카드
통영시 산양읍 연명길 18
하누리호]욕지권 감성돔 참돔 마리수와 뻰찌 벵에(수요일 새벽4시 출항)
통영시 산양읍 연명길 18
안녕 하십니까 통영 하누리호 입니다.
주말 출조후 오늘은 개인적인 볼일이 있었고
내일은 선박 중간검사로 출조가 힘들어
수요일부터 정상 출항 합니다.
주말 욕지권 예보보다 바람이 심해 고전하신
분들도 계셨습니더.
나름 전체적으로 좋은 기상에 즐낚들 하셨네예.
수요일 목요일 기상이 좋아 보입니다.
당일 야영 정상적으로 출항 합니다.
새벽녁은 제법 쌀쌀 합니다.
출조시 꼭 방한에 신경 쓰셔서 출조 바랍니다.
요즘 욕지귄 본격적인 감성돔 시즌이 시작 되었고
한 포인트에서 다양한 어종으로 손맛 즐길수
있는 시기 입니다.
어종만 말씀하시면 최대한 확률 높은곳으로
모셔 보겠습니다.
조금 빠른 예약은 많은 도움이 됩니다.
수요일 목요일 출조안내
수요일 새벽4시 당일 및 야영 출항
목요일 새벽4시 당일 출항
철수는 오후2시쯤에 합니다.
선비는 욕지권 전역 6만원 입니다.
야영비 없습니다.
기상에 따라 출조시간은 변경될수도 있습니다.
선장 : 010 - 3564 - 3429
선장 부재시 마눌폰 010 - 4528 0065
통영시 산양읍 연명길 18
하누리 피싱
하누리 피싱 밴드에 초대 합니다.
실명 가입을 부탁 드립니다.
점주분이나 선장은 가입을 정중히 거절 합니다.
https://band.us/band/69048143/post/555
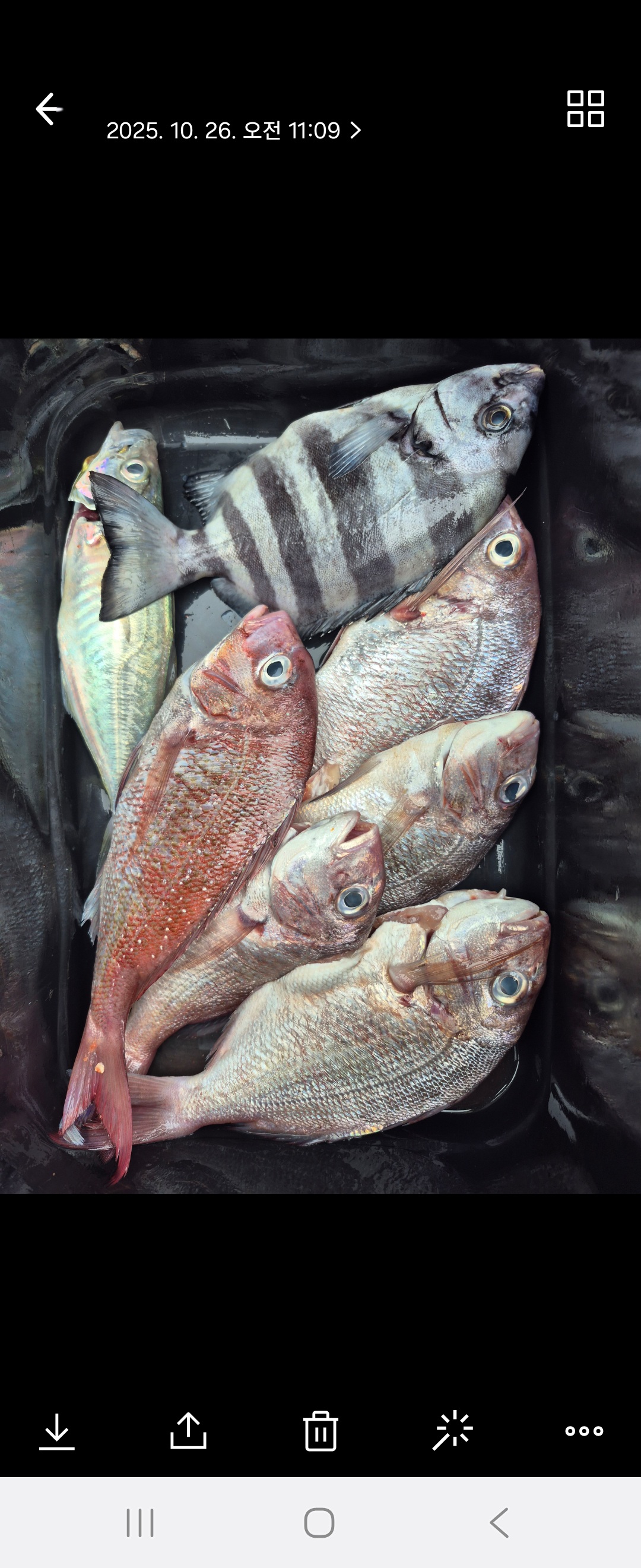
주말 조황 입니다.

































주말 출조인원에 비하면 조금 아쉬운
조황 이었지만 나름 재미있었고 포인트마다
스토리가 많은 출조가 되었습니다.
일일이 언급은 안했지만 많이도 터지고
빠지고 아쉬움이 있었고 종일 잡어등살에
고전하신 팀도 계셨고 부시리땜에 참패한
팀도 계셨습니다.
대물급 참돔이 많이 들어 왔는지 새벽녁에
많이 터졌고 1호대로는 감당이 안되더라 합니다.
감성돔 조황이 5짜가 없어 아쉬움은 있었고
조만간 5짜 덩치급들이 많이 보이리라
기대가 됩니다.
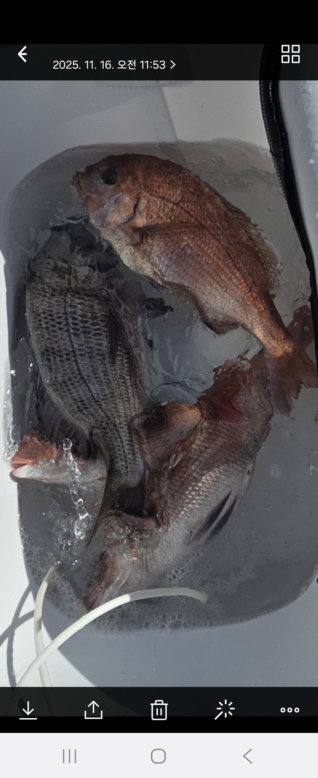
이번주도 역시나 감성돔 이외 참돔 뻰찌 벵에돔도
많이 나왔습니다.
꼭 감성돔이 아니더라도 참돔 벵에돔 뻰찌도
꾸준히 나오고 있으니 손맛 보시길 바랍니다.
욕지권 감성돔 파워가 장난 아닙니다.
많이 터지고 있으니 목줄관리 철저히 하시고
한단계 높이 사용하셔도 좋아 보입니다.




지난주말 욕지권 바다 상항 입니다.
바람이 예보보다 많이 심해 고전한 팀도
계셨네예.




통큰 낚시 통영 낚시 푸짐한 이벤트 시작 했으니
도전해 보십시요.
|
|
|
|

