▶ 지켜주세요! ◀
- 당일 조황을 올리셔야 합니다.
- 지난 조황은 2일이내 미등록 조황만 가능합니다.
- 이미 올린 조황을 붙여넣기하여 계속 등재하시면 중복조황에 해당합니다.
- 당일 조황을 올리면서 이전 조황을 같이 올리면 중복조황에 해당합니다.
- 조황없는 출조정보는 출조정보 게시판을 이용하시길 바랍니다.
- 올린 글 삭제하고 다시 올려 상단에 올리려는 방법, 이용규칙 위반입니다.
- 제목에 특수문자 사용하시면 안됩니다. (온점, 쉼표, 느낌표, 괄호, 물결만 허용)
☆ 공지사항에 '조황등재시 유의사항' 게시글을 꼭 확인하시고 조황작성 부탁드리며, 가장 기본적인
규칙이 지켜지지 않을 시 예고없이 글 삭제 및 이용정지 될 수 있음을 알려드립니다.

※ 선박 내 금연에 협조해주시면
감사하겠습니다.※
전국의 조사님들 안녕하십니까..!!
경남 통영 당포항(구,삼덕항)의
나드리호 김선장입니다...(__)
************
금욜 오후...
몇 몇 조사님들 모시고
욕지권으로 밤볼락 다녀왔습니다.
전체적으로 마릿수는 약간 부진했지만,
포인트마다 씨알들은 아주 좋았습니다.
오늘같은 씨알들로
작년처럼 쿨러가 철철 넘치면 좋으련만
그게 뜻대로 안되네요.
겨울이 깊어감에 따라
조만간에 쿨러가 철철 넘치는
그런조황을 보여줄것으로 확신하면서
날씨만 이상없으면
밤볼락을 대상어로 매일 16시에...
감성돔을 대상어로 05시에 매일 출항합니다.
서서히 수온이 하강하는 계절인만큼
밤볼락들의 조황이
점차적으로 좋아질것입니다.
감성돔들이...
마릿수가 물어주면 좋겠지만,
5짜급을 넘나드는 대물급 1마리를
집중적으로 노릴만합니다.
본격적인 대물감성돔시즌이고,
먹이활동이 왕성한 시기라
입질받으면 엄창난 피워를 자랑합니다.
채비 튼튼히하셔서
터트리는 불상사가 없기를 바랍니다.
**************
현지 기상상황에 따라서
연화도/초도/욕지도/좌사리도쪽으로
출조지를 다양하게 생각하고 있습니다.
************
출조인원이 10명 이상되는 정출시에는
선장과 협의후
출항및 철수시간을
조사님들 편한 시간에
맞춰드리도록 하겠습니다.
나드리호는
과대/과장조황 올리지 않습니다.
있으면 있는대로...
없으면 없는대로...
항상 진실된 조항소식만을
전해드릴것을 약속드립니다.
************
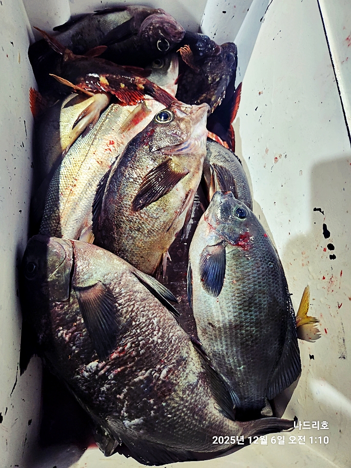
아래에
눈요기용 조황사진과 함께
출조시간 안내해 드립니다.








■ 출조시간 ■
- 토욜...16시 → 밤볼락및 야영출조.
- 일욜...05시 → 감성돔 출조 →14시 철수.(야영가능)
16시 → 밤볼락및 야영출조.
- 월~금욜...05시 → 감성돔출조 → 14시 철수.(야영가능)
16시 → 밤볼락및 야영출조.
■ 주,출조지 ■
연화도,좌사리,초도,욕지도.
**************
※ 나드리호는 배만 운영합니다.
밑밥,미끼는 판매하지 않습니다.
저렴한곳에서
구입해오시기 바랍니다.

- 매일 16시 출항
- 철수...24시.
- 포인트 이동..20시.
● 출조지 ●
욕지도본섬,연화도,우도,내/외초도,
좌사리,갈도,노대도,거칠이.
● 나드리호는 밤볼락출조시
선상낚시는 일절 안합니다.
선상낚시를 하고싶으신 조사님들께서는
타선박에 문의 바랍니다.
● 조황사진은
100% 갯바위조황임을 알려드립니다.
********************************
※ 출조하시는 조사님들께...
선박내에
종량제 쓰레기봉투를 선박내에 비치해 두었습니다.
출항전 종량제 봉투를
꼭 챙겨 가시기 바랍니다.
낚시가 끝난 후 본인의 쓰레기는
갯바위에 버리지 마시고,
반드시 종량제 봉투에 담아 오시기 바랍니다.
꼭!!!
**************