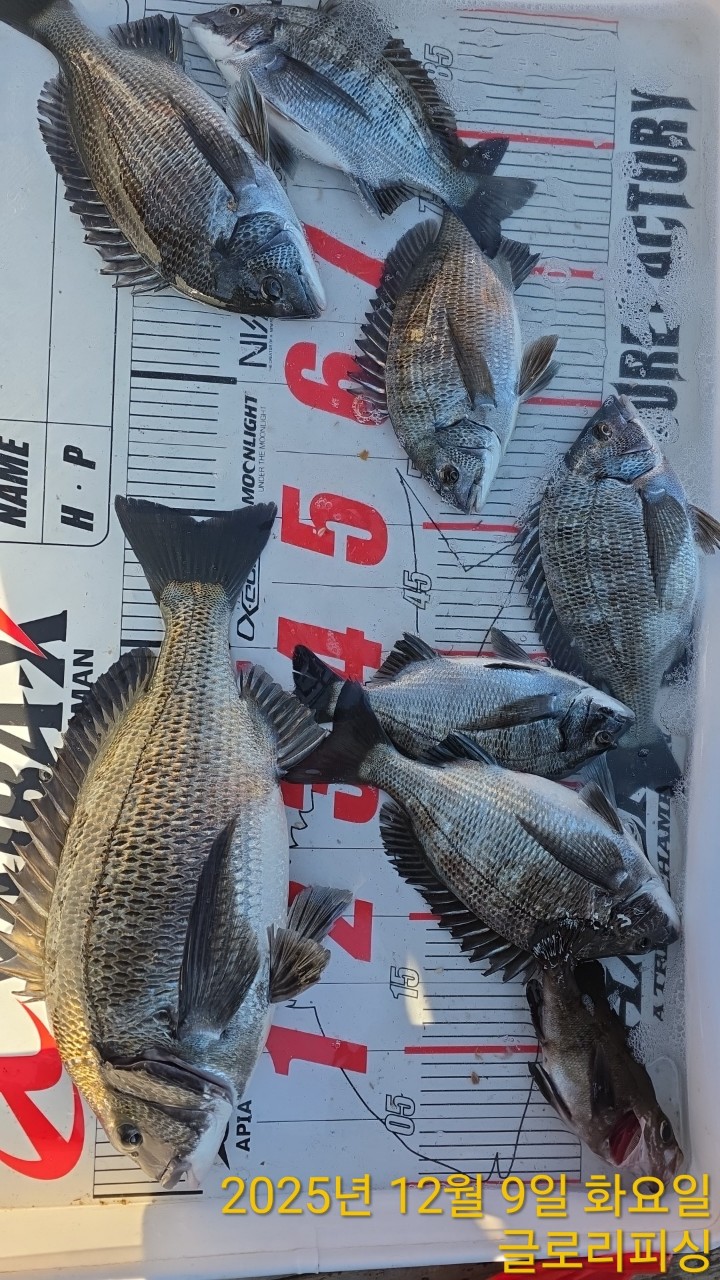
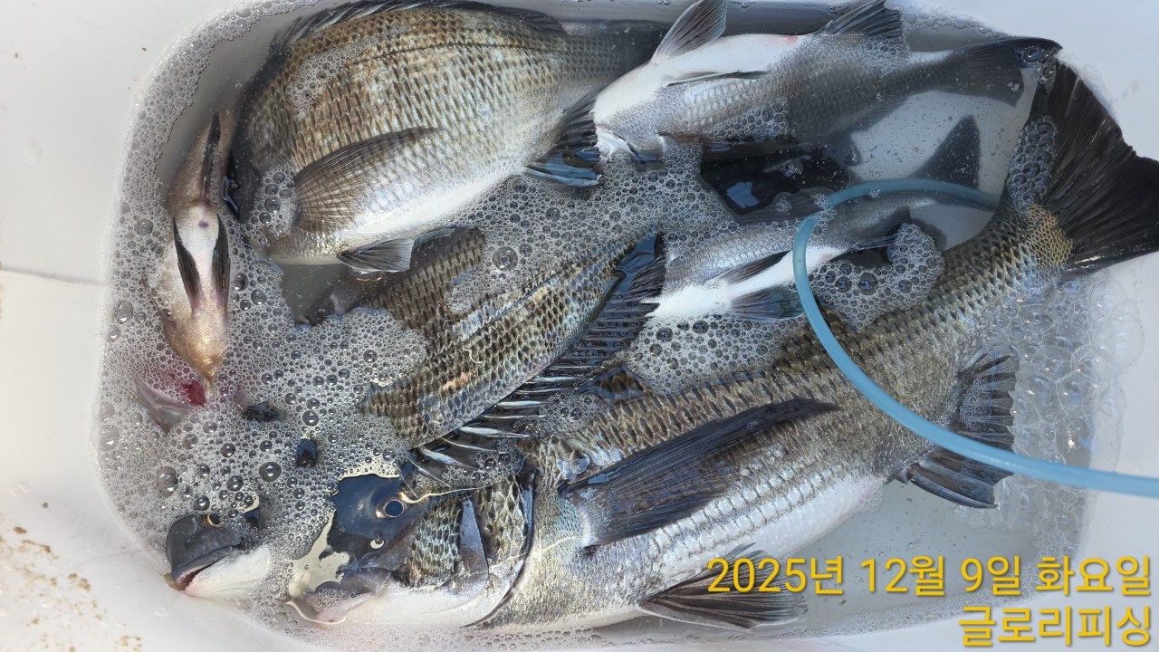
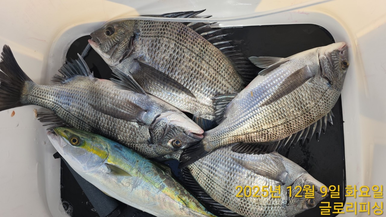
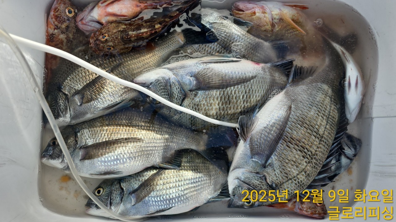
글로리호 52cm 감성돔 조황입니다
여수시 돌산읍 신기길 91

52cm급 감성돔~!! 어제 하루 주춤했던 조황이 오늘 조금 올라와주네요. 60~70 %정도 손맛보고 배에 오르십니다. 오늘50cm급 감성돔이 나오겠다 예상했는데 한마리 얼굴을 보여주네요. 내일도 힘차게 달립니다!!










1-1. 출항 시간
1-3. 글로리피싱 밴드 안내
https://band.us/@gloryfishing
|
|
|
|

