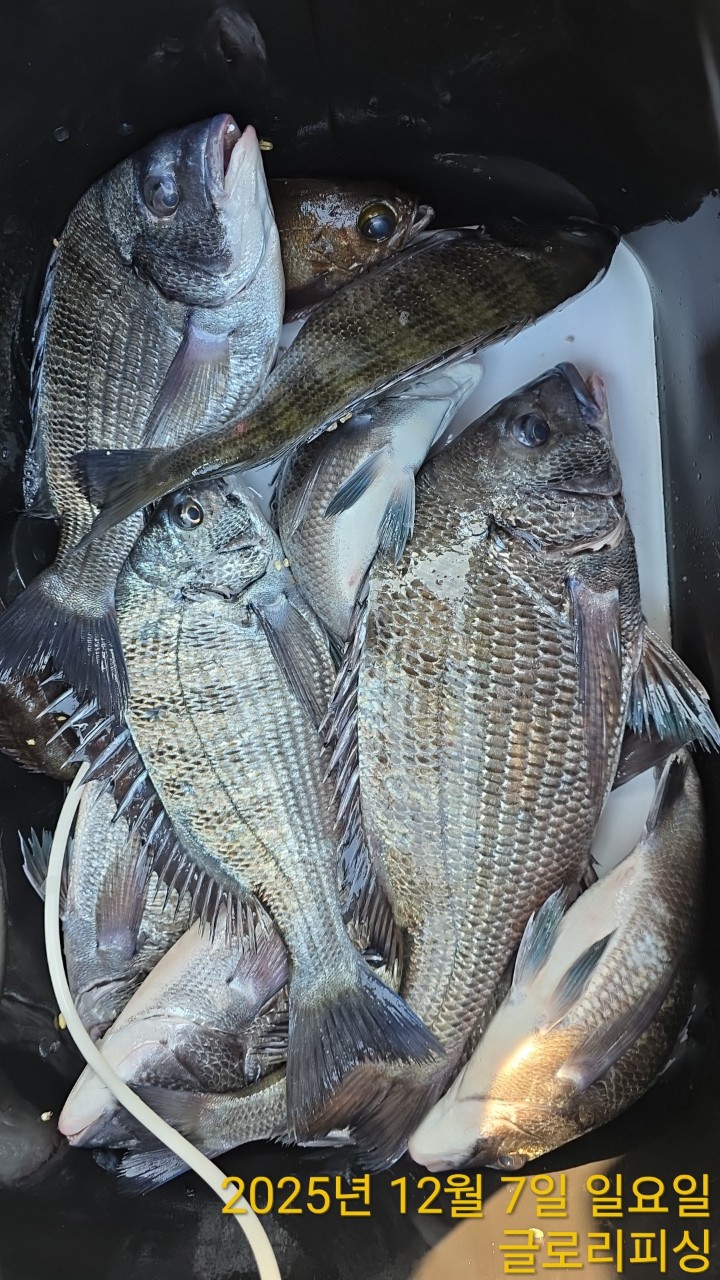
글로리호 12월7일 일요일 조황입니다~~! 50cm급 감성돔~!!!

신상품 소개


회원 랭킹


공지사항


NaverBand
점주/선장 > 갯바위 + 방파제 조황

글로리호 12월7일 일요일 조황입니다~~! 50cm급 감성돔~!!!

글로리피싱 0 260
● 출항지 : 여수,광양 ● 출조지 : 여수,광양
밴드 바로가기

8a0e1ebada289b7dedbf319204994885_1765198418_6037.jpg

풍성한 조황이 이어지고 있습니다. 항차 철수시간 맞추느라 쓸만한 사진만 조황 올립니다. 오늘 간만에 50cm급 감성돔 얼굴을 구경했네요. 이런 녀석들이 매일 나올 시기가 얼마 남지 않은듯 씨알급들이 많이 보입니다.

내일 바람이 조금 있지만 바람걱정은 마시구요!! 힘차게 달려보겠습니다!


8a0e1ebada289b7dedbf319204994885_1765198514_2493.jpg



8a0e1ebada289b7dedbf319204994885_1765198514_4855.jpg



8a0e1ebada289b7dedbf319204994885_1765198514_7145.jpg



8a0e1ebada289b7dedbf319204994885_1765198515_0009.jpg



8a0e1ebada289b7dedbf319204994885_1765198515_2373.jpg



8a0e1ebada289b7dedbf319204994885_1765198515_529.jpg



8a0e1ebada289b7dedbf319204994885_1765198515_7981.jpg



8a0e1ebada289b7dedbf319204994885_1765198516_0954.jpg



8a0e1ebada289b7dedbf319204994885_1765198516_3252.jpg



8a0e1ebada289b7dedbf319204994885_1765198516_5828.jpg




 

1-1출항 시간 

  
12월 10일(수) 04시 30분 ~ 14시 금오열도
12월 11일(목) 04시 30분 ~ 14시 금오열도
12월 12일(금) 04시 30분 ~ 14시 금오열도
12월 13일(토) 1항차 : 02시 ~ 12시 금오열도
               2항차 : 04시 ~ 14시 금오열도
12월 14일(일) 1항차 : 02시 ~ 12시 금오열도
               2항차 : 04시 ~ 14시 금오열도
12월 15일(월) 04시 30분 ~ 14시 금오열도
12월 17일(화) 04시 30분 ~ 14시 금오열도
12월 18일(수) 04시 30분 ~ 14시 금오열도
12월 19일(목) 04시 30분 ~ 14시 금오열도
12월 19일(목) 04시 30분 ~ 14시 금오열도

1-2. 출조지역, 기상에 따라 출, 입항 시간이 변동 됩니다. 
       밴드에 가입하시면 실시간 확인 가능 합니다.

1-3. 글로리피싱 밴드 안내

     https://band.us/@gloryfishing  


2. 안내 사항
  2-1. 신분증은 꼭 지참 하시기 바랍니다.
       구명 조끼,갯바위화는 반드시 착용하시기 바랍니다

  • 페이스북으로 보내기
  • 트위터로 보내기
  • 구글플러스로 보내기
  • 카카오스토리로 보내기
  • 네이버밴드로 보내기
  • 네이버로 보내기
  • 텀블러로 보내기
  • 핀터레스트로 보내기
0 댓글
포토 제목
 
 

인낚 최신글


인낚 최신댓글


온라인 문의 안내


월~금 : 9:00 ~ 18:00
토/일/공휴일 휴무
점심시간 : 12:00 ~ 13:00