글로리호 조황입니다

신상품 소개


회원 랭킹


공지사항


NaverBand
점주/선장 > 갯바위 + 방파제 조황

글로리호 조황입니다

글로리피싱 0 430
● 출항지 : 여수,광양 ● 출조지 : 여수,광양
밴드 바로가기

a384e40a8e8629a06f4823c828c70c13_1764832840_3393.jpg



 


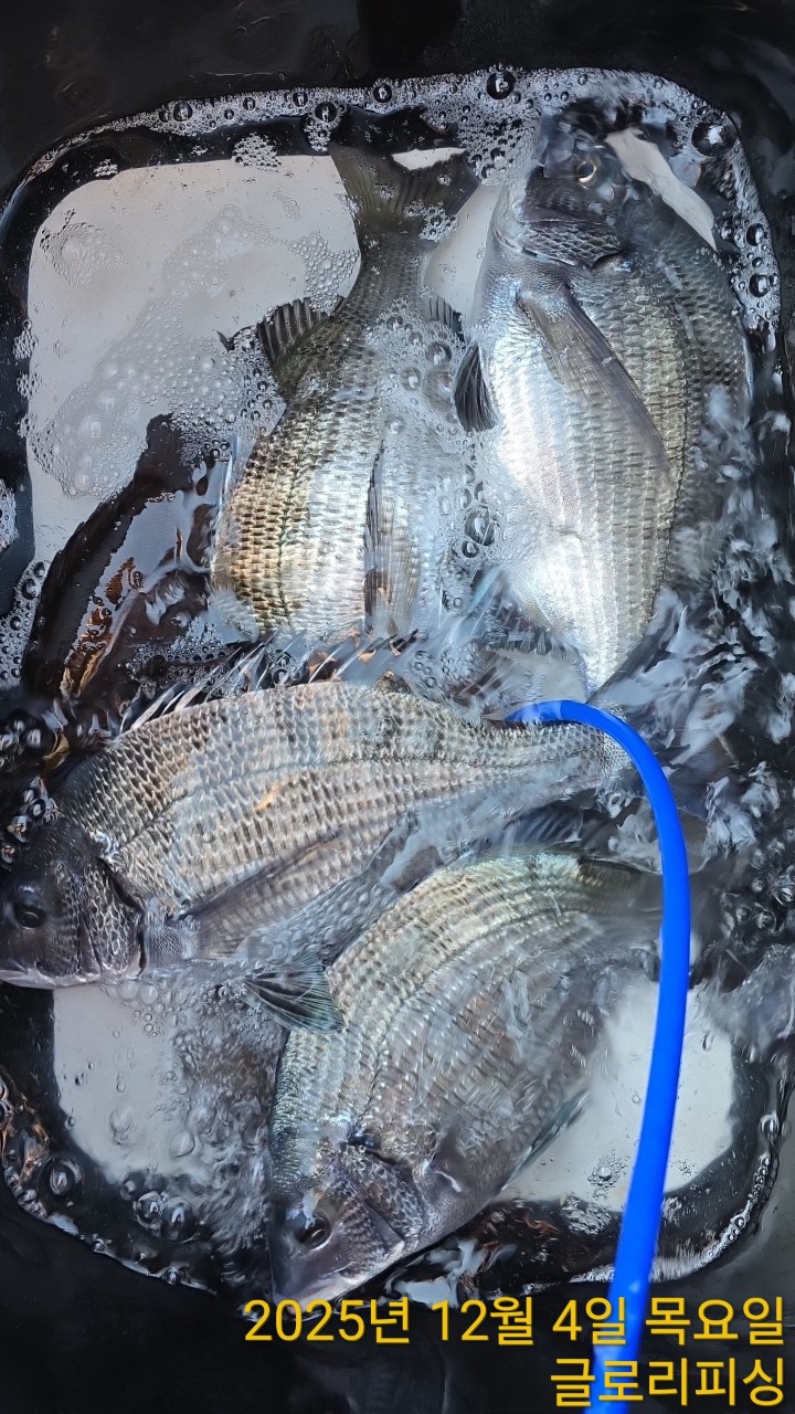
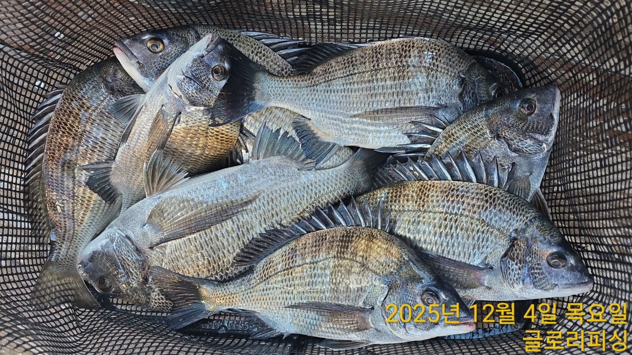
연속되는 북서풍에 기온이 하락하면서 수온도 내림세를 타고 있습니다.

15도 정도로 안정화 되면서 굵은 감성돔이 꾸준히 나와주고 있습니다.

꽝의 계절에 대비하셔서 미리 손맛 보세요.
내일도 힘차게 달립니다!!






a384e40a8e8629a06f4823c828c70c13_1764832997_7784.jpg



a384e40a8e8629a06f4823c828c70c13_1764832998_0532.jpg



a384e40a8e8629a06f4823c828c70c13_1764832998_3868.jpg



a384e40a8e8629a06f4823c828c70c13_1764832998_7278.jpg



a384e40a8e8629a06f4823c828c70c13_1764832999_0051.jpg



a384e40a8e8629a06f4823c828c70c13_1764832999_2868.jpg



a384e40a8e8629a06f4823c828c70c13_1764832999_5344.jpg



a384e40a8e8629a06f4823c828c70c13_1764832999_7647.jpg



a384e40a8e8629a06f4823c828c70c13_1764833000_0523.jpg



a384e40a8e8629a06f4823c828c70c13_1764833000_3475.jpg



a384e40a8e8629a06f4823c828c70c13_1764833019_5242.jpg



a384e40a8e8629a06f4823c828c70c13_1764833019_8014.jpg



a384e40a8e8629a06f4823c828c70c13_1764833020_2583.jpg
 



         1-1출항 시간 


12월 04일(목) 04시 30분 ~ 14시 금오열도
12월 05일(금) 04시 30분 ~ 14시 금오열도

12월 06일(토) 1항차 : 02시 ~ 12시 2항차 : 04시 ~ 14시 금오열도
12월 07일(일) 1항차 : 02시 ~ 12시 2항차 : 04시 ~ 14시 금오열도

12월 08일(월) 04시 30분 ~ 14시 금오열도
12월 09일(화) 04시 30분 ~ 14시 금오열도
12월 10일(수) 04시 30분 ~ 14시 금오열도
12월 11일(목) 04시 30분 ~ 14시 금오열도

1-2. 출조지역, 기상에 따라 출, 입항 시간이 변동 됩니다. 
       밴드에 가입하시면 실시간 확인 가능 합니다.

1-3. 글로리피싱 밴드 안내

     https://band.us/@gloryfishing  


2. 안내 사항
  2-1. 신분증은 꼭 지참 하시기 바랍니다.
       구명 조끼,갯바위화는 반드시 착용하시기 바랍니다

  • 페이스북으로 보내기
  • 트위터로 보내기
  • 구글플러스로 보내기
  • 카카오스토리로 보내기
  • 네이버밴드로 보내기
  • 네이버로 보내기
  • 텀블러로 보내기
  • 핀터레스트로 보내기
0 댓글
포토 제목
 
 

인낚 최신글


인낚 최신댓글


온라인 문의 안내


월~금 : 9:00 ~ 18:00
토/일/공휴일 휴무
점심시간 : 12:00 ~ 13:00