네임
카드
카드
풍남킹스타호
전남 고흥군 풍양면 풍남항
01086249103
01077629103
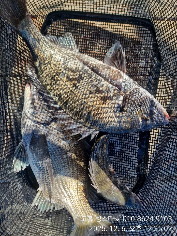
토요일 새벽 초도권 감성돔 조황입니다~
전남 고흥군 풍양면 풍남항
고흥 풍남항 킹스타호 입니다
토요일 새벽 초도권 다녀왔습니다
찾아주신 조사님들 수고 많이 하셨구요 감사합니다 ~
수요일(10일)새벽 초도권, 거문도 1박2일 갯바위 출항합니다
함께하실 조사님들 연락주세요~
●킹스타호 010-8624-9103





▶ 지켜주세요! ◀
- 당일 조황을 올리셔야 합니다.
- 지난 조황은 2일이내 미등록 조황만 가능합니다.
- 이미 올린 조황을 붙여넣기하여 계속 등재하시면 중복조황에 해당합니다.
- 당일 조황을 올리면서 이전 조황을 같이 올리면 중복조황에 해당합니다.
- 조황없는 출조정보는 출조정보 게시판을 이용하시길 바랍니다.
- 올린 글 삭제하고 다시 올려 상단에 올리려는 방법, 이용규칙 위반입니다.
- 제목에 특수문자 사용하시면 안됩니다. (온점, 쉼표, 느낌표, 괄호, 물결만 허용)
☆ 공지사항에 '조황등재시 유의사항' 게시글을 꼭 확인하시고 조황작성 부탁드리며, 가장 기본적인
규칙이 지켜지지 않을 시 예고없이 글 삭제 및 이용정지 될 수 있음을 알려드립니다.
|
|
|
|

