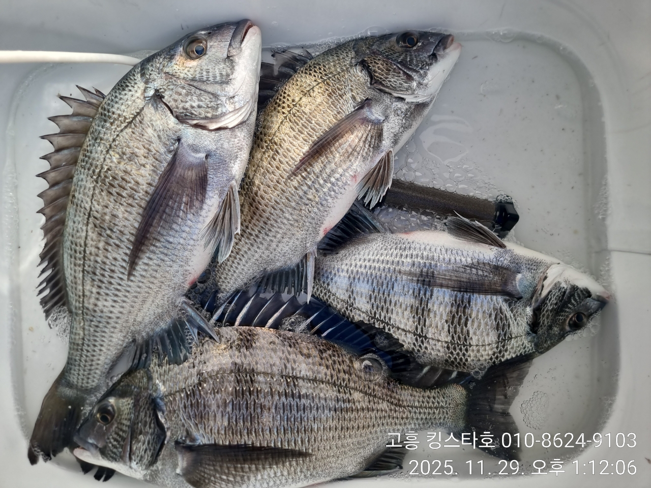
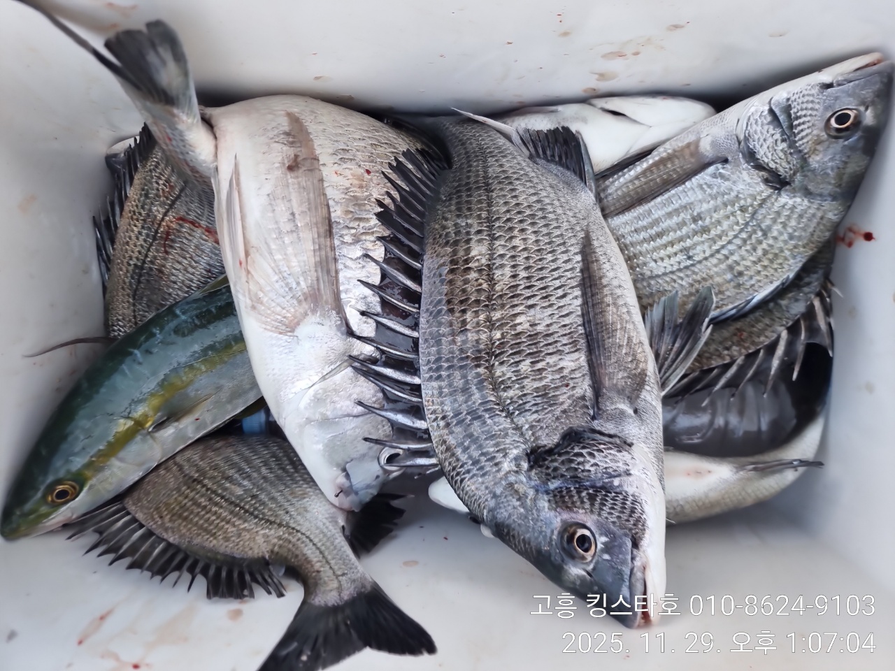
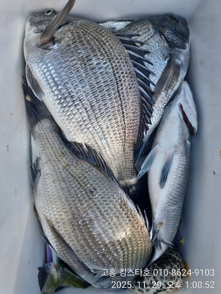
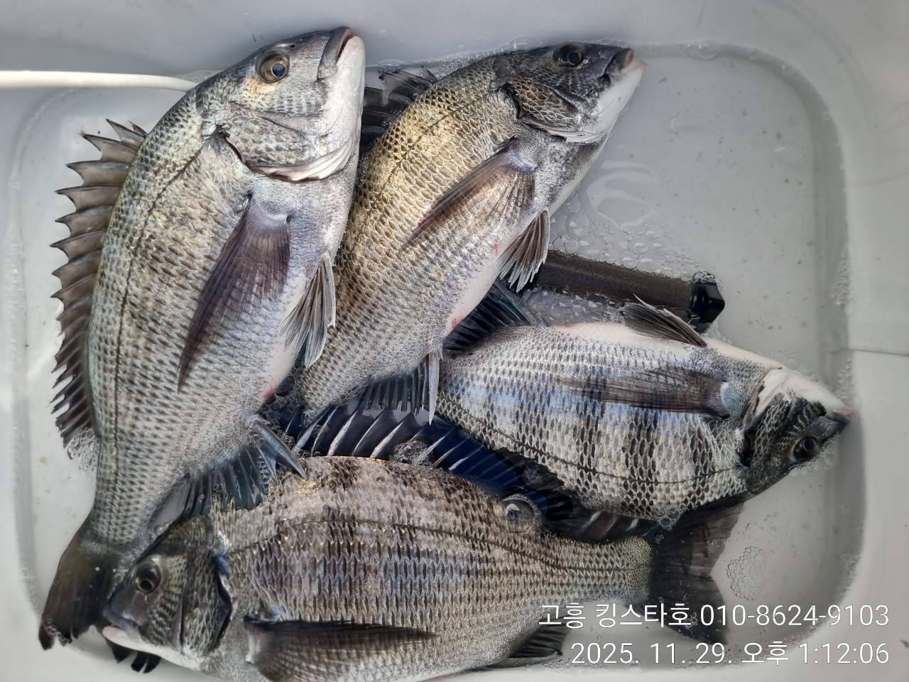
토요일 새벽 감성돔 조황입니다